MK43 8LU - 1 bed large freehold land in Box End Road, MK43 8LU

View on Property Piper

Land for sale in Land Opposite, Box End Road, Bromham, MK43

Summary - 153 BOX END ROAD BROMHAM BEDFORD MK43 8LU

1 bed 1 bath Land

Blank rural plot with development potential in a sought-after village setting.
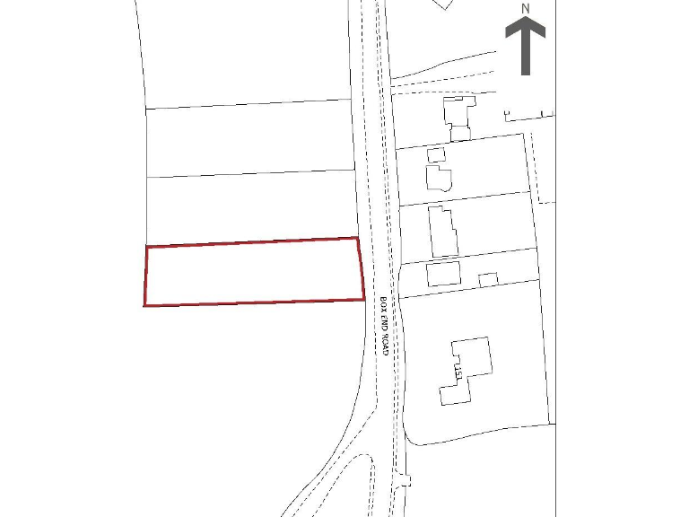
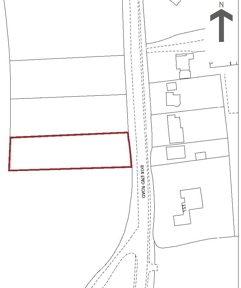
Very large freehold plot — approx 21,780 sq ft (about half an acre)
Road frontage with woodland and farmland to the rear
Overgrown with scrub, saplings and obscured boundaries
Sold at public auction on 22 October 2025; no pre-auction offers
Services unconfirmed — buyers must make own enquiries
Administration fee £1,500 incl. VAT; check legal pack disbursements
No VAT applicable; no buyer’s premium payable
Excellent mobile signal but slow broadband speeds
A rare, very large freehold parcel just outside Bedford, offered at public auction. The level plot sits opposite residential homes with farmland to the rear, and measures approximately half an acre (about 21,780 sq ft). It has been in long family ownership and now presents as an overgrown blank canvas with road frontage and established tree cover.

This is a straightforward acquisition for an investor or developer comfortable with site clearance and boundary reinstatement. The plot shows clear development potential subject to planning; interested buyers should treat it as a land opportunity rather than a ready-to-build plot. Services are not confirmed and must be independently verified with local authorities.

Important sale terms: the lot will be sold at public auction on 22 October 2025, with no pre-auction offers accepted. VAT is not applicable; there is no buyer’s premium, but purchasers must pay an administration fee of £1,500 (inc. VAT) and any disbursements noted in the legal pack. Viewings are permitted at any daylight hour.

Practical points you should consider: the plot is heavily overgrown with self-seeded scrub, saplings and trees; boundary lines and the entrance are obscured or lost and will require reinstatement. Broadband speeds are slow despite excellent mobile signal. Flood risk is nil and the area is affluent with very low crime, making the site attractive for a range of end uses pending planning permission.

Property Details

Image Descriptions

Floorplan Description

Textual Property Features

Target Audience

AI Tags

Detected Visual Features

Nearby Schools

Nearest Bars And Restaurants

,,,,}

Nearest General Shops

,,}

Nearest Grocery shops

,,}

Nearest Supermarkets

,,}

Nearest Religious buildings

,,}

Nearest Medical buildings

,,,}

Nearest Airports

}

Nearest Leisure Facilities

,,,,}

Nearest Tourist attractions

,,}

Nearest Train stations

,,,,}

Nearest Bus stations and stops

,,,,}

Nearest Hotels

,,}

Tags

Local Market Stats

Similar Properties

Meta

High Res Images

Compatible Images

Low res Images

Thumbnails

Raw Images

High Res Floorplan Images

Compatible Floorplan Images

Low res Floorplan Images

FloorplanImages Thumbnail

Raw Floorplan Images