Large freehold marsh suited to graziers or conservation buyers.
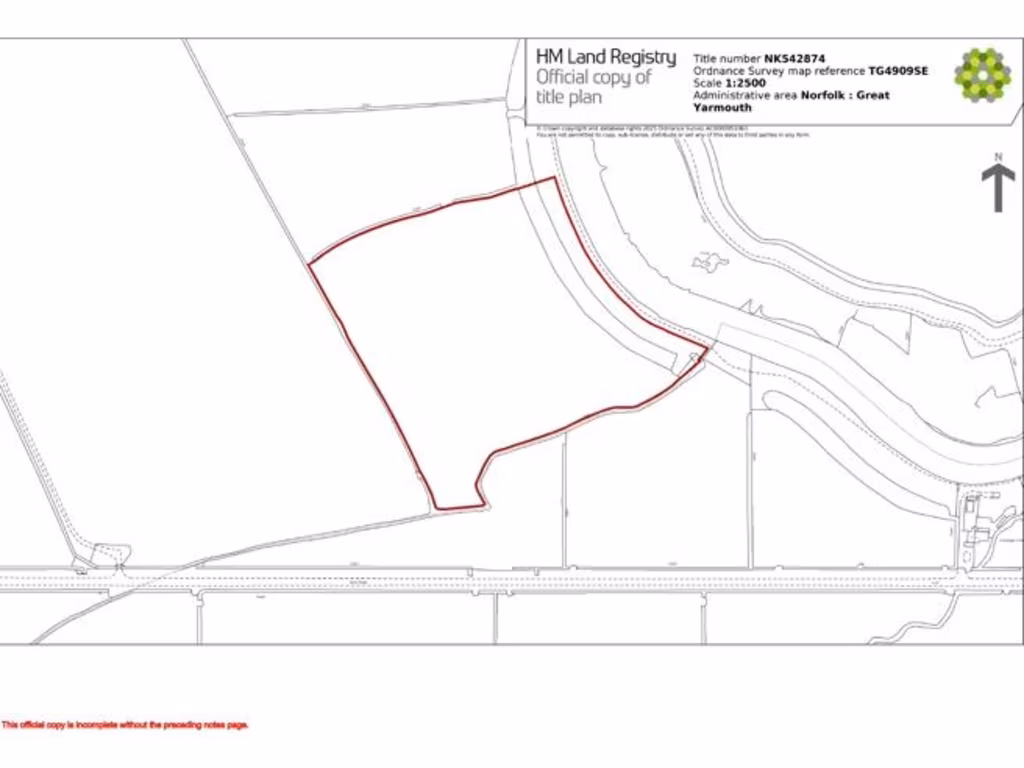
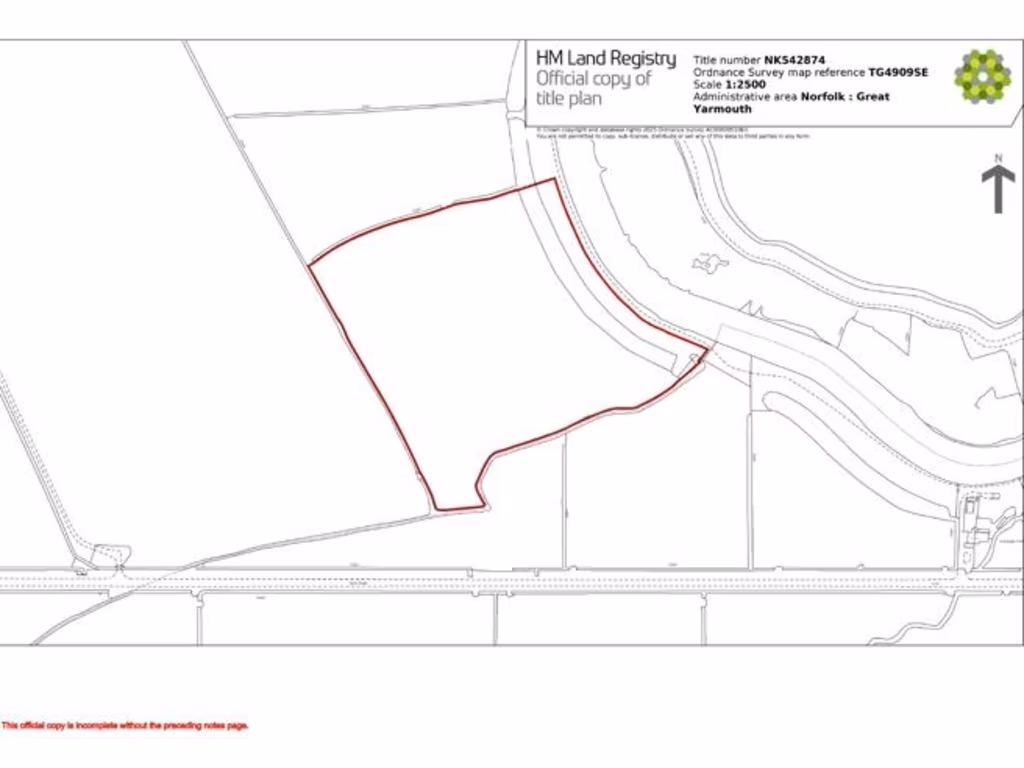
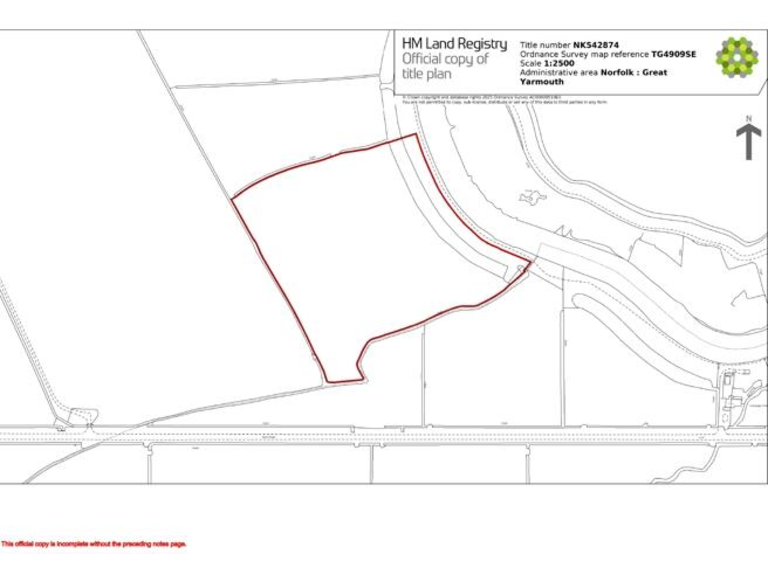
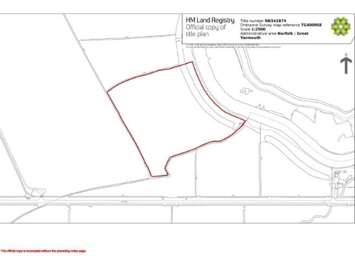
5.89 Ha (14.55 Ac) grazing marsh
A substantial grazing marsh extending to approximately 5.89 hectares (14.55 acres), offered freehold at a guide price of £70,000. The site lies north of the A47 Acle New Road, with good road access and the River Bure forming the eastern boundary — a straightforward parcel for seasonal grazing or conservation use. Sporting, timber and mineral rights are included in the sale. The marsh is currently enrolled in a combined Entry Level and Higher Level Environmental Stewardship agreement running until 30 April 2028; the purchaser will be required to take over the agreement obligations. Vacant possession is available from 1 November 2025. Practical considerations: the site sits in Broads Authority jurisdiction for planning, carries a medium flood risk, and drainage rates are payable to the Environment Agency. The surrounding area records very slow broadband, average mobile signal, and higher local crime and deprivation indicators, which may influence non-agricultural uses and access logistics. Access is via a concrete track off the A47; care is required when joining or leaving the main road. Viewing can be undertaken at daylight hours with particulars, and inspection is at the viewer’s own risk.
Farm land for sale in Grazing Marshes, Acle New Road, Great Yarmouth, Norfolk, NR30 — £290,000 • 1 bed • 1 bath
Land for sale in Grazing Marshes at Runham, Norfolk, NR30 — £450,000 • 1 bed • 1 bath
Land for sale in Land In, Crittens Road, Great Yarmouth, Norfolk, NR31 0AG, NR31 — £495,000 • 1 bed • 1 bath
4 bedroom farm house for sale in Low Road, Norton Subcourse, Norwich, NR14 — £612,500 • 4 bed • 1 bath • 1190 ft²
Land for sale in Riverside Road, Great Yarmouth, Norfolk, NR31 — £1,900,000 • 1 bed • 1 bath
Land for sale in Ranworth Road, South Walsham, NR13 — £795,000 • 1 bed • 1 bath • 4537 ft²






























