**Standout Features:**
- Development site just over 10 acres
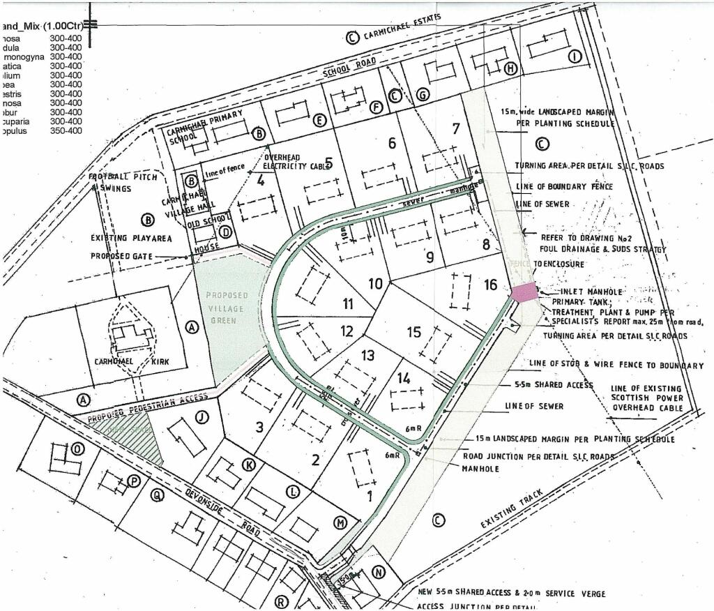
- Conditional planning permission for 16 homes (Planning Ref. CL/03/0576)
- Beautiful rural setting in Carmichael, South Lanarkshire
- Close to Lanark and Biggar; excellent commuting access via M74
- Potential for spacious plots with stunning country views
**Summary:**
Discover a remarkable opportunity in the picturesque hamlet of Carmichael with this substantial development site spanning over 10 acres. With conditional planning permission for the construction of 16 homes, this property is ideal for investors or developers looking to create a unique community in a beautiful rural setting. 
While the initial planning was granted in 2006, it remains live due to recent landscaping and access works, allowing for further applications and detailed house styles to be proposed by the new owner. Nestled just 5 miles from the historic town of Lanark and 9 miles from Biggar, this site offers the perfect blend of tranquility and accessibility, with Scotland's major cities only about an hour away. 
Take advantage of the expansive land, scenic views, and peaceful surroundings to cultivate a vibrant residential neighborhood. This is a rare chance to secure a prime piece of development land in a serene environment—don’t miss the opportunity to be part of Carmichael’s growth!
 Land for sale in  Kerswell Avenue, Carnwath, ML11 — POA • 1 bed • 1 bath
 Land for sale in  Kerswell Avenue, Carnwath, ML11 — POA • 1 bed • 1 bath Residential development for sale in Carnwath, Lanark, ML11 — £349,995 • 1 bed • 1 bath • 1894 ft²
 Residential development for sale in Carnwath, Lanark, ML11 — £349,995 • 1 bed • 1 bath • 1894 ft² Land for sale in Sandilands Road, Sandilands, ML11 — £85,000 • 1 bed • 1 bath
 Land for sale in Sandilands Road, Sandilands, ML11 — £85,000 • 1 bed • 1 bath Land for sale in Nether Kypeside Little Lochs, Lesmahagow, M11, ML11 — £375,000 • 1 bed • 1 bath
 Land for sale in Nether Kypeside Little Lochs, Lesmahagow, M11, ML11 — £375,000 • 1 bed • 1 bath Land for sale in Stanmore Road, Lanark, ML11 — £130,000 • 1 bed • 1 bath • 4456 ft²
 Land for sale in Stanmore Road, Lanark, ML11 — £130,000 • 1 bed • 1 bath • 4456 ft² Land for sale in Sandilands Road, Sandilands, ML11 — £85,000 • 1 bed • 1 bath
 Land for sale in Sandilands Road, Sandilands, ML11 — £85,000 • 1 bed • 1 bath










