Elevated rural plot with established young broadleaf planting and coastal views.
Approximately 1.5 acres of gently sloping land
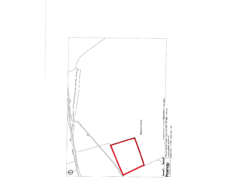
A rare parcel of approximately 1.5 acres on the north‑eastern edge of Braunton, this gently sloping plot offers panoramic countryside views reaching towards Bideford Bay and the Saunton dunes. Planted in 2021 with a mix of broadleaved species (chestnut, ash, oak, rowan, holly, alder and others), the woodland establishes immediate visual screening and future timber/amenity potential while preserving the open, rural aspect.
The site is freehold with excellent mobile signal and sits within an affluent, low‑crime area close to village amenities and roughly three miles from Saunton beach. Its quiet setting and elevated position suit buyers seeking a recreational woodland, long‑term natural investment, or those wanting to add to an existing rural holding.
Buyers should note there is no current income from the land and a formal obligation to maintain the recently planted trees until 2024/25. The plot is greenfield agricultural land with limited immediate development prospects; any change of use would be subject to planning and local policy. Broadband is average and there are no flood‑risk concerns.
This is straightforward, low‑density countryside land with clear appeal for nature‑minded purchasers or investors prepared to hold for future amenity or ecological value. The existing tree planting accelerates screening and habitat creation, but prospective purchasers should allow for ongoing maintenance and the short‑term tree‑retention obligation.
Land for sale in Near Broomhill, Muddiford, EX31 — £160,000 • 1 bed • 1 bath
Land for sale in Croyde, EX33 — £25,000 • 1 bed • 1 bath
Farm land for sale in Braunton, EX33 — £20,000 • 1 bed • 1 bath
Land for sale in Braunton, EX33 — £90,000 • 1 bed • 1 bath
Land for sale in Braunton, EX33 — £120,000 • 1 bed • 1 bath
Farm land for sale in Bishops Tawton, Barnstaple, EX32 — £20,000 • 1 bed • 1 bath


































