CF34 9EU - Land for sale in Llwydarth Road, Maesteg, CF34

View on Property Piper

Land for sale in Llwydarth Road, Maesteg, CF34

Summary - Llwydarth Road, Maesteg CF34 9EU

1 bed 1 bath Land

**Standout Features:**
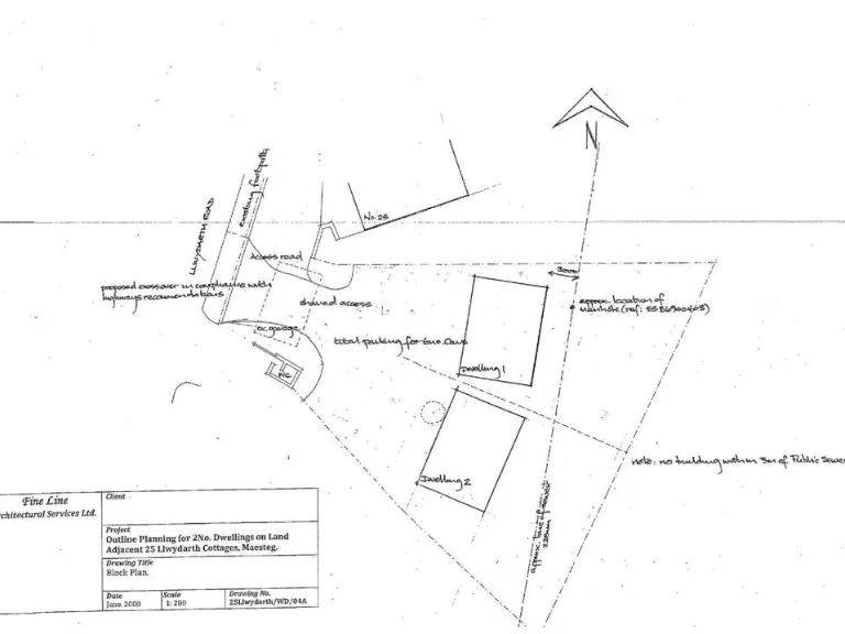
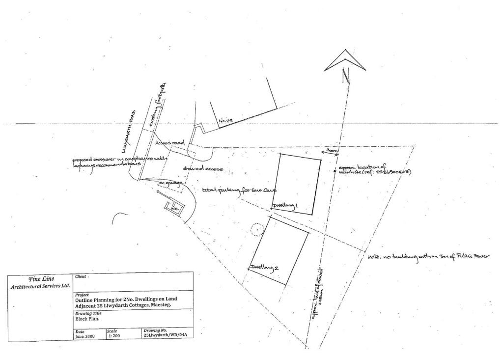
- Two building plots available for sale at £67,500 per plot
- Outline planning permission for two detached three-bedroom homes
- Scenic views with a serene, verdant backdrop
- Proximity to local amenities and public transport
- Ideal for creating personalized residences

**Summary:**
Seize the unique opportunity to build your dream home on two spacious plots located on Llwydarth Road, Maesteg. Priced at £67,500 each, these plots come with outline planning permission for two detached three-bedroom dwellings, making them perfect for aspiring homeowners or investors looking to develop rental properties in a growing area.

Nestled in a semi-urban setting, these plots provide peaceful views and an ideal balance of privacy while being just a stone's throw away from essential amenities. With fast broadband, excellent mobile signal, and a variety of local shops and recreational facilities within easy reach, this location promises comfort and convenience for future residents.

While the area may have some socio-economic challenges, the chance to create personalized homes in this evolving community presents significant potential for future growth. Don't miss out on this enticing development opportunity—secure your plot today and start envisioning the possibilities!

Property Details

Brochure Descriptions

Image Descriptions

Textual Property Features

Detected Visual Features

Nearest Bars And Restaurants

,,,,}

Nearest General Shops

,,}

Nearest Grocery shops

,,}

Nearest Supermarkets

,,}

Nearest Religious buildings

,,}

Nearest Medical buildings

,,,}

Nearest Airports

}

Nearest Leisure Facilities

,,,,}

Nearest Tourist attractions

,,}

Nearest Train stations

,,,,}

Nearest Bus stations and stops

,,,,}

Nearest Hotels

,,}

Tags

Local Market Stats

Similar Properties

Meta

High Res Images

Compatible Images

Low res Images

Thumbnails

Raw Images