Large secluded plot with strong redevelopment potential near top schools.
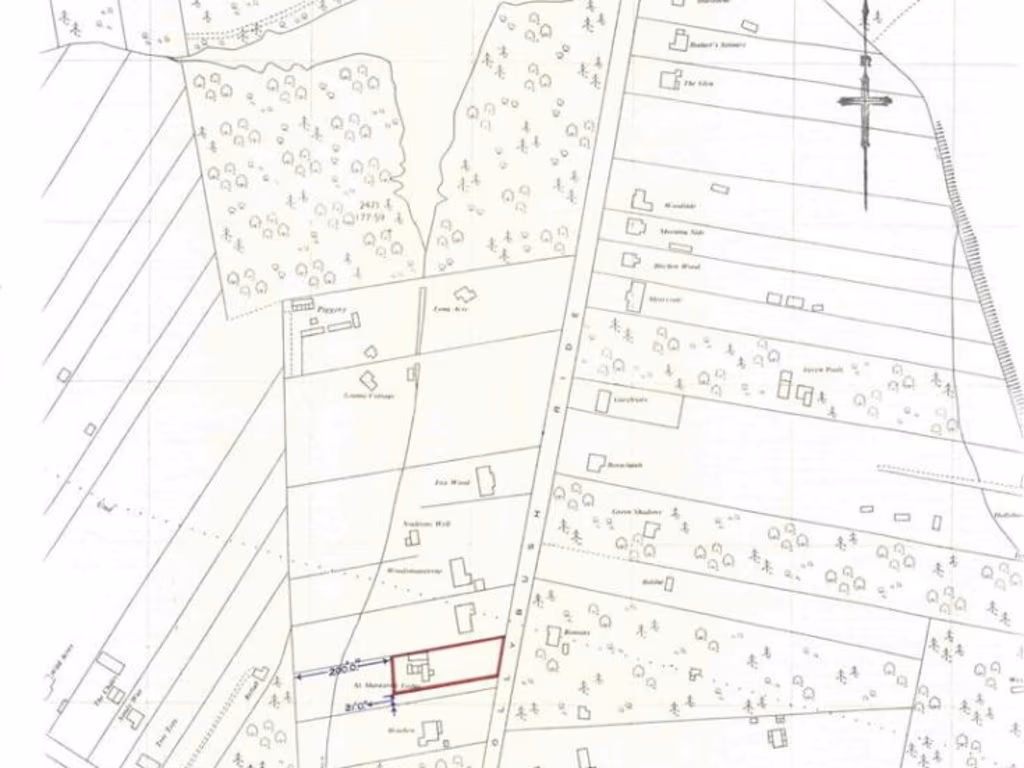
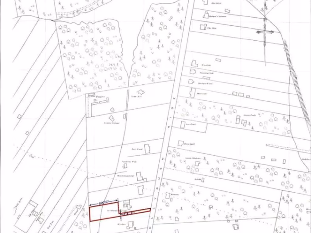
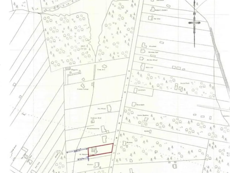
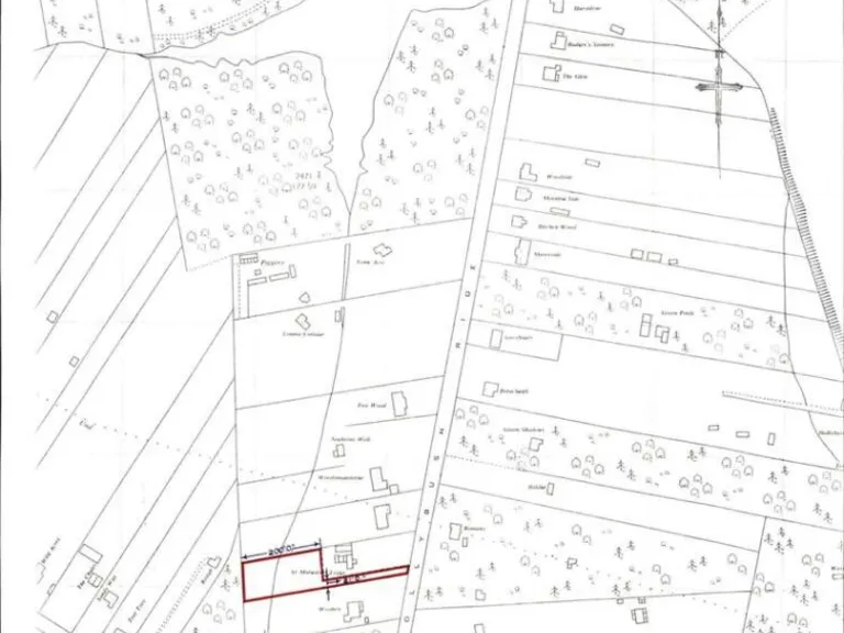
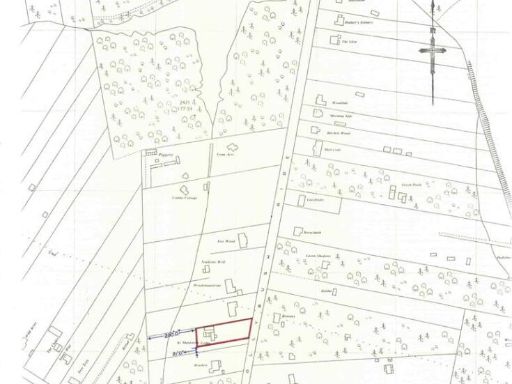
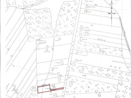
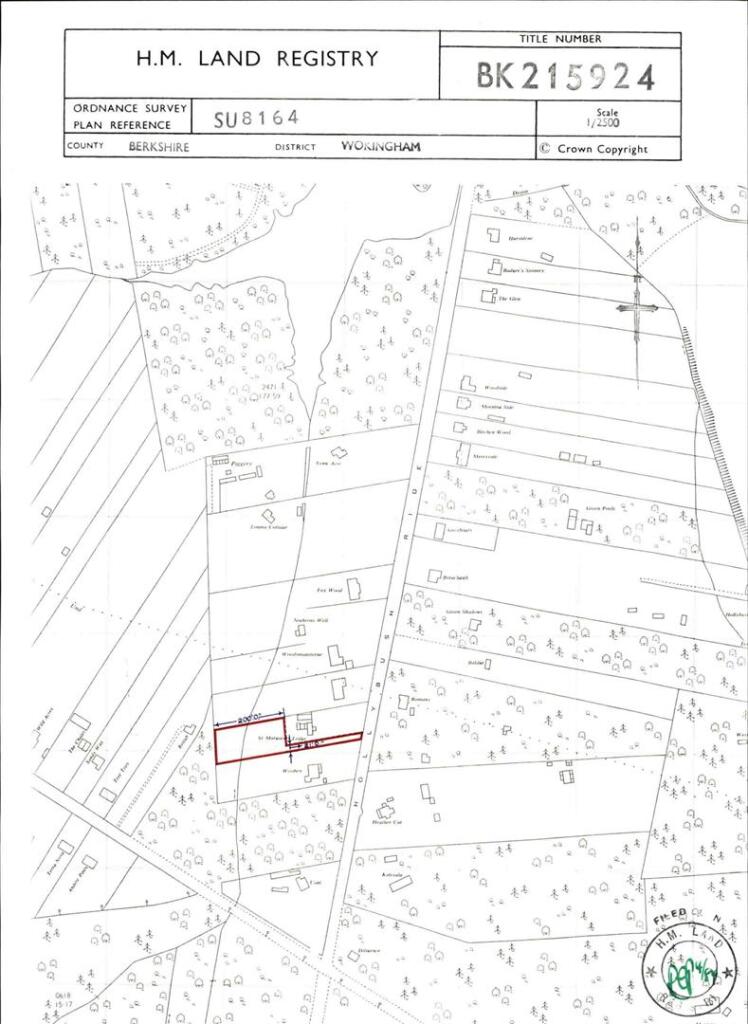
- c.0.98 acres over two titles (BK215924 & BK215925)
- Detached bungalow approx. 1,311 sq ft including outbuilding
- High privacy; borders National Trust woodland and lakeside paths
- Requires full modernisation or potential demolition (STPP)
- Energy Performance Rating G; substantial upgrade likely needed
- High flood risk on site — investigate insurance and mitigation
- Council Tax Band F; running costs likely above average
- Excellent transport links; near M3/M4 and Wokingham station
St. Margarets Lodge on Hollybush Ride is a rare development-style opportunity on almost an acre split over two title documents (BK215924 & BK215925). The site currently contains a detached single-storey bungalow of approximately 1,311 sq ft (including outbuilding) offered freehold and set back from the road with strong privacy, mature trees and direct adjacency to National Trust woodland.
The existing house requires full modernisation and is presented in neglected condition; the current Energy Performance Rating is G. Buyers should be aware of a high flooding risk and expensive Council Tax (Band F). The site may suit a substantial refurbishment or a replacement new-build home subject to planning (STPP) — the plot’s size and location make this attractive to developers, builders and buyers seeking a bespoke property in an affluent area.
