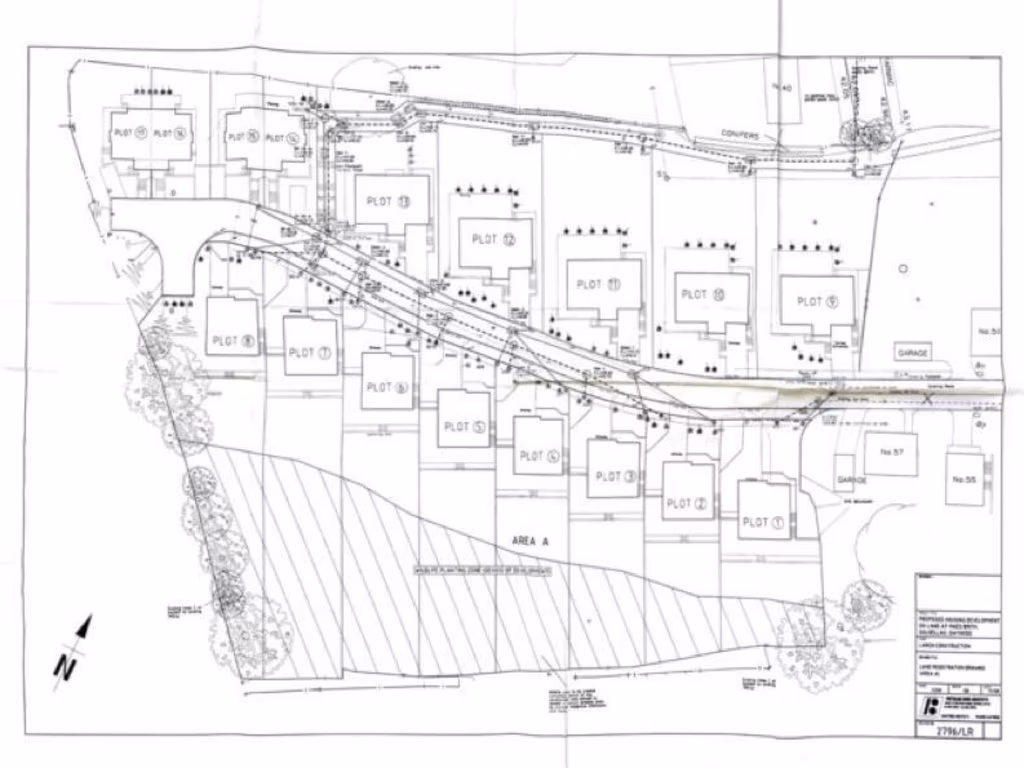
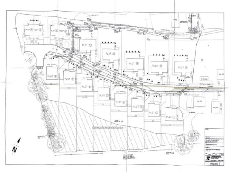
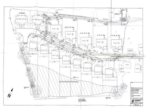
**Standout Features:**
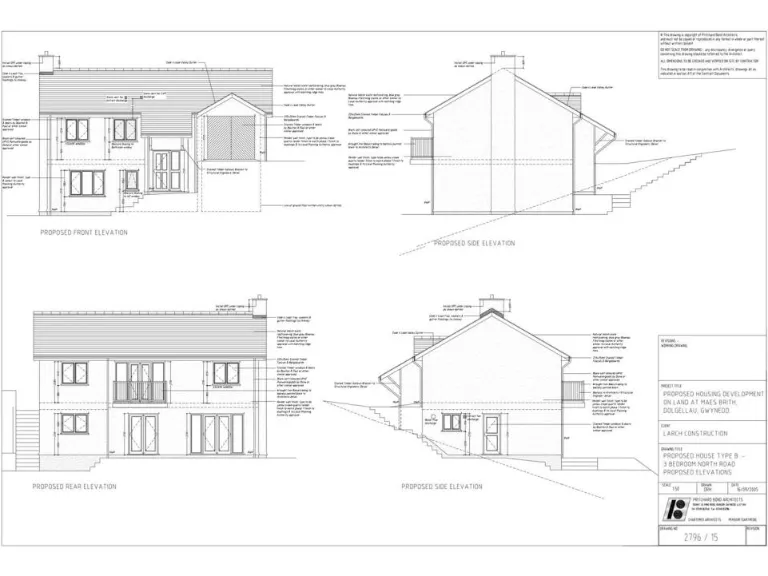
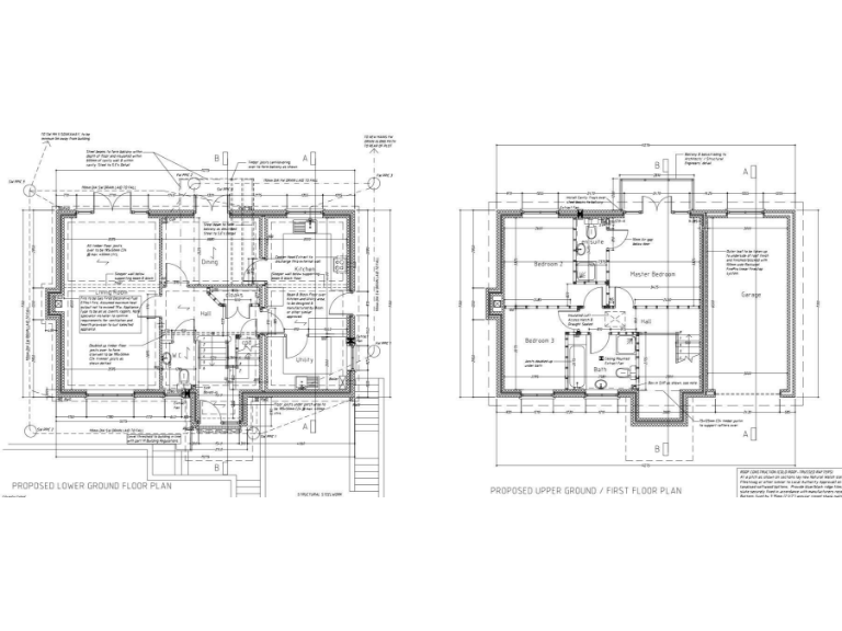
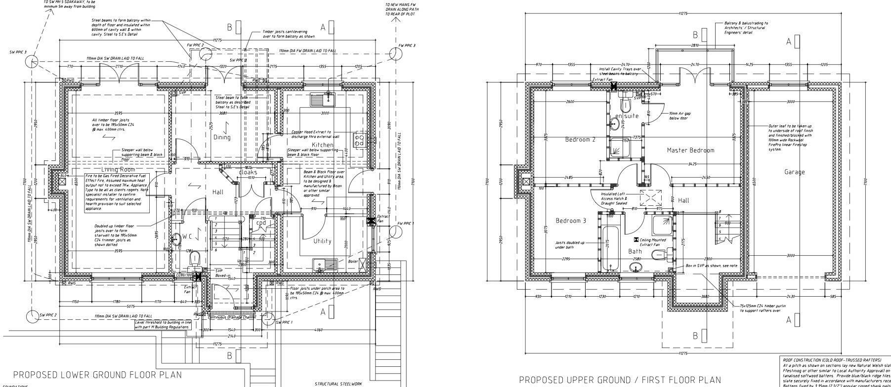
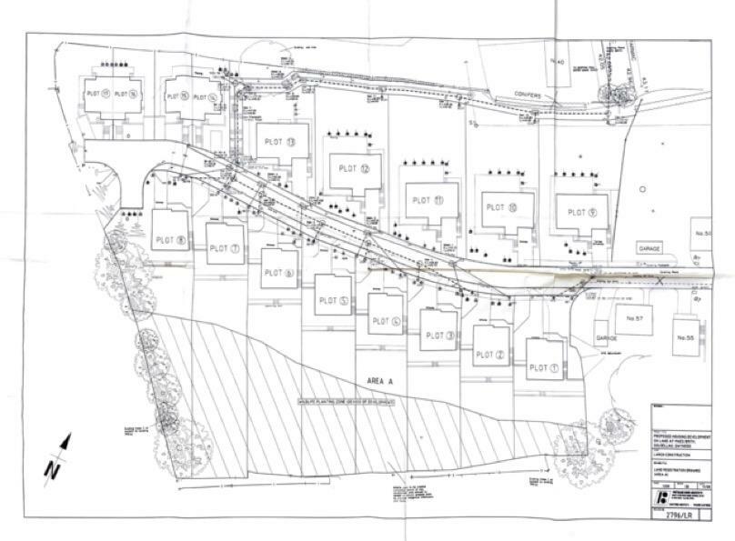
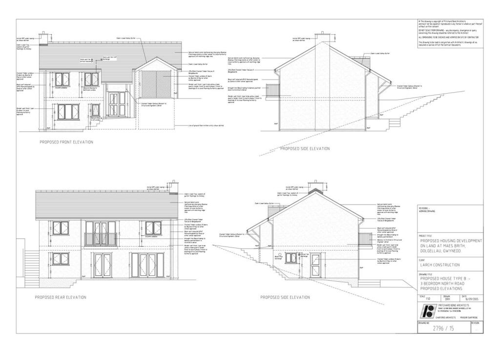
- Two fully serviced building plots with planning permission for 3-bedroom, 2-reception room homes.
- Approved under 2006 building regulations, offering potential cost savings.
- Elevated position with stunning views of Dolgellau and surrounding countryside.
- Excellent access for construction and vehicle movement.
- Close proximity (10-minute walk) to the bustling town center and essential amenities.
- Located in the scenic Snowdonia National Park, just 10 miles from sandy beaches.
- Freehold tenure with onsite utilities (mains water, gas, drainage).
**Summary:**
Discover a rare opportunity to invest in two fully serviced building plots in the picturesque market town of Dolgellau, nestled at the foot of the breathtaking Cader Idris mountain range. Each plot comes with approved plans for modern 3-bedroom homes featuring two spacious reception rooms, ideal for families or potential landlords. Set in an elevated position, the plots promise glorious views, transforming any residence into a tranquil retreat.
