BL4 7HH - Land for sale in Land To Rear of Campbell Street, Farnworth…

View on Property Piper

Land for sale in Land To Rear of Campbell Street, Farnworth, Bolton, Lancashire BL4 7HH, BL4

Summary - 24 CAMPBELL STREET FARNWORTH BOLTON BL4 7HH

1 bed 1 bath Land

Compact freehold plot with development potential — sold at auction, buy after due diligence..
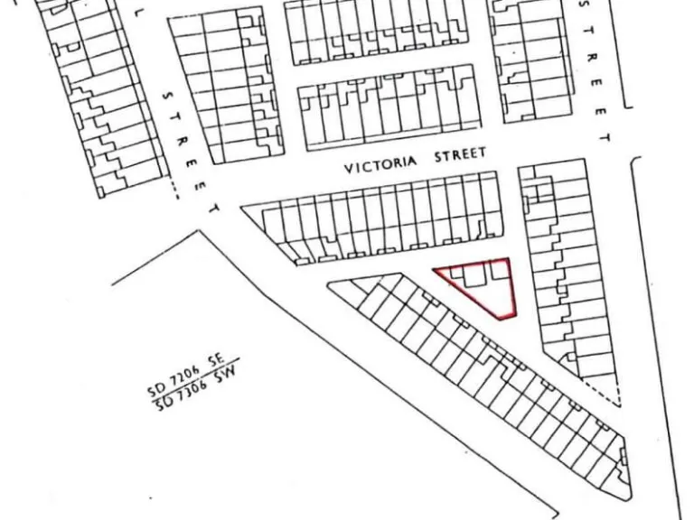
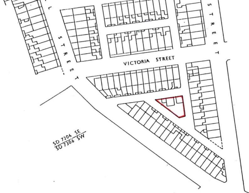
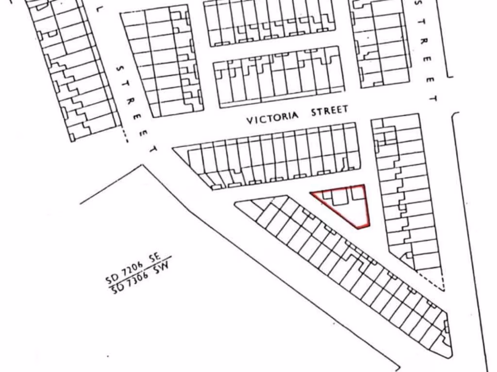
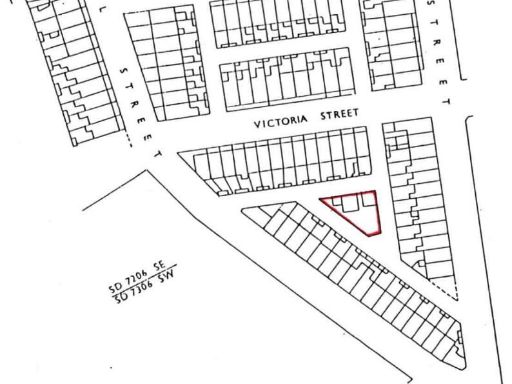
- Triangular freehold plot, approx. 200m2, rear of Campbell Street
- Access from Campbell, Cawdor and Victoria Streets
- May suit small development or storage, subject to planning (STP)
- No flood risk; excellent mobile signal and fast broadband
- Subject to unregistered 1879 lease covering adjoining land
- Council notice (2014) regarding rubbish deposited on site
- Sold at auction — immediate deposit, buyer’s premium and admin fee apply
- Located in a very deprived area; local market demand may be constrained
A triangular freehold plot of approximately 200m2 located to the rear of Campbell Street, with pedestrian/vehicular access from Campbell, Cawdor and Victoria Streets. The site is currently grassed and lies within a residential area south of Bolton, presenting potential for a small development, garden space or storage subject to planning and consents.

This lot may appeal to investors, small developers or local businesses seeking a compact urban parcel with good connectivity — excellent mobile signal and fast broadband support various uses. There is no identified flood risk and crime levels in the area are very low.

Buyers must note material title and historic condition issues: the land is subject to an unregistered 1879 lease covering adjoining land, and a 2014 council notice regarding rubbish was issued. The plot will be sold at auction; successful bidders must pay the deposit and fees immediately and satisfy anti‑money laundering checks.

Practical costs and restrictions include an administration fee (2.5% inc VAT, minimum £2,500) and a buyer’s premium (£900 inc VAT). Interested parties are strongly advised to consult Bolton Council and review the legal pack before bidding to confirm planning prospects, title position and any additional disbursements.

Property Details

Image Descriptions

Textual Property Features

Target Audience

AI Tags

Detected Visual Features

Nearby Schools

Nearest Bars And Restaurants

,,,,}

Nearest General Shops

,,}

Nearest Grocery shops

,,}

Nearest Supermarkets

,,}

Nearest Religious buildings

,,}

Nearest Medical buildings

,,,}

Nearest Airports

}

Nearest Leisure Facilities

,,,,}

Nearest Tourist attractions

,,}

Nearest Train stations

,,,,}

Nearest Bus stations and stops

,,,,}

Nearest Hotels

,,}

Tags

Local Market Stats

AirBnB Data

Similar Properties

Meta

High Res Images

Compatible Images

Low res Images

Thumbnails

Raw Images