**Standout Features:**
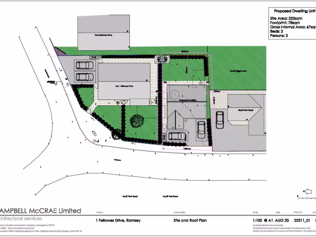
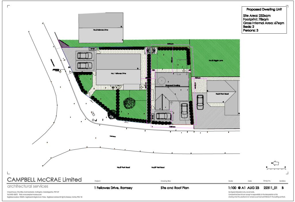
- Approved planning permission for a separate two-bedroom dwelling—ideal for investment or multi-generational living.
- Modern kitchen diner, utility room, and WC for increased convenience.
- Gated off-street parking and a single garage add security and accessibility.
- South-facing garden offering ample sunlight and outdoor space.
- Cozy fireplace in the living room enhances the property’s charm.
- Freehold tenure gives complete ownership and flexibility for future renovations.
**Summary:**
Discover the potential of this delightful three-bedroom bungalow, ideally located within a tranquil pocket of town, perfect for families or savvy investors. This property not only features a spacious living room illuminated by natural light and enhanced by a cozy fireplace, but also a modern kitchen with an adjoining dining space, promoting effortless entertaining and family gatherings. Enjoy outdoor leisure in the expansive south-facing garden, complemented by gated off-street parking and a single garage, ensuring convenience and accessibility.
Investors will appreciate the approved planning permission for a separate two-bedroom dwelling, presenting a unique opportunity to capitalize on property value in a sought-after area. While the home is well-maintained, it also allows for potential interior updates to personalize the space. Just minutes from schools, parks, and local amenities, this chain-free bungalow exudes comfort and versatility. Act quickly to seize the chance to make this charming property your home or next investment venture!
3 bedroom bungalow for sale in Fellowes Drive, Ramsey, Huntingdon, PE26 — £375,000 • 3 bed • 1 bath • 1418 ft²
3 bedroom bungalow for sale in Wood Lane, Ramsey, Huntingdon, Cambridgeshire, PE26 — £400,000 • 3 bed • 1 bath • 1623 ft²
2 bedroom bungalow for sale in Fairfields Drive, Ramsey, Huntingdon, Cambridgeshire, PE26 — £280,000 • 2 bed • 1 bath • 719 ft²
3 bedroom bungalow for sale in Tower Close, Ramsey, Huntingdon, Cambridgeshire, PE26 — £350,000 • 3 bed • 2 bath • 851 ft²
3 bedroom bungalow for sale in Abbots Close, Ramsey, Huntingdon, Cambridgeshire, PE26 — £400,000 • 3 bed • 1 bath • 1289 ft²
3 bedroom bungalow for sale in Oilmills Road, Ramsey Mereside, Huntingdon, Cambridgeshire, PE26 — £350,000 • 3 bed • 1 bath • 1573 ft²














































