**Standout Features:**
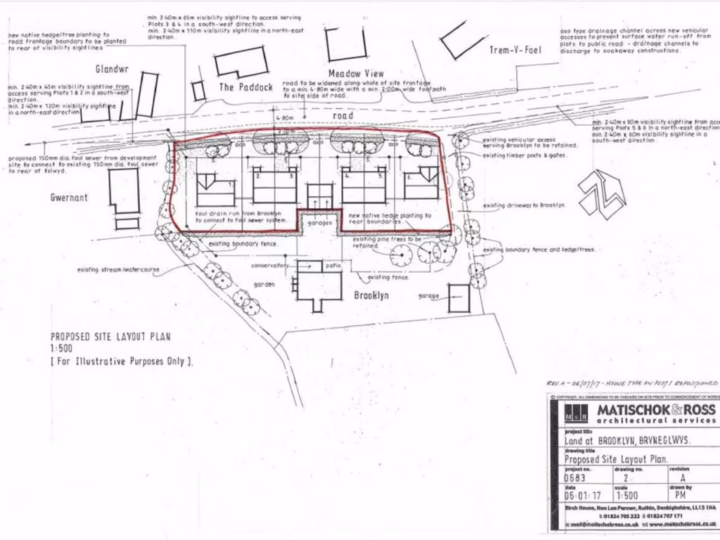
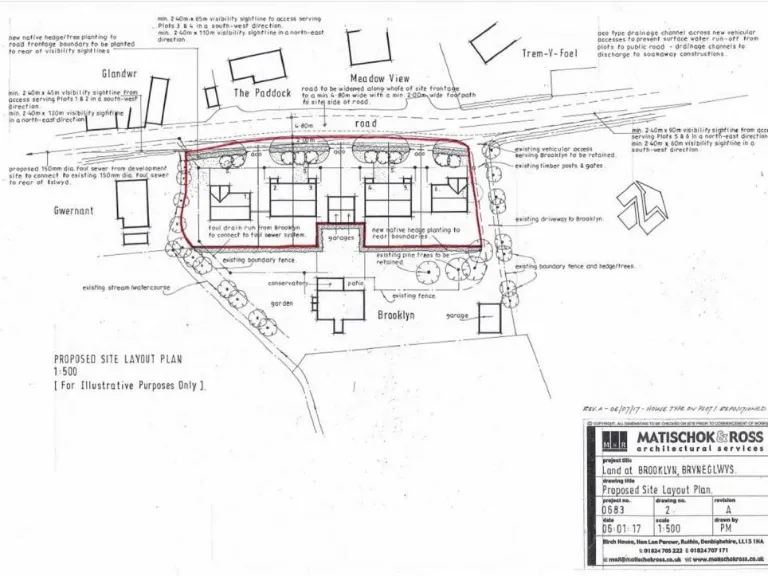
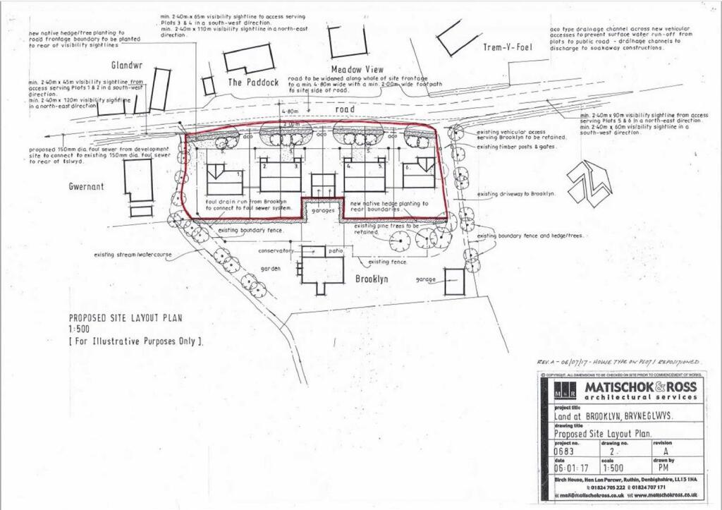
- Rare opportunity with outline planning granted for 6 dwellings (Reference: 10/2017/0330)
- Located in the tranquil village of Bryn Eglwys, Corwen
- Substantial plot size of 0.18ha (approx. 948 sq ft) with potential for sizable outdoor spaces
- Secluded setting surrounded by lush greenery and scenic countryside views
- Chain-free sale for quick negotiations
**Property Summary:**
Discover a unique development opportunity in the picturesque village of Bryn Eglwys, Corwen. This substantial plot of land, measuring 0.18ha, comes with outline planning permission for six residential dwellings, subject to a Section 106 Agreement, creating exciting potential for builders and investors alike. The idyllic surroundings offer a serene atmosphere, perfect for creating spacious homes with generous gardens amidst a backdrop of rolling hills and mature trees.
While the location presents an attractive rural lifestyle, potential buyers should note that the area has below-average broadband speeds and is classified as having average crime rates. This property is being offered chain-free, allowing for a swift purchase process. Don’t miss out on this rare opportunity to shape your vision in a sought-after village location; it won't last long!
Land for sale in Development Land Adj Sycharth, Betws Gwerfil Goch, Corwen, Denbighshire, LL21 — £130,000 • 1 bed • 1 bath • 13068 ft²
Plot for sale in Development Land, Corwen, LL21 — £265,000 • 1 bed • 1 bath
Plot for sale in The Crescent, Corwen, LL21 — £250,000 • 1 bed • 1 bath
Land for sale in Land adjoining Sycharth, Betws Gwerfil Goch, Corwen, LL21 — £130,000 • 1 bed • 1 bath
Plot for sale in Clawddnewydd, Ruthin, LL15 — £325,000 • 1 bed • 1 bath
Land for sale in Land At Llandrillo Road, Cynwyd, Corwen, LL21 — £300,000 • 1 bed • 1 bath


































