**Standout Features:**
- **Location:** Charming seaside village with picturesque views
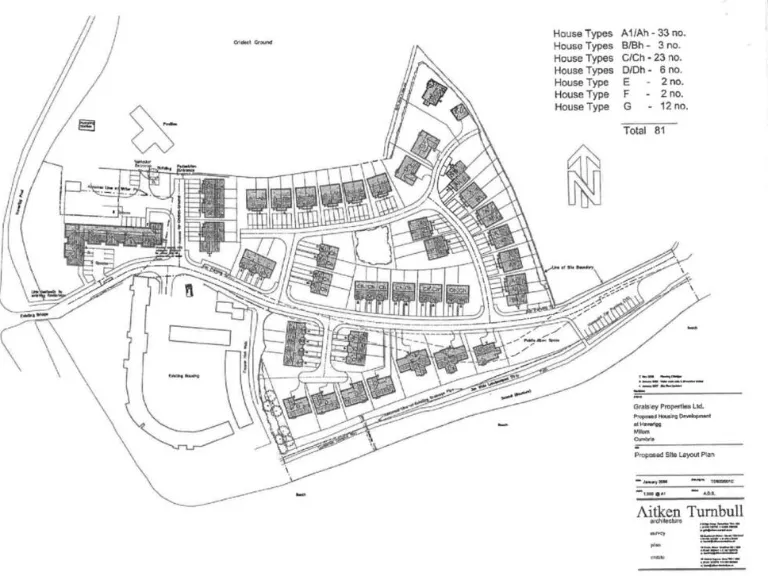
- **Planning Permission:** Current approval for 81 residential dwellings (Ref 07/2735/2008 and 09/2310/2016)
- **Freehold Tenure:** Offers long-term ownership stability
- **Site Size:** Generous area for expansive development
- **Community Amenities:** Close proximity to schools, leisure facilities, beaches, and tourism attractions
- **Crime Rate:** Very low, contributing to a secure living environment
**Potential Considerations:**
- **Market Dynamics:** Located in an area classified as industrious hardship, which may influence property values and rental yields
- **Connectivity:** Average mobile signal and slow broadband speeds may deter tech-savvy buyers
**Summary Description:**
Discover a rare and promising investment opportunity in a delightful seaside village, where expansive views meet substantial potential. This freehold residential development site comes with valuable and implemented planning permission for 81 modern dwellings, facilitating the creation of a vibrant community. Encompassing a significant area, the plot can accommodate a thoughtfully designed housing estate, tailored to modern living.
Strategically agreed upon by Copeland Borough Council, groundwork commenced in 2018, marking this as a ready-to-move-forward project. The local amenities—including schools rated 'Good' by Ofsted, a harbour, beach, and recreational facilities—ensure an appealing environment for families and residents alike.
Embrace this unparalleled opportunity to shape a valuable asset in a tranquil seaside location before it slips away!
Plot for sale in Millom Road, Millom, LA18 — £600,000 • 1 bed • 1 bath
Plot for sale in Development Opportunity, Ambleside, LA22 OAP, LA22 — £1,500,000 • 15 bed • 10 bath
Land for sale in Development Site, Coast Road, Baycliff nr Ulverston, LA12 — £1,200,000 • 1 bed • 1 bath • 25700 ft²
Residential development for sale in LA18 5LS, LA18 — £360,000 • 1 bed • 1 bath
Property for sale in Armadale Residential Dev Site, Abbey Road, Barrow-In-Furness, Cumbria, LA13 — £399,000 • 1 bed • 1 bath
Land for sale in Moresby Parks Road, Moresby Parks, Whitehaven, CA28 — £275,000 • 1 bed • 1 bath






