Rare opportunity near excellent schools in affluent Formby, subject to planning consent.
Freehold plot in predominantly residential area near good schools and green spaces
May suit speculative development subject to planning permission (STP)
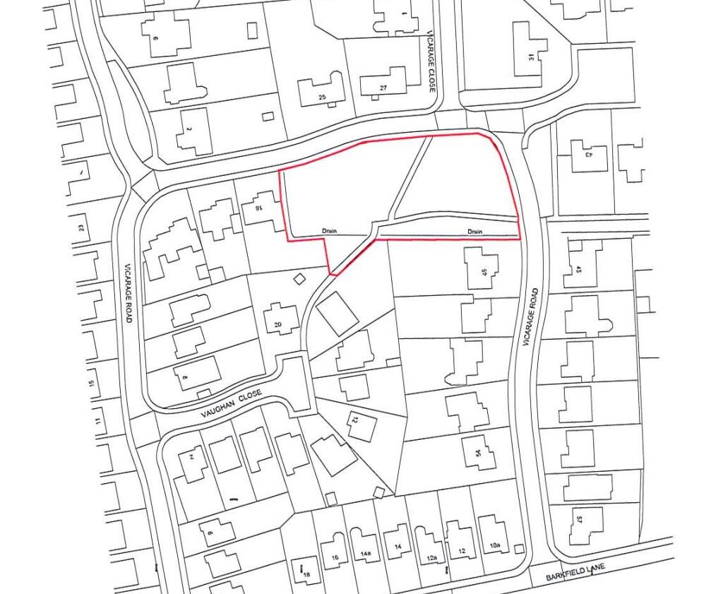
Tree Preservation Orders (TPOs) affect parts of the site
Public footpaths run across part of the land, limiting layout options
Sold at auction 11th–12th October 2025; sale is legally binding on purchase
Buyer's fees and administration charges apply; check legal pack for disbursements
Fast broadband, low crime and very affluent local area — strong location credentials
Advised to consult local planning authority and allow budget for surveys
This freehold plot sits to the south of Vicarage Road in a predominantly residential, affluent part of Formby. The location benefits from fast broadband, low crime, nearby good schools and suburban character, making it attractive to developers or investors seeking infill potential.
The site may suit speculative development subject to obtaining all necessary consents; interested parties should consult Sefton Council early. Note there are tree preservation orders (TPOs) and public footpaths crossing parts of the land, which will affect layout and build options.
The lot is being offered at auction (11th–12th October 2025). Bidders must be prepared for the legally binding contract on sale, immediate deposit and buyer’s fees. Buyers should review the legal pack for administration fees, buyer’s premium and any disbursements before bidding.
This plot offers redevelopment upside in a very affluent area but carries clear constraints: protected trees, footpath rights, planning uncertainty and auction-related costs. Successful purchasers should allow time and budget for surveys, planning advice and any mitigation works.
Plot for sale in College Avenue, Formby, Liverpool, L37 — £800,000 • 5 bed • 5 bath • 5800 ft²
Land for sale in Land Lying to the North East of, Wango Lane, Aintree, Sefton, L10 8LQ, L10 — £235,000 • 1 bed • 1 bath
3 bedroom property for sale in Park Lane, Maghull, L31 — £600,000 • 3 bed • 1 bath • 1818 ft²
Land for sale in Stamford Road, Southport, Merseyside, PR8 — £390,000 • 1 bed • 1 bath
3 bedroom detached bungalow for sale in Brows Lane, Formby, Liverpool, L37 — £450,000 • 3 bed • 1 bath • 2000 ft²
3 bedroom detached house for sale in Beechwood Drive, Formby, Liverpool, Merseyside, L37 — £375,000 • 3 bed • 1 bath


















