Prime build opportunity near transport links for experienced developers.
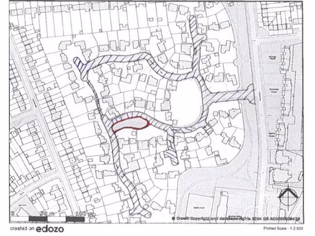
Approximately 9,149 sq ft spacious development plot
A substantial free-standing plot of approximately 9,149 sq ft in Walsingham Gate, Orpington, offered at a low guide price. The site sits within a residential neighbourhood with good access to local shops, bus routes and St Mary Cray main line station, and is sized to accommodate a sizable new-build or subdivision subject to planning. Nearby primary schools include an Outstanding and two Good-rated options, while secondary provision is mixed.
This is land only: there is no planning permission in place or applied for, and any development will require the buyer to obtain all necessary permissions. The seller’s photographs are illustrative drawings only; they do not represent approved plans. Tenure is unknown and purchasers should carry out their own searches and due diligence before offer.
Practical considerations: the plot sits in an area with above-average crime and higher deprivation indicators, which may affect marketability and resale values. There is excellent mobile signal, fast broadband and a range of local amenities, but purchasers should allow time and budget for planning, professional fees and any site works. Note: responsibility for the commission fee (including VAT) will transfer to the purchaser on exchange of contracts.
Land for sale in Orpington, Kent, BR5 — £185,000 • 1 bed • 1 bath
Land for sale in Land adjacent to 95 Rye Crescent, Orpington, Greater London, BR5 — £45,000 • 1 bed • 1 bath
Plot for sale in Edward Road, Sundridge Park, Kent, BR1 — £975,000 • 6 bed • 6 bath • 5934 ft²
Plot for sale in Orchard Road, Pratts Bottom, Orpington, BR6 — £825,000 • 5 bed • 4 bath • 3825 ft²
Land for sale in Land Off Church Road, West Kingsdown, TN15 — £150,000 • 1 bed • 1 bath
Commercial development for sale in Land On The South East Side of Sandy Lane, Orpington, Kent, BR5 — £2,000,000 • 1 bed • 1 bath


