Transport links are convenient: the M3/M4 are within easy reach and Wokingham station provides direct services to London and regional hubs. Local schools include highly rated independent options such as Wellington College and a number of ‘Good’ state primaries, supporting either family occupation or high-end rental demand. Viewings are strictly by appointment.
This is a straightforward, high-potential proposition: significant scope to add value through renovation or redevelopment, balanced by material constraints — flooding risk, poor EPC, and the need for substantial work or planning consent.
5 bedroom detached house for sale in Hollybush Ride, Finchampstead, Wokingham, Berkshire, RG40 — £1,750,000 • 5 bed • 3 bath • 2572 ft²
Land for sale in Hollybush Ride, Finchampstead, Wokingham, Berkshire, RG40 — £1,750,000 • 5 bed • 3 bath • 4239 ft²
4 bedroom detached house for sale in Kiln Ride, Finchampstead, Wokingham, RG40 — £1,575,000 • 4 bed • 3 bath • 2927 ft²
4 bedroom detached house for sale in The Ridges, Wokingham, RG40 — £1,250,000 • 4 bed • 2 bath • 2540 ft²
4 bedroom bungalow for sale in Soldiers Rise, Finchampstead, Wokingham, RG40 — £820,000 • 4 bed • 3 bath • 2501 ft²
3 bedroom bungalow for sale in Nine Mile Ride, WOKINGHAM, RG40 — £549,950 • 3 bed • 1 bath


















































































































































































