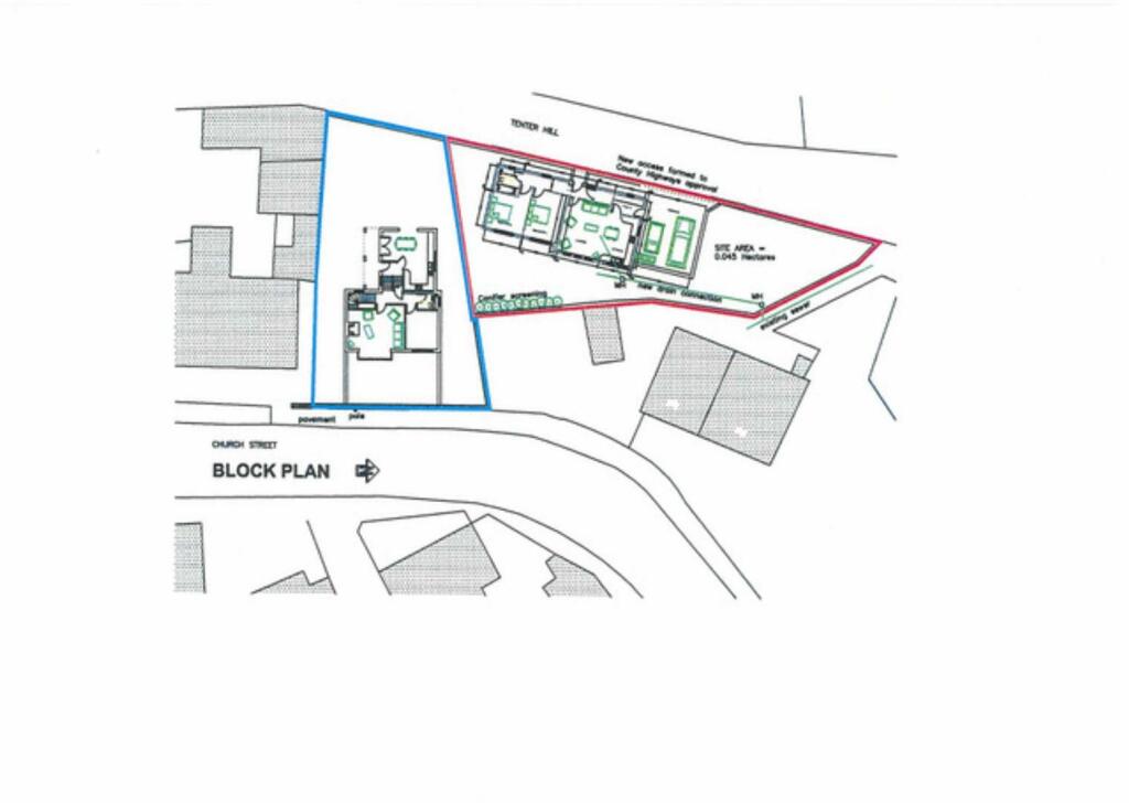
**Standout Features:**
- 2 spacious building plots at a prime location in Wooler
- Previously approved plans for two dwellings (now lapsed, application numbers: 17/00928/FUL and 15/01642/FUL)
- Convenient access to utilities: water, electricity, and gas
- Accessible sewerage drainage from Church Street
- High potential for scenic views due to elevated positioning
- Central location near amenities and recreational spaces
**Summary:**
Introducing an exceptional opportunity at Church Street & Tenter Hill in Wooler, NE71, these two spacious building plots offer the perfect balance of convenience and potential for future development. Positioned near the vibrant town centre, the plots previously received planning permission for two dwellings, allowing your vision to come to life with either a single unique residence or two separate homes, pending re-approval.
Utilities are easily accessible, with sewerage drainage available onsite, enhancing the development potential. Buyers can take advantage of the current high demand for housing in this affluent rural area. With views of charming stone houses and ample space for gardens, these plots provide an ideal canvas for your next project. Don't miss out on the chance to create a dream home or investment in this desirable location—opportunities like this are rare and won’t last long!
Plot for sale in Building Plot on Victoria Road, Wooler, NE71 — £140,000 • 1 bed • 1 bath • 1805 ft²
Plot for sale in Doddington, Wooler, NE71 — £105,000 • 1 bed • 1 bath
Plot for sale in Drovers Lane, Doddington, Wooler, Northumberland, NE71 — £160,000 • 1 bed • 1 bath
3 bedroom terraced house for sale in Church Street, Wooler, NE71 — £260,000 • 3 bed • 1 bath • 1273 ft²
5 bedroom detached house for sale in Cottage Road, Wooler, NE71 — £550,000 • 5 bed • 2 bath • 2416 ft²
Land for sale in Warenford Barns, North Farm, Warenford, Belford, NE70 7HL, NE70 — POA • 1 bed • 1 bath • 23522 ft²










