Decent-sized freehold rural plot close to Addington and Winslow, sold without planning consent..
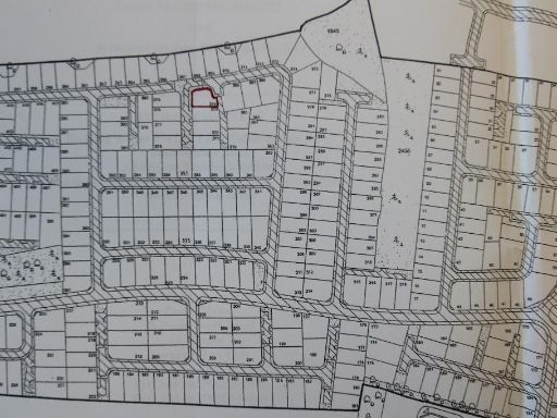
Freehold parcel approx 307m2 in rural Buckinghamshire
A sizeable freehold land parcel of around 307m2 occupies a quiet, rural setting near Addington and Winslow. The flat, open plot offers straightforward agricultural or development potential for buyers prepared to secure planning consent. The surrounding area is very affluent with very low crime and excellent mobile signal, making the site attractive for a range of uses.
This sale is offered without planning or change-of-use consent. Any buyer should allow time and budget to obtain planning permission and statutory approvals; broadband is very slow at the site, which may affect some uses. Flood risk is nil and the hamlet location gives privacy but limited immediate services.
Nearby schools include several good-rated primary and secondary options, and the plot sits within easy reach of local villages. At the asking price of £16,000 this parcel may suit an investor, local farmer, or purchaser seeking a small development or private amenity space, subject to successful planning.
Prospective buyers should commission their own site surveys and check local planning policy before purchase. The freehold tenure and decent plot size are clear positives; the absence of services and the need to apply for planning are the principal constraints to factor into proposals.
Land for sale in Buckingham Road, Addington, Buckingham, MK18 2JX, MK18 — £14,000 • 1 bed • 1 bath
Land for sale in LAND Plots 48 Brackley Road MK18 1JD, MK18 — £10,000 • 1 bed • 1 bath
Land for sale in Berryfields Road, Quarrendon, HP22 — £35,000 • 1 bed • 1 bath
Land for sale in London Road, Buckingham, Buckinghamshire, MK18 1SZ, MK18 — £4,000 • 1 bed • 1 bath • 4792 ft²
Land for sale in Winslow Road, Granborough, Buckingham, MK18 3NQ, MK18 — £400,000 • 1 bed • 1 bath
Farm land for sale in Lot 2 - Pastureland Adjacent New House Farm, Westcott, Aylesbury, Buckinghamshire, HP18 0QD, HP18 — £700,000 • 1 bed • 1 bath






















