**Standout Features:**
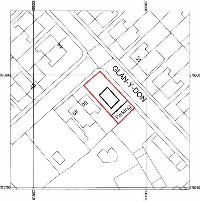
- Plot of land with outline planning permission for a three-bedroom detached house (Planning Reference Number: 059506).
- Located in a popular residential area of Greenfield, with access to community amenities like parks and playgrounds.
- Freehold tenure providing long-term ownership benefits.
**Notable Considerations:**
- Set in a semi-detached aging neighborhood with above-average crime rates and lower socioeconomic indicators.
- Currently, no council tax assessment available.
- Good potential for future development, but buyers should assess local environmental factors.
This plot offers a unique investment opportunity, perfect for those looking to create their dream home. Located in a desirable corner of Greenfield, it boasts planning permission for a spacious three-bedroom detached house—a rarity in this community. The area is surrounded by charming amenities, including leisure pitches, woodlands, and playgrounds, making it suitable for families.
While the locality ranks above average in crime and has notable economic challenges, the chance to develop in such a location should not be overlooked. With fast broadband and average mobile signal, you can stay connected as you build. Don’t miss out on this affordable chance to tailor your ideal living space in Greenfield; properties like this, with approved plans, tend not to last long on the market!
Land for sale in Elfed Drive, Buckley, CH7 — £160,000 • 1 bed • 1 bath • 2713 ft²
Land for sale in Lot 1 (Building plot) at Bay Tree Cottage, Pentre Lane, Buckley CH7 — £150,000 • 3 bed • 2 bath • 861 ft²
Plot for sale in Carmel, Holywell, CH8 — £280,000 • 6 bed • 6 bath • 1776 ft²
Land for sale in Nant Mawr Road, Buckley, CH7 — £125,000 • 1 bed • 1 bath • 409 ft²
Land for sale in Halkyn Street, Holywell, CH8 — £230,000 • 1 bed • 1 bath • 1045 ft²
Land for sale in Land at 28 Calthorpe Drive, Prestatyn, LL19 — £179,000 • 1 bed • 1 bath






















