**Standout Features:**
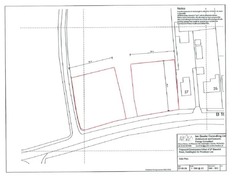
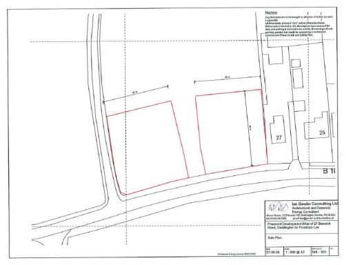
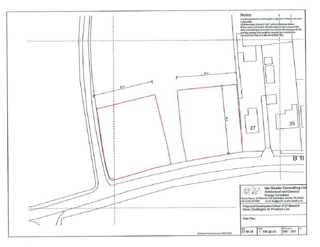
- Four well-proportioned building plots
- Outline planning permission granted (F/YR23/0807/O)
- Each plot approximately 19m wide and 40m long
- Water connected; electricity easily accessible
- Set in a quiet, semi-rural area near local amenities
**Summary:**
Seize the rare opportunity to develop on four expansive building plots located on Benwick Road, Doddington. With outline planning permission already in place, these plots are perfectly positioned to host detached or semi-detached homes, making them ideal for families seeking a peaceful lifestyle. Each plot measures approximately 19 meters wide and 40 meters long, providing ample space for your dream residence and gardens.
Though set in a charming countryside environment, the location remains easily accessible to essential amenities, including schools with commendable ratings and recreational facilities within cycling distance. Enjoy the tranquility of rural living while knowing you're not far from urban conveniences. This is an ideal chance for investors and developers looking to capitalize on this affluent area. Act fast—properties like this don't come available often!
Land for sale in Benwick Road, Doddington, PE15 — £185,000 • 1 bed • 1 bath
Plot for sale in Main Road, Tydd, Wisbech, PE13 — £140,000 • 1 bed • 1 bath
Plot for sale in Main Road, Tydd, Wisbech, PE13 — £140,000 • 1 bed • 1 bath
Plot for sale in Main Road, Tydd, Wisbech, Cambridgeshire, PE13 5QD, PE13 — £140,000 • 1 bed • 1 bath
Land for sale in Plot 7, Hospital Road, Doddington, March, Cambs., PE15 0SL, PE15 — £130,000 • 4 bed • 1 bath
Land for sale in Plot 6, Hospital Road, Doddington, March, Cambs., PE15 0SL, PE15 — £130,000 • 4 bed • 1 bath