Thanks to the existing planning permissions under the 2006 building regulations, you stand to gain significant savings on construction costs, making this an attractive venture for astute investors. The vibrant town center, only a 10-minute stroll away, offers all essential services, with the beautiful beaches of the coast just 10 miles beyond. With low local crime rates and an excellent mobile signal, this area presents an idyllic and secure living environment. Don't miss out on this unique opportunity to create your dream homes or smart investment properties in one of Wales' most charming locales—seize your chance before it's gone!
Plot for sale in Maesbrith, Dolgellau, LL40 — £60,000 • 3 bed • 2 bath • 945 ft²
Plot for sale in Plot 7 & 8, Maesbrith, Dolgellau, LL40 1LF, LL40 — £50,000 • 4 bed • 2 bath • 2077 ft²
Plot for sale in Bedw Arian, Talybont, LL43 — £100,000 • 3 bed • 1 bath • 505 ft²
Plot for sale in Llwyn Du, LLwyngwril, Gwynedd, LL37 — £158,000 • 1 bed • 1 bath
Plot for sale in Yr Efail, Dinas Mawddwy, Machynlleth, SY20 9LL, SY20 — £80,000 • 2 bed • 1 bath
3 bedroom detached house for sale in Hyfrydle, Maes Caled, Dolgellau LL40 1UE, LL40 — £229,995 • 3 bed • 1 bath • 1221 ft²


















































































