HX2 0TG - Plot for sale in Doctor Hill, Wheatley, Halifax, HX2

View on Property Piper

Plot for sale in Doctor Hill, Wheatley, Halifax, HX2

Summary - Doctor Hill, Wheatley, Halifax HX2 0TG

1 bed 1 bath Plot

**Standout Features:**
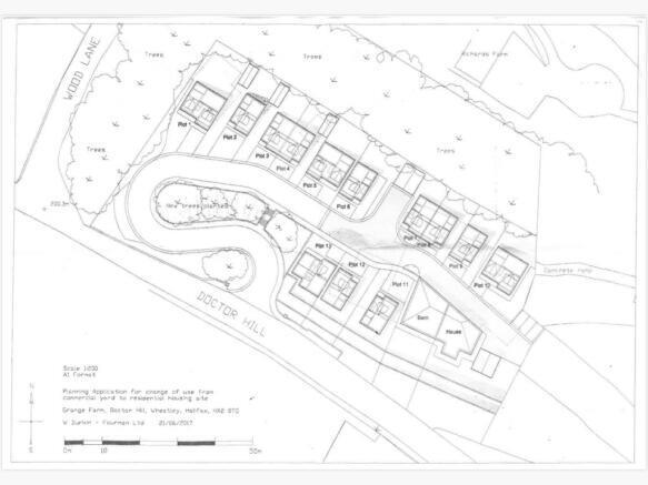
- **Development Opportunity:** Outline planning permission for 13 residential dwellings (lapsed).
- **Location:** Prime setting in Wheatley, Halifax surrounded by fields and woodlands.
- **Plot Size:** Massive area with significant outdoor space available for various development ideas.
- **Accessibility:** Excellent mobile signal; good transport links via local bus services.

**Concerns:**
- **Lapsed Planning Permission:** New application might be required to move forward.
- **Current Condition:** The site consists of existing commercial premises that would need demolition.

Nestled in the charming Wheatley area of Halifax, this expansive plot offers a remarkable opportunity for potential developers or investors. Previously approved for the construction of 13 new dwellings, it features a stunning landscape complemented by panoramic views of surrounding fields and woodlands, making it ideal for a serene living environment. The significant outdoor space allows flexibility for modern, high-density housing solutions or modular designs.

While the lapsed outline planning permission requires a new application, this also presents the chance for tailored development that aligns with current housing market demands. The property boasts an excellent location with convenient access to public transport and nearby essential amenities, such as schools recognized for their quality. Although there are existing commercial structures on the site that will need demolition, the unique setting and size of this plot make it a prime investment with future potential. Don’t miss out on this exclusive opportunity—secure your development dreams in this scenic and vibrant community today!

Property Details

Brochure Descriptions

Image Descriptions

Textual Property Features

Detected Visual Features

Nearby Schools

Nearest Bars And Restaurants

,,,,}

Nearest General Shops

,,}

Nearest Grocery shops

,,}

Nearest Supermarkets

,,}

Nearest Religious buildings

,,}

Nearest Medical buildings

,,,}

Nearest Airports

}

Nearest Leisure Facilities

,,,,}

Nearest Tourist attractions

,,}

Nearest Train stations

,,,,}

Nearest Bus stations and stops

,,,,}

Nearest Hotels

,,}

Tags

Local Market Stats

Similar Properties

Meta

High Res Images

Compatible Images

Low res Images

Thumbnails

Raw Images