Central Collingham paddock ideal for smallholders, equestrian use or long‑term holding..
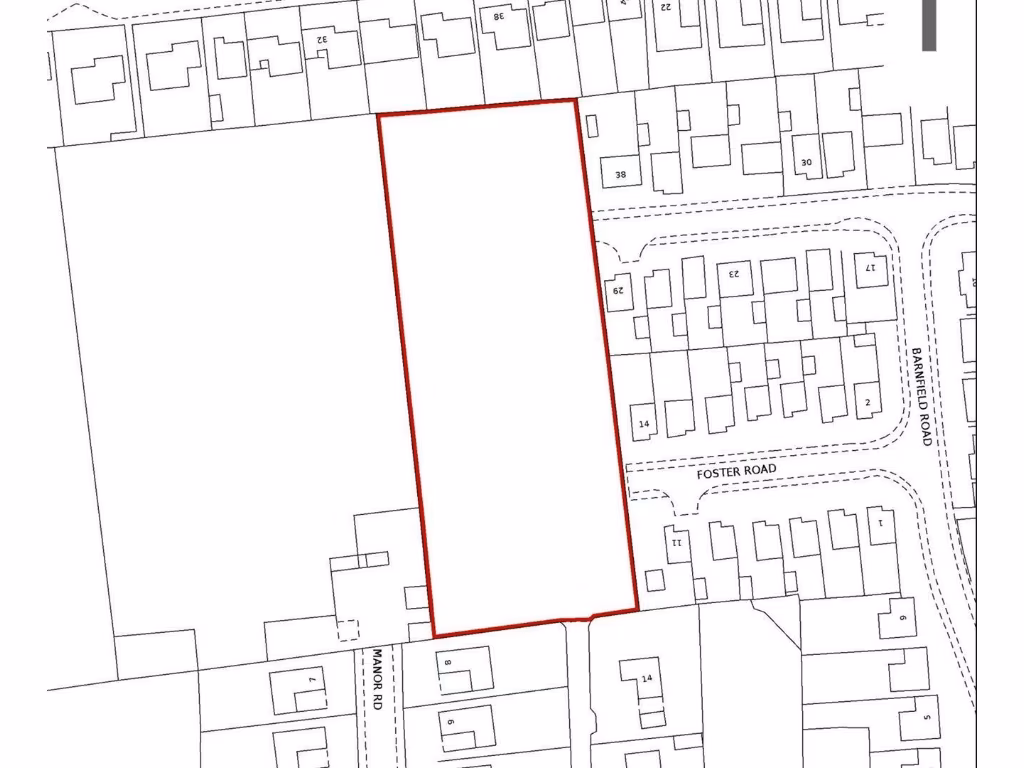
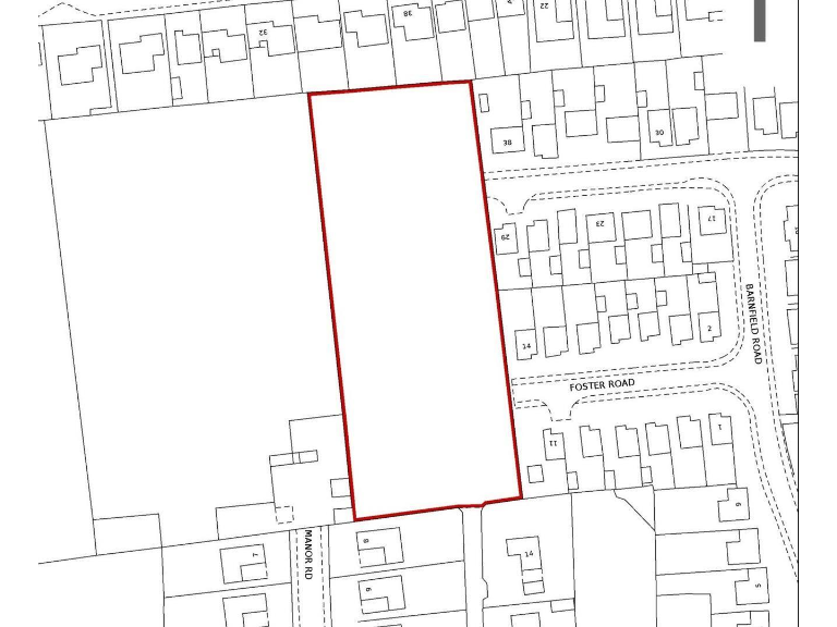
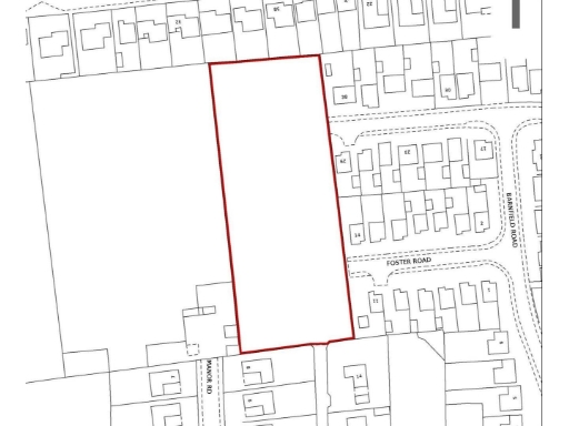
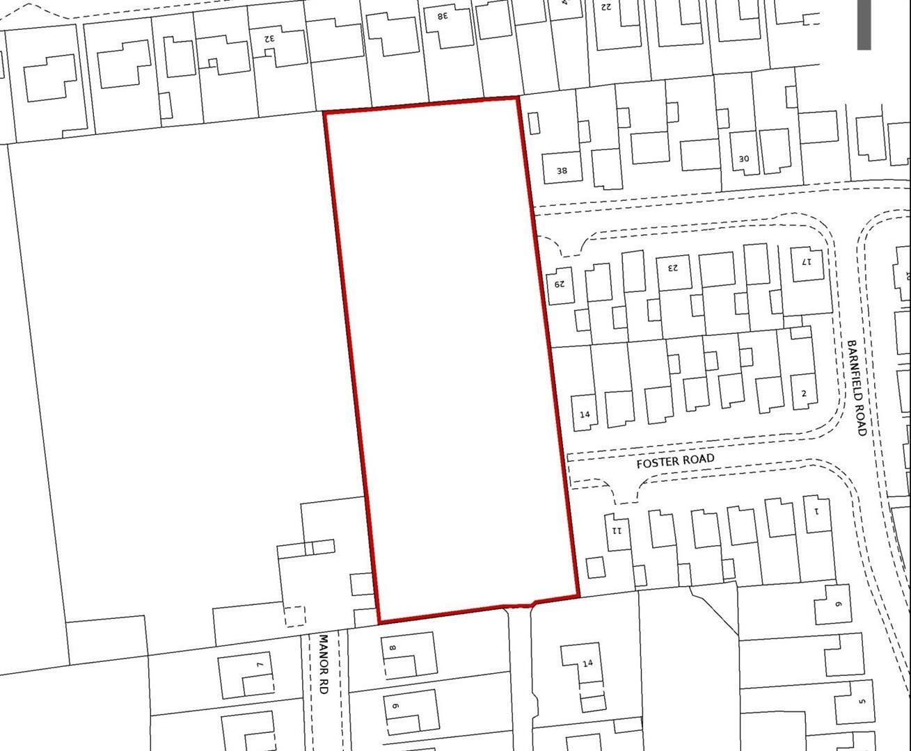
0.62 ha (1.54 acres) level grass paddock, centrally located in Collingham village
Freehold, vacant possession and offered chain free
Suitable for pony grazing, allotments, amenity or conservation use
Public footpath crosses the site; pedestrian gate access only
No vehicular access; highways approval required for vehicles
No mains services connected on the land
Designated 'Main Open Space' — planning normally not permitted
Soil: light loamy sand gravel, free draining, suitable for low‑input use
This level grass paddock of approximately 0.62 hectares (1.54 acres) sits centrally within Collingham village and offers immediate amenity uses such as pony grazing, allotments or conservation land. The freehold plot is vacant and chain free, with pedestrian access from Foster Road via a gate and a public footpath crossing the site. The soil is described as light loamy sand and gravel, free draining and suitable for low‑input agricultural uses.
