**Standout Features:**
- Large plot size of approximately 825m²
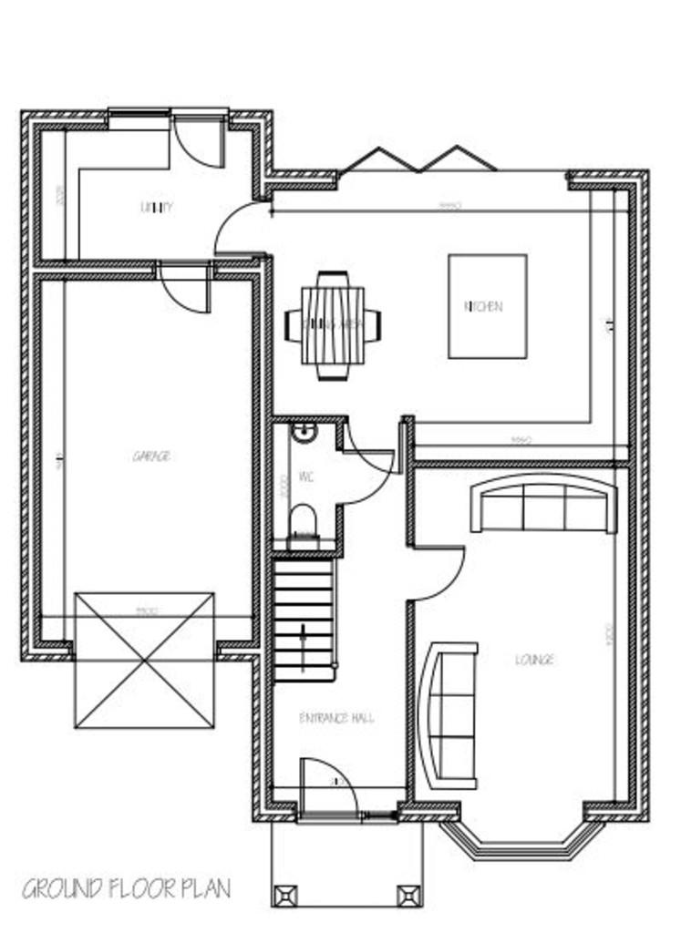
- Full planning permission granted for two 3-bedroom detached houses with integral garages
- Scenic views of the River Welland
- Established residential setting with partial boundary hedges for privacy
- Ample space for outdoor activities and landscaping
- Convenient amenities within walking and cycling distance
**Summary:**
This prime land opportunity located adjacent to 51 The Poplars, PE11 2RJ, presents an ideal canvas for investors and builders interested in developing two modern, 3-bedroom detached homes—demonstrating full planning permission granted by South Holland District Council. Measuring approximately 825m², the rectangular plots offer a favorable layout with peaceful views of the River Welland, perfect for creating tranquil residential spaces.
Potential buyers should note that the purchase includes responsibilities for planning conditions and any necessary site preparations, such as tree removal. However, with a growing demand for quality multi-dwelling developments in a scenic, established community, this property embodies an enticing investment opportunity. The desirable location is complemented by nearby amenities, making it ideal for families or professionals wishing to create their dream homes. Don't miss this chance to secure a unique development plot in a serene environment that radiates future potential.
Residential development for sale in Adj. 51 Cowbit Road, PE11 2RJ, PE11 — £250,000 • 1 bed • 1 bath • 8875 ft²
Land for sale in Plot to Rear of 138 Winsover Road, Spalding, PE11 1HQ, PE11 — £99,500 • 1 bed • 1 bath • 4941 ft²
Land for sale in Building Land With Full PP For 3 No 4 Bed Detached Properties, PE12 0TY, PE12 — £325,000 • 1 bed • 1 bath • 22970 ft²
Residential development for sale in Land at rear of 38 Fishpond Lane (off Farrow Avenue), PE12 7DE, PE12 — £250,000 • 1 bed • 1 bath • 14515 ft²
Land for sale in Oxcroft Bank, Shepeau Stow, PE12 0TY, PE12 — £225,000 • 1 bed • 1 bath • 775 ft²
Residential development for sale in Oxcroft Bank, Shepeau Stow, PE12 0TY, PE12 — £225,000 • 1 bed • 1 bath










































