**Standout Features:**
- Large plot of approximately 720 square meters
- Planning permission in principle granted (ref P/21/1698)
- Scenic rural location with picturesque views
- Easy access to utilities like water, electricity, and phone services
- Proximity to local amenities in nearby Biggar and Carnwath
**Summary:**
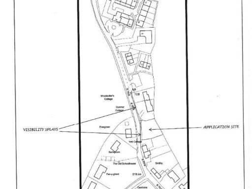
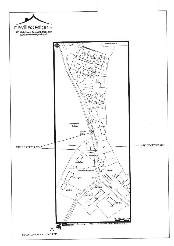
This expansive plot of land on Biggar Road, Libberton, represents a rare opportunity for aspiring homeowners or investors to create a personalized residence in a tranquil setting. With planning permission already secured for a two-storey dwelling, you can design a family home to your specifications on this generous 720 square meters (approximately 7750 sq ft) of land. Nestled in the serene countryside, the plot offers captivating views of rolling fields and greenery, perfect for those seeking a peaceful retreat while remaining within a short distance of essential amenities.
The surrounding area is enriched with nature, featuring accessible playgrounds and leisure areas within walking distance, along with cycling routes for outdoor enthusiasts. This idyllic location balances rural charm with convenience, located just 4 miles from Biggar and 3 miles from Carnwath. Don't miss this unique chance to establish your dream home in a picturesque village—your future oasis awaits!
Plot for sale in Plot Three Hawksland, Greenrig Road, Lesmahagow, Lanark, ML11 — £87,500 • 1 bed • 1 bath • 3399 ft²
Land for sale in Stanmore Road, Lanark, ML11 — £130,000 • 1 bed • 1 bath • 4456 ft²
Plot for sale in Plot Six Hawksland, Greenrig Road, Lesmahagow, Lanark, ML11 — £97,500 • 1 bed • 1 bath • 3324 ft²
Plot for sale in Plot Eight Hawksland, Greenrig Road, Lesmahagow, Lanark, ML11 — £79,995 • 1 bed • 1 bath • 14192 ft²
Plot for sale in Plot Two, Hawksland, Greenrig Road, Lesmahagow, Lanark, ML11 — £99,995 • 1 bed • 1 bath • 2498 ft²
Land for sale in Yieldshields Road, Carluke, ML8 — £144,995 • 1 bed • 1 bath • 13754 ft²


