Buyers should note the land is designated as 'Main Open Space' in the Newark and Sherwood Local Plan; planning permission will not normally be granted in this area. That restriction limits short‑term development but may leave long‑term hope value for a patient purchaser. There is no vehicular access, no mains services on site and a public footpath across the field, which constrains certain uses and any immediate building work.
This parcel will appeal to local equestrian owners, smallholders, conservation groups or investors seeking a rare village‑centred paddock with future potential. Its central village location, very low crime levels and proximity to good local schools make it a straightforward, low‑risk amenity holding. Prospective buyers should investigate access requirements, highways approvals and planning policy before committing.
Land for sale in Station Road, Newark, NG23 — £50,000 • 1 bed • 1 bath
Land for sale in Grassthorpe, Newark, Nottinghamshire, NG23 — £175,000 • 1 bed • 1 bath
Land for sale in Land On The East Side Of Hall Lane, Laxton, Newark, Nottinghamshire, NG22 — £50,000 • 1 bed • 1 bath • 27443 ft²
Land for sale in Claypole, Newark, Nottinghamshire, NG23 — £73,000 • 1 bed • 1 bath
Land for sale in 0.55 acre paddock, low road, Besthorpe, Newark, Nottinghamshire, NG23 7HJ, NG23 — £25,000 • 1 bed • 1 bath
Land for sale in Claypole, Newark, Nottinghamshire, NG23 — £94,000 • 1 bed • 1 bath














