**Property Highlights:**
- **Approved Planning Permission**: Detached 2.5 storey house with off-road parking.
- **Location**: Sought-after residential area near Salisbury city centre.
- **Strong Community**: Access to reputable schools, including top-rated independent options.
- **Convenient Amenities**: A variety of leisure activities within walking and cycling distance.
- **Plot Size**: Decent-sized lot that is level and ready for construction.
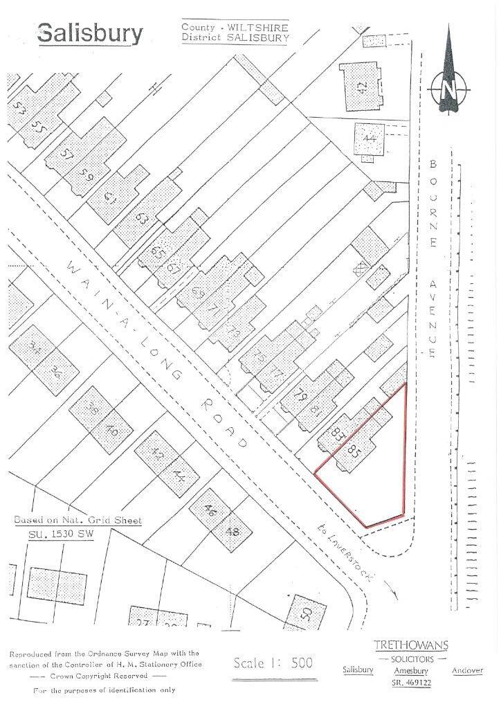
This excellent building plot located on Wain-a-Long Road in Salisbury presents a unique opportunity for both families and investors. With full planning permission approved for a stylish detached 2.5 storey house, this property is poised to become a wonderful family home. The thoughtfully designed layout includes a spacious ground floor with an inviting entrance hall, a bright lounge with a bay window, a modern kitchen/dining area, and essential utility and cloakroom spaces. The first floor accommodates two double bedrooms and two bathrooms, while the top floor features an additional double bedroom, perfect for flexibility in living arrangements.
Nestled in a highly desirable area, the plot benefits from easy access to local schools known for their quality education, alongside various recreational amenities for a vibrant lifestyle. The low crime rate and affluent community add to the appeal of this property, ensuring a secure and comfortable living environment. With off-road parking and the potential for customization, this plot is an investment in both residential comfort and future growth. Don’t miss the chance to create your dream home in this charming city setting; properties like this don’t stay on the market long!
2 bedroom detached house for sale in Lower Street, Salisbury , SP2 — £250,000 • 2 bed • 1 bath • 517 ft²
Plot for sale in Devizes Road, Salisbury, SP2 — POA • 1 bed • 1 bath
Residential development for sale in Rollestone Street, Salisbury, Wiltshire, SP1 — £900,000 • 12 bed • 1 bath
Plot for sale in East Gomeldon Road, Gomeldon, SP4 — £450,000 • 4 bed • 1 bath • 1000 ft²
Plot for sale in Larkhill Road, Durrington, Salisbury, SP4 — £900,000 • 1 bed • 1 bath
Plot for sale in Great Durnford, Salisbury, SP4 — £425,000 • 1 bed • 1 bath • 3035 ft²














