**Standout Features:**
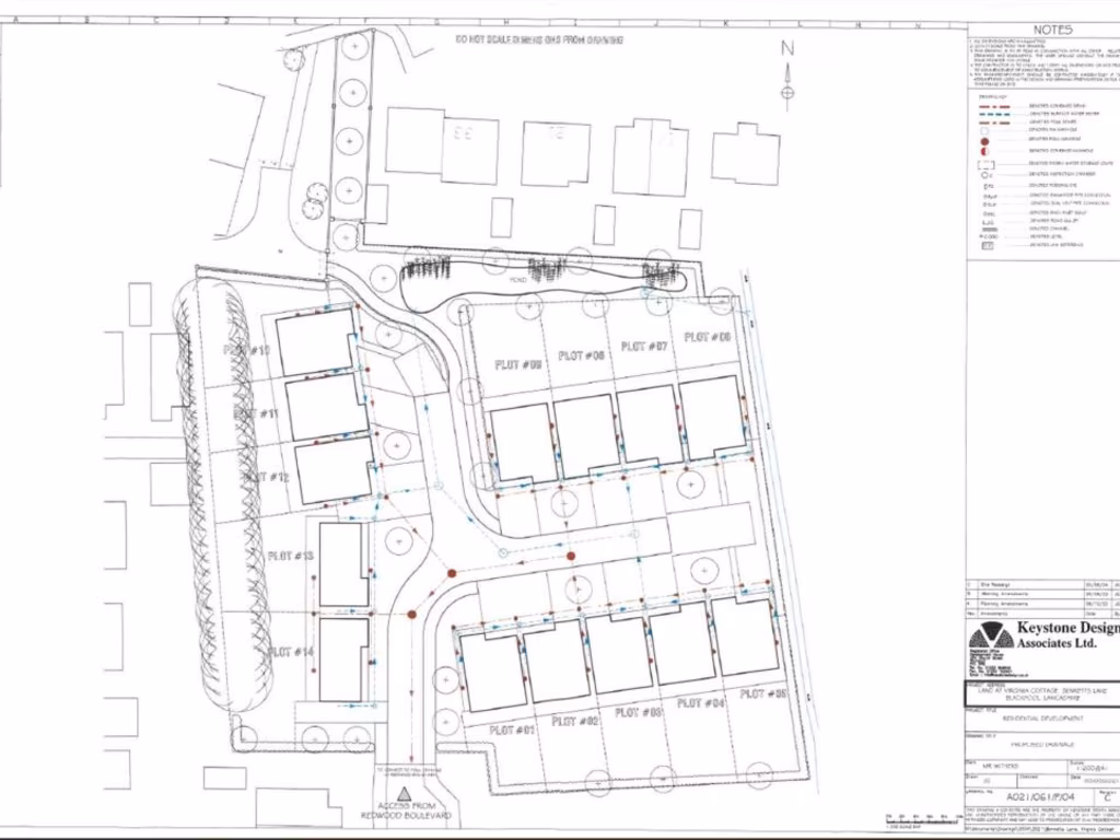
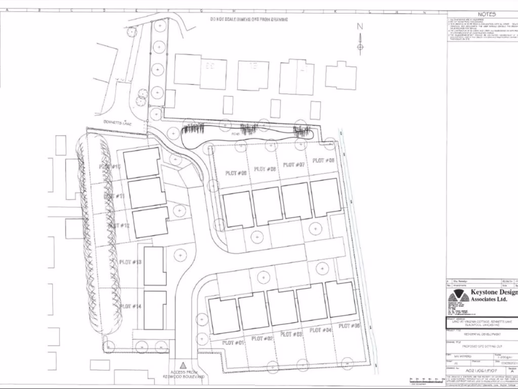
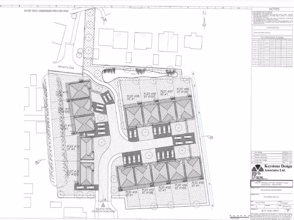
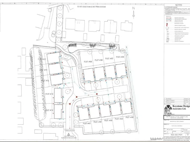
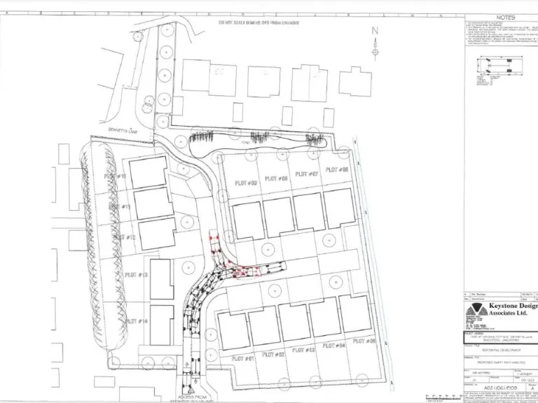
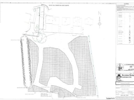
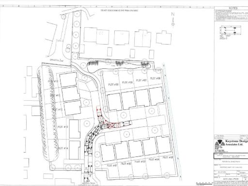
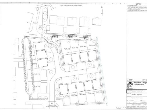
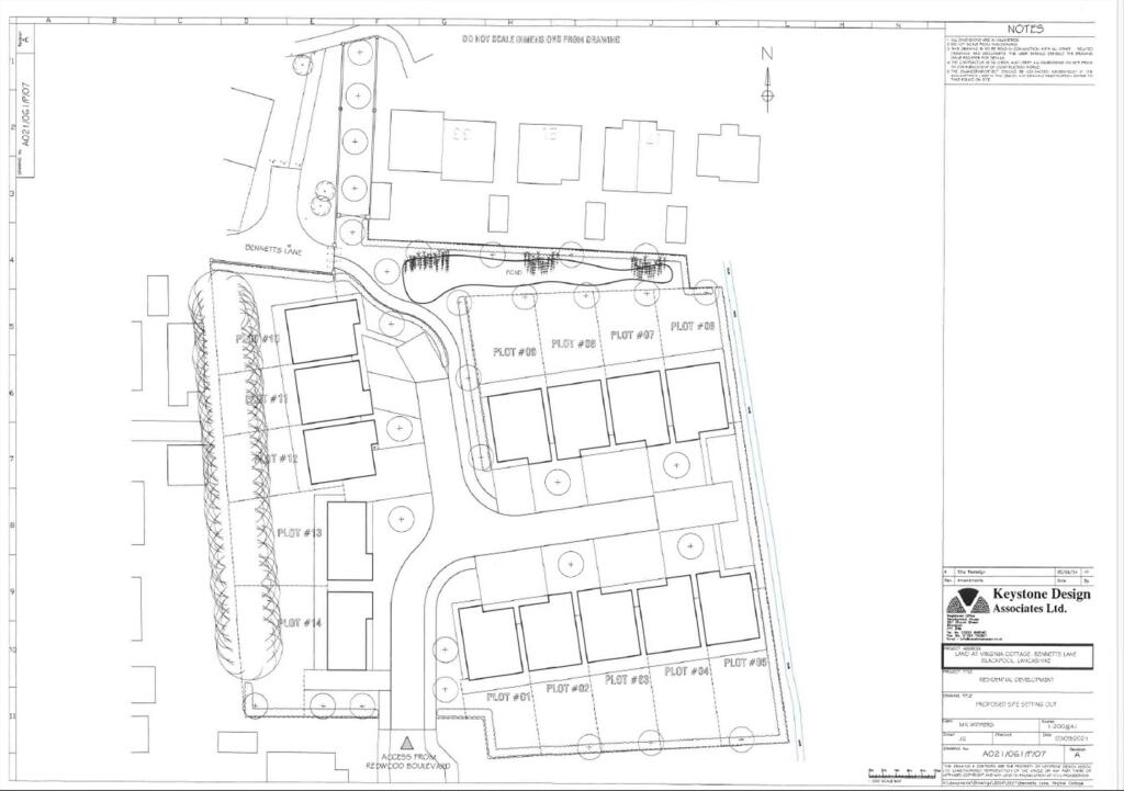
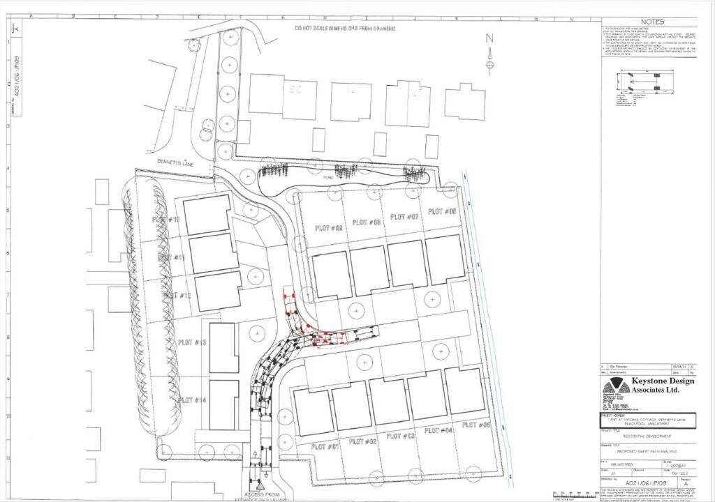
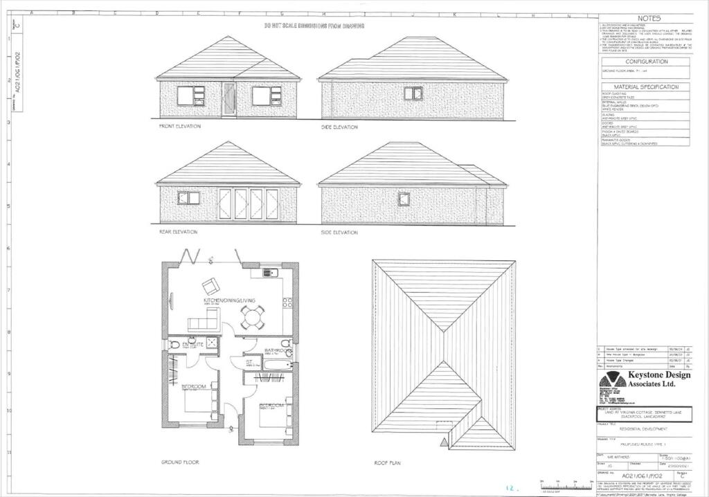
- Planning permission granted for 14 detached dwellings
- Generous land size of approximately 1.43 acres
- Located in a highly desirable residential area of South Shore, Blackpool
- Very low crime rate and decent amenities nearby
- Excellent investment opportunity with potential for significant return
- Opportunity for both residential development and community-friendly planning
