**Standout Features:**
- Four spacious bedrooms
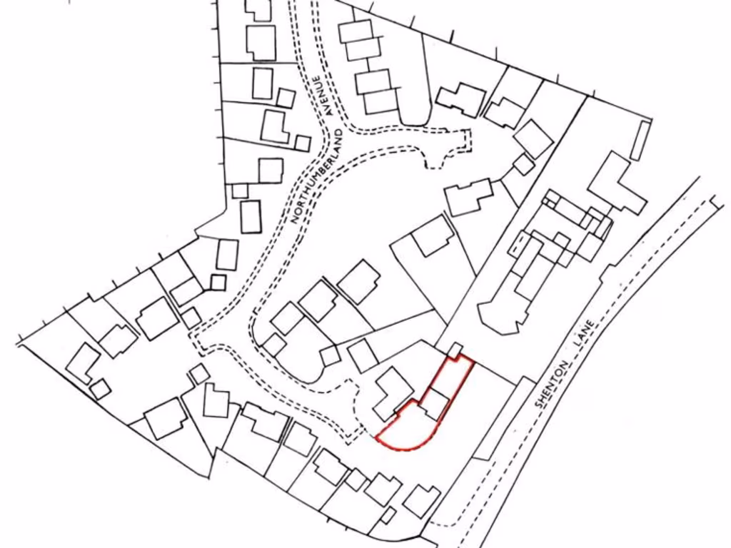
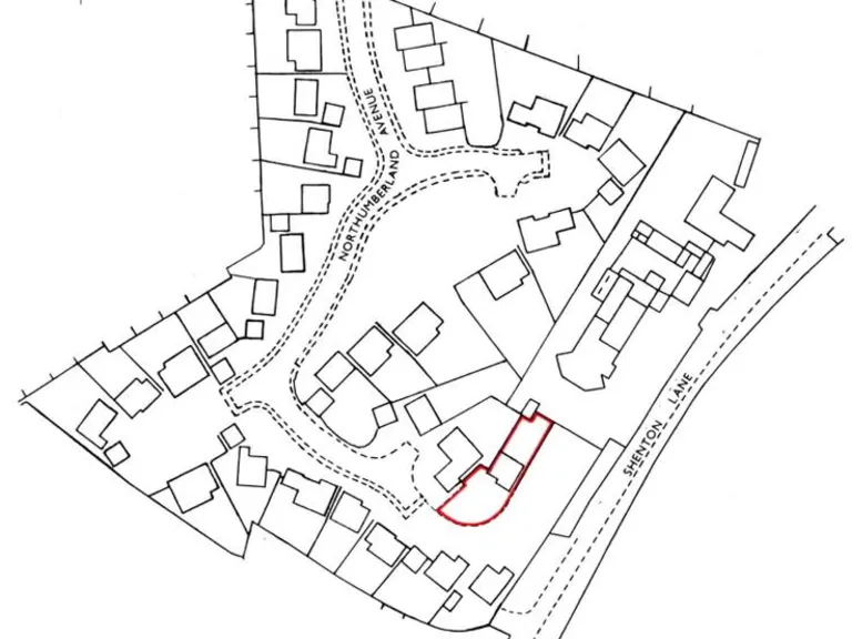
- Quiet cul-de-sac location in Market Bosworth
- Generous plot with landscaped gardens, including a summer house
- Large kitchen dining room with French doors to the garden
- Off-road parking with two driveways and an adjoining single garage
- Freehold tenure, chain-free sale
**Concise Summary:**
Nestled in a tranquil cul-de-sac in the desirable town of Market Bosworth, this beautifully maintained four-bedroom detached family home is an inviting sanctuary. With a generous plot, the property features a large front garden and two driveways, ensuring ample off-road parking. Inside, a bright and welcoming entrance hall leads to a spacious kitchen dining room, seamlessly connecting to the landscaped rear garden through French doors—a perfect setting for family gatherings. The ground floor also includes a cozy sitting room, a versatile study, and convenient utility space.
Upstairs, you'll find four well-sized bedrooms, offering versatile accommodation for families or remote workers. The modern family bathroom maintains a fresh and contemporary style. The rear garden is an ideal retreat, featuring scenic terraces and a charming summer house, allowing you to enjoy outdoor leisure. While the home's condition is excellent, it's crucial to note the property's EPC Rating of C and a Council Tax Band of F, indicative of its costs. This charming family home combines comfort with potential, in a location sought after for its picturesque surroundings and excellent local amenities. Don’t miss out on this opportunity—schedule a viewing today!
3 bedroom detached house for sale in York Close, Market Bosworth, CV13 — £369,950 • 3 bed • 1 bath • 1290 ft²
4 bedroom detached house for sale in Northumberland Avenue, Market Bosworth, CV13 — £575,000 • 4 bed • 2 bath • 1226 ft²
5 bedroom detached house for sale in Station Road, Market Bosworth, CV13 — £725,000 • 5 bed • 2 bath • 2073 ft²
3 bedroom semi-detached house for sale in Spinney Hill, Market Bosworth, CV13 — £289,950 • 3 bed • 1 bath • 1007 ft²
3 bedroom semi-detached house for sale in Sedgmere Road, Market Bosworth, CV13 — £359,950 • 3 bed • 2 bath • 929 ft²
4 bedroom detached house for sale in Hornsey Rise, Wellsborough,, CV13 — £900,000 • 4 bed • 4 bath • 2763 ft²










































































