**Standout Features:**
- **Location**: Adjacent to the scenic River Welland.
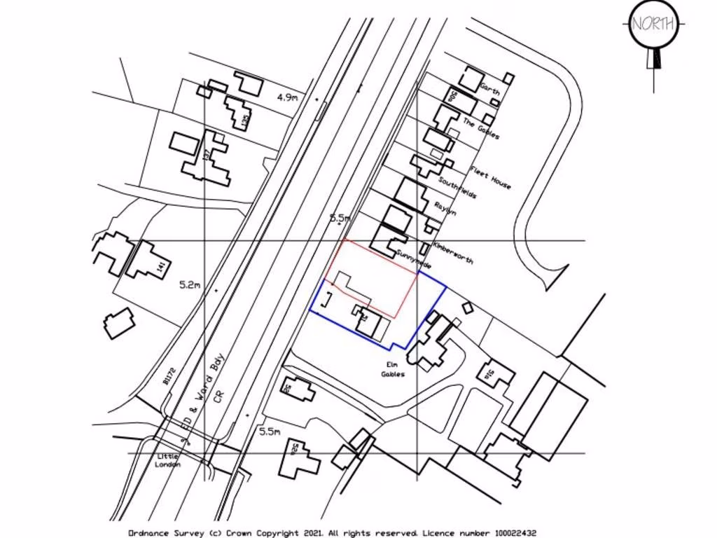
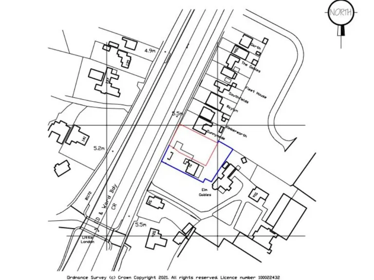
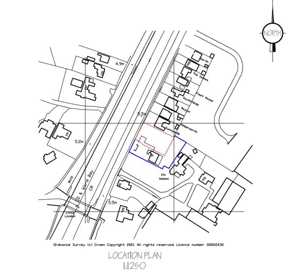
- **Size**: Large plot of approximately 825m² (for two 3-bedroom detached houses).
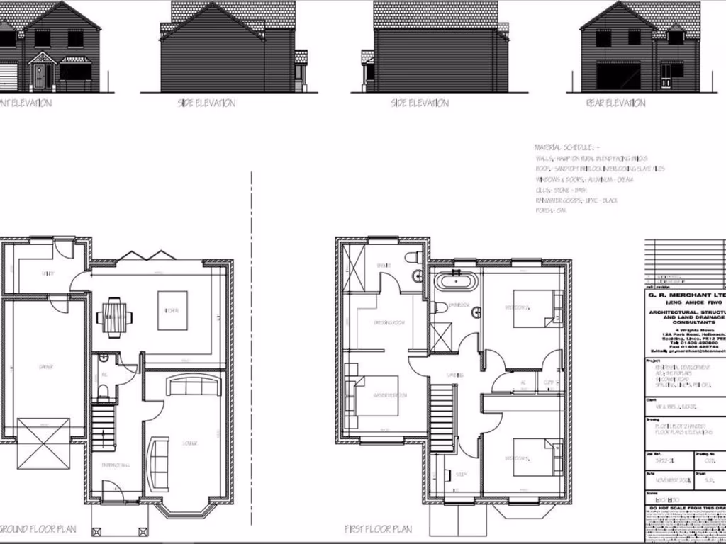
- **Planning Permission**: Full Planning Consent granted for development with integral garages.
- **Accessibility**: Good transport links to Peterborough and direct train access to London.
- **Amenities**: Within walking distance to local shops and services.
**Summary**:
Take advantage of this exceptional opportunity to acquire a prime development site on Cowbit Road, Spalding. With full planning consent for two spacious three-bedroom detached houses, this large plot of approximately 825m² offers the perfect canvas for your next project, complete with the potential for integral garages. Overlooking the tranquil River Welland, future residents will enjoy scenic views and a peaceful environment, ideal for family living.
Conveniently located just a short distance from Spalding town center, the site is within reach of essential amenities, such as shops and leisure facilities. The property boasts excellent transport links, being close to the A16, which offers easy access to Peterborough and fast train journeys to London in under 50 minutes.
While the land is ready for development, potential buyers should note that new access points to Cowbit Road will be necessary, and they will be responsible for the removal of existing trees and stumps on the site. This opportunity presents the perfect blend of convenience and serenity—don’t miss your chance to invest in a property with considerable development potential!
Land for sale in Land with Full PP for 2 dwellings, Adj. 51 The Poplars, PE11 2RJ, PE11 — £250,000 • 1 bed • 1 bath • 825 ft²
Residential development for sale in Land at rear of 38 Fishpond Lane (off Farrow Avenue), PE12 7DE, PE12 — £250,000 • 1 bed • 1 bath • 14515 ft²
Industrial development for sale in Pinchbeck Road, PE11 1QF, PE11 — £275,000 • 1 bed • 1 bath
Residential development for sale in Cowbit, PE12 6AQ, PE12 — £430,000 • 1 bed • 1 bath • 1326 ft²
Land for sale in Building Land With Full PP For 3 No 4 Bed Detached Properties, PE12 0TY, PE12 — £325,000 • 1 bed • 1 bath • 22970 ft²
Residential development for sale in Oxcroft Bank, Shepeau Stow, PE12 0TY, PE12 — £225,000 • 1 bed • 1 bath














































