**Standout Features:**
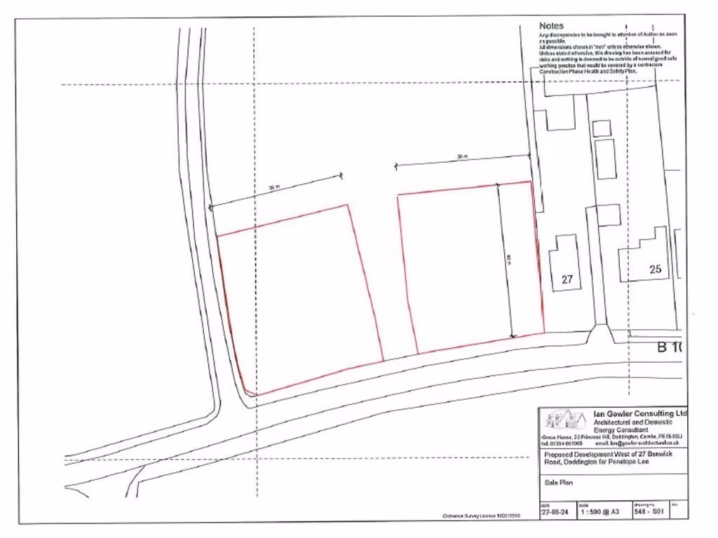
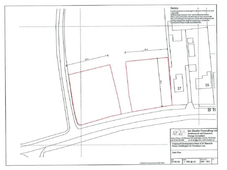
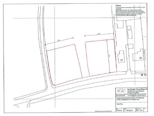
- **Plot Details:** Individual building plot; 4 total available; each plot measures approximately 18m wide by 40m long.
- **Planning Permission:** Outline planning permission granted under reference F/YR23/0807/O.
- **Utilities:** Water connection established; electricity access nearby.
- **Location:** Situated in the charming village of Doddington, surrounded by open countryside and existing residential areas.
- **Accessibility:** Excellent mobile signal; local amenities within walking and cycling distance.
Embark on your dream home journey with this impressive building plot on Benwick Road in the tranquil village of Doddington. Each generously sized plot offers 720 square meters, presenting a unique opportunity for residential development backed by outline planning permission. Enjoy the convenience of water already connected, while electricity is easily accessible, offering potential for a smooth construction process.
The surrounding area boasts a delightful mix of suburban living and nature, enhancing the appeal for families and investors alike. Top-rated primary schools are just a short distance away, securing the area’s appeal for families. With its serene atmosphere, yet close proximity to local amenities such as parks and shops, this plot is a rare find in today’s market. Don’t miss out on the chance to create a bespoke home in a community-minded setting—opportunities like this don’t last long!
Land for sale in Benwick Road, Doddington, PE15 — £740,000 • 1 bed • 1 bath • 7750 ft²
Land for sale in May Meadows, Doddington, PE15 — £175,000 • 5 bed • 1 bath
Land for sale in Primrose Hill, Doddington, March, PE15 — £170,000 • 1 bed • 1 bath
Land for sale in May Meadows, Doddington, PE15 — £175,000 • 5 bed • 1 bath
Land for sale in Plot 7, Hospital Road, Doddington, March, Cambs., PE15 0SL, PE15 — £130,000 • 4 bed • 1 bath
Land for sale in Plot 8, Hospital Road, Doddington, March, Cambs., PE15 0SL, PE15 — £130,000 • 4 bed • 1 bath










