Affordable auction plot with pre-planning for three flats, suited to small developers or investors.
- Freehold cleared plot with decent overall site size
- Pre-planning submitted for three self-contained apartments (PRE/25/00096/ENQ)
- Guide price set at £60,000; will be sold at auction
- Main services believed available; buyer to verify connections
- Close to local amenities, schools and Birkenhead town centre
- High local crime and very deprived area — affects desirability
- Planning and consents required for development; other schemes possible
- Sold as-is; due diligence on ground condition recommended
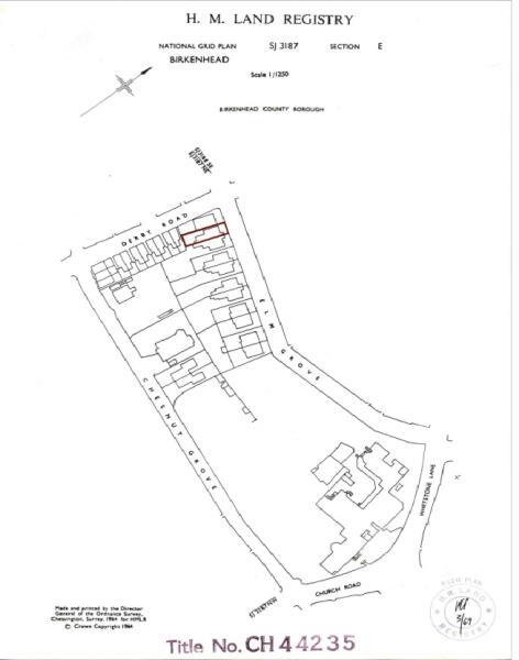
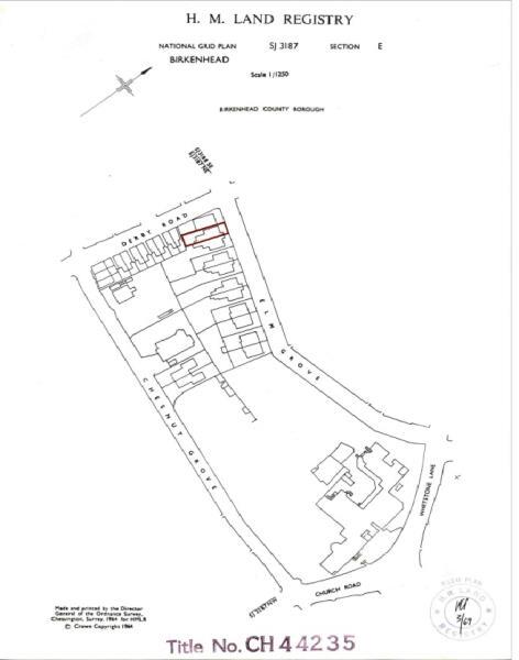
A cleared freehold plot in Tranmere offered for sale by public auction with a guide price of £60,000. A pre-planning enquiry (PRE/25/00096/ENQ) has been submitted for a detached building with three self-contained apartments, giving clear development direction while other layouts may be possible subject to permissions.
The site is in a well-established residential area about one mile from Birkenhead town centre and close to local amenities, schools and transport links. Main services are believed to be available, though purchasers must verify connections and capacities themselves. Mobile signal is excellent and broadband speeds are fast, supporting modern residential use.
Important practical points: the neighbourhood records high crime rates and very high area deprivation, which will affect resale or lettability decisions. The plot will be sold at auction, so buyers should note the guide price, live online auction date and that the seller’s reserve is confidential. Any development requires planning consent and buyer-led due diligence on ground conditions, services and viability.
This lot suits investors or small developers seeking an affordable, cleared site with a recent pre-planning application already lodged. It offers redevelopment potential in a residential location, but requires careful consideration of local market factors and planning risk before bidding.
Commercial property for sale in Land At Park Street, Birkenhead, Merseyside, CH41 3PE, CH41 — £50,000 • 1 bed • 1 bath
Land for sale in Church Road, Birkenhead, Merseyside, CH42 0LJ, CH42 — £125,000 • 1 bed • 1 bath • 5822 ft²
Land for sale in Sidney Road, Birkenhead, Wirral, CH42 — £75,000 • 1 bed • 1 bath • 1320 ft²
Land for sale in Farriers Cottage, Roman Road, Prenton, Merseyside, CH43 3DB, CH43 — £375,000 • 1 bed • 1 bath
3 bedroom town house for sale in 1 Holly Grove, Birkenhead, Merseyside, CH42 — £60,000 • 3 bed • 1 bath • 732 ft²
Land for sale in Land off St Andrews Avenue, (Belfry Close, Muirfield Close and Troon Close), West Derby, Liverpool, Merseyside L12 9LU, L12 — £4,000 • 1 bed • 1 bath






