EX1 2DJ - 1 bed clifton hill development site in Exeter, EX1 2DJ

View on Property Piper

Office for sale in Clifton Hill Sports Centre, Clifton Hill, Exeter, EX1 2DJ, EX1

Summary - Clifton Hill Sports Centre,Clifton Hill,EXETER,EX1 2DJ EX1 2DJ

1 bed 1 bath Office

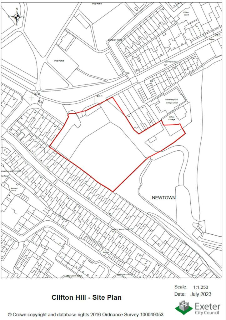
Large freehold plot with residential consent near university and leisure amenities.
- 2.04 acres (0.83 ha) cleared development site, freehold
- Planning consent granted for residential development
- Locally listed Brickwork Office remains; heritage constraints apply
- Rights of way across site must be retained and accommodated
- Council has precluded PBSA; other residential uses encouraged
- Flood Zone 1 — low probability of flooding
- Close to university, schools, leisure amenities and green space
- Bid deadline 5 October 2024; sold by Exeter City Council
A substantial 0.83 hectare (2.04 acre) cleared freehold site in Exeter with planning consent for residential development. The cleared footprint and existing baseline works remove a number of upfront demolition risks and the site sits in Flood Zone 1 with a low probability of flooding. The Council is receptive to a range of end uses including Residential, Build to Rent or Retirement Living, offering flexibility for a developer or specialist operator.

The site includes one remaining locally listed ‘Brickwork Office’ building that reflects the former City Brickfield and will impose heritage constraints and additional consent requirements. Rights of way across the site serve the adjacent ski slope, golf driving range and neighbouring properties; the scheme will need to maintain access and accommodate these legal easements. The council has explicitly precluded Purpose-Built Student Accommodation (PBSA), so schemes must reflect permitted uses.

This opportunity suits developers or investors targeting Exeter’s undersupplied housing market and the city’s long-term delivery plans. The location benefits from good transport links, access to university and schools, nearby leisure facilities and extensive green space. Bids are being invited with a deadline of 5 October 2024; the site is offered on a freehold basis by Exeter City Council.

Property Details

Brochure Descriptions

Image Descriptions

Floorplan Description

Textual Property Features

Target Audience

AI Tags

Detected Visual Features

Nearby Schools

Nearest Bars And Restaurants

,,,,}

Nearest General Shops

,,}

Nearest Grocery shops

,,}

Nearest Supermarkets

,,}

Nearest Religious buildings

,,}

Nearest Medical buildings

,,,}

Nearest Airports

}

Nearest Leisure Facilities

,,,,}

Nearest Tourist attractions

,,}

Nearest Train stations

,,,,}

Nearest Bus stations and stops

,,,,}

Nearest Hotels

,,}

Tags

Local Market Stats

AirBnB Data

Similar Properties

Meta

High Res Images

Compatible Images

Low res Images

Thumbnails

Raw Images

High Res Floorplan Images

Compatible Floorplan Images

Low res Floorplan Images

FloorplanImages Thumbnail

Raw Floorplan Images