**Standout Features:**
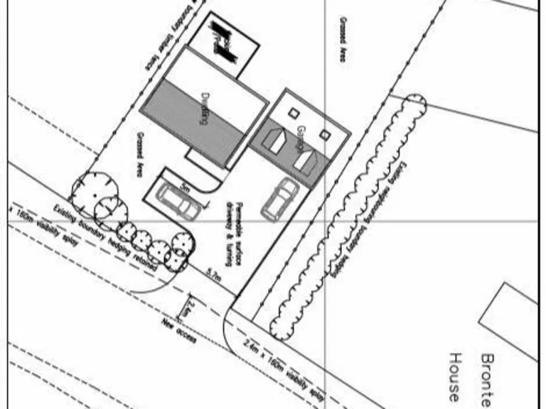
- Freehold plot of land (616 sqm / 9,234 sq ft)
- Planning permission for a detached house with a garage and studio above (Refer: 22/00991/F)
- Located in a tranquil, rural setting within a low-crime, older farming community
- Off-street parking available nearby at the Wisbech Football Club car park
- Development opportunity with great potential for residential investment
**Potential Downsides:**
- Currently lacks vehicle access; the plot is fenced off
- No prior inspection of the property has been conducted
Nestled in the peaceful hamlet of PE14 7AL, this expansive plot of land presents a rare opportunity for investors or families looking to build their dream home. With detailed planning permission already in place for a detached house and garage with a studio above, this land offers tremendous potential for bespoke residential development. The surrounding area boasts a quiet lifestyle and access to necessary amenities, including good-rated local schools, athletic fields, and green spaces ideal for leisure.
Despite the absence of direct vehicle access and the need for boundary considerations due to current fencing, the generous size of the lot and low crime rate in the area make it appealing for future development. This freehold property will be sold at auction, making it an exclusive investment opportunity that may not last long. Don’t miss your chance to be part of this inviting community—visit the King’s Lynn & West Norfolk website for more on the planning details.
Plot for sale in Plot 1 - Lynn Road, Walsoken, Wisbech, Cambridgeshire, PE14 7AL, PE14 — £130,000 • 4 bed • 1 bath • 4991 ft²
Land for sale in Pippin Gardens, Wisbech, PE13 — £5,000 • 1 bed • 1 bath
Farm land for sale in Lynn Road, Walpole Highway, Wisbech, PE14 — £40,000 • 1 bed • 1 bath
Land for sale in Osborne Road, WISBECH, PE13 — £180,000 • 1 bed • 1 bath
Land for sale in Racey's Close, Emneth, Wisbech, PE14 — £5,000 • 1 bed • 1 bath
Land for sale in Redmoor Lane, PE14 — £595,000 • 1 bed • 1 bath • 472 ft²