**Overview:**
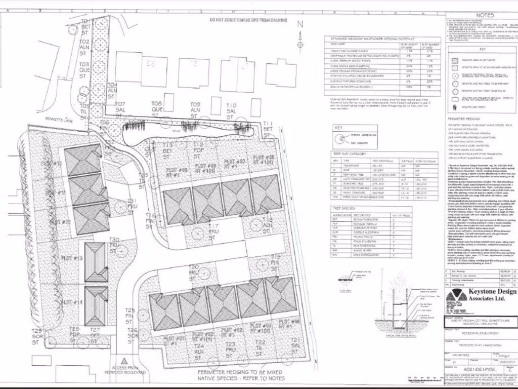
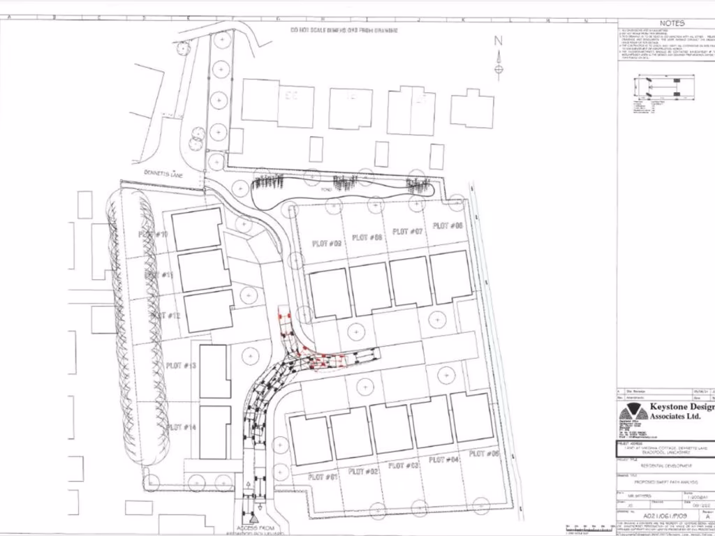
This exceptional development site in South Shore, Blackpool, presents an outstanding investment opportunity with granted planning permission for 14 detached dwellings on a spacious 1.43-acre plot. Nestled in a desirable residential location, this land boasts low crime rates and access to quality schools, making it perfect for future buyers looking for family-oriented homes.
The plot is designed with a modern community layout, ensuring the new developments will appeal to a range of buyers. Although there are additional public open space, health care, and affordable housing contributions totaling around £250,000, these costs are already factored into the asking price of £1,150,000.
This rare opportunity won’t last long so seize the moment to create a residential haven in a comfortable suburban area. Envision the potential of developing modern, detached homes that cater to a growing community—act now to secure your stake in this promising project!
Land for sale in Moss House Road, Blackpool, FY4 — £300,000 • 1 bed • 1 bath
Commercial development for sale in Residential Property With Land, Garages And Outbuildings, 14 Newton Drive East , Blackpool, Lancashire, FY3 — £329,000 • 1 bed • 1 bath • 20473 ft²
Commercial development for sale in New South Promenade, Blackpool, Lancashire, FY4 — £750,000 • 1 bed • 1 bath
Land for sale in Bond Street, Blackpool, FY4 — £70,000 • 4 bed • 2 bath • 1742 ft²
Land for sale in The Lane, Poulton le Fylde, FY6 — £700,000 • 1 bed • 1 bath
Land for sale in Sussex Road, Layton , FY3 — £450,000 • 1 bed • 1 bath • 1131 ft²






















































