**Standout Features:**
- Large open farmland with considerable green space.
- Excellent mobile signal and fast broadband speeds.
- Very low crime rates in a prosperous countryside setting.
- Change of use potential, pending planning consent.
**Property Summary:**
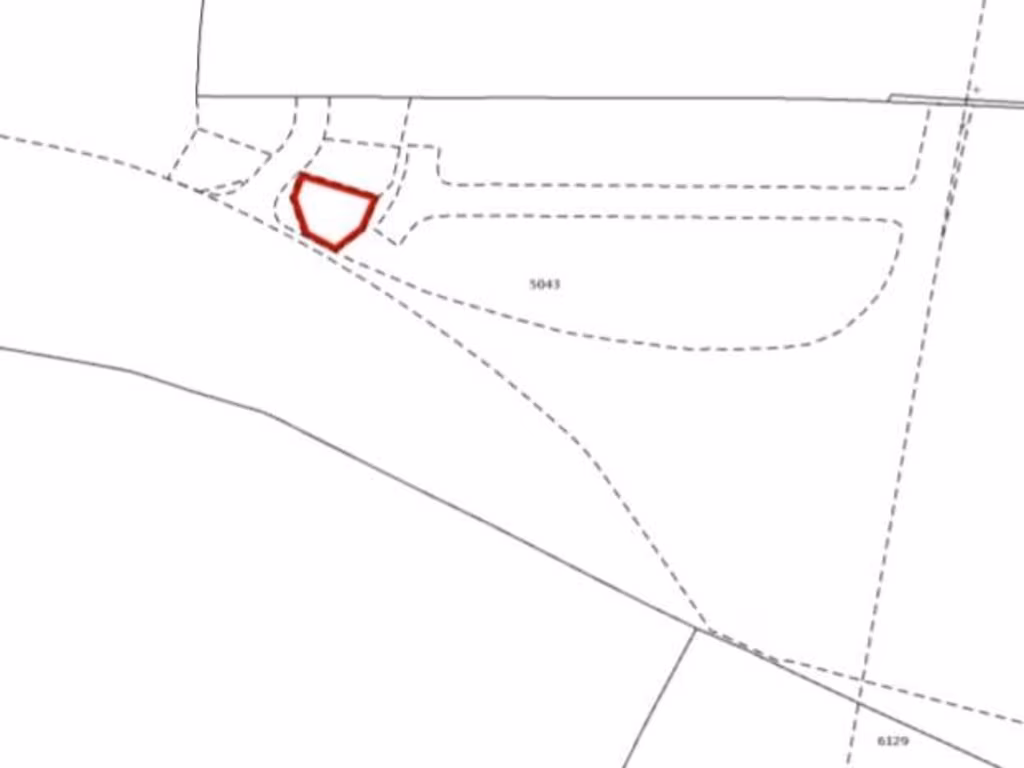
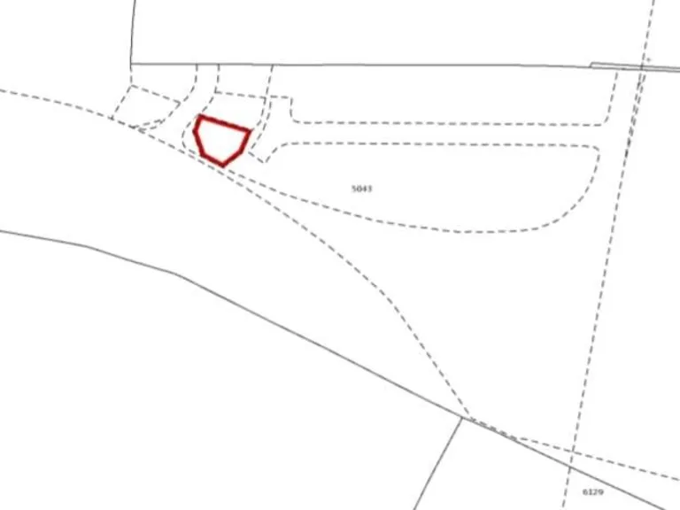
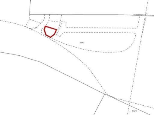
This expansive greenbelt agricultural land in the idyllic MK18 2JX postcode presents an enticing opportunity for those looking to invest in a tranquil rural lifestyle or unique development projects. Spanning a generous 1,076 square feet, this land is available with flexible pricing based on size—from £5,000 for 100m², scaling up to £8,000 for 400m²—making it a lucrative option for investors or potential homesteaders.
Nestled within a hamlet, the property benefits from outstanding access to local amenities, including leisure and sports facilities, and a range of well-rated Church of England state-funded primary schools, ensuring a nurturing environment for families. The area is affluent and renowned for its agricultural community lifestyle. However, any prospective alterations will require planning permission, inviting you to explore creative development opportunities.
Don't miss the chance to own a piece of this serene countryside, where the potential for growth and peace of mind awaits!
Land for sale in Buckingham Road, Addington, Buckingham, MK18 2JX, MK18 — £20,000 • 1 bed • 1 bath
Land for sale in Buckingham Road, Addington, Buckingham, MK18 2JX, MK18 — £18,000 • 1 bed • 1 bath
Farm land for sale in Lot 2 - Pastureland Adjacent New House Farm, Westcott, Aylesbury, Buckinghamshire, HP18 0QD, HP18 — £700,000 • 1 bed • 1 bath
Land for sale in Winslow Road, Granborough, Buckingham, MK18 3NQ, MK18 — £425,000 • 1 bed • 1 bath • 18902 ft²
Land for sale in Thame Road, Blackthorn, Bicester, OX25 — £100,000 • 1 bed • 1 bath
Farm land for sale in Pastureland & Building Off Singleborough Road, Thornborough, Buckingham, MK17 0HL, MK17 — £400,000 • 1 bed • 1 bath














































