**Standout Features:**
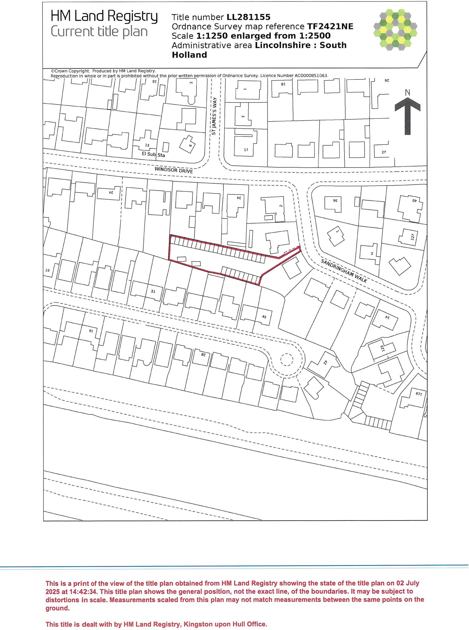
- Large plot size of approximately 1,077 square meters (11,590 sq ft)
- Chain-free sale with freehold tenure
- Situated in a prime location within walking distance to Spalding Town Centre
- Existing block of 33 garages, offering storage or parking options
- Extensive redevelopment potential, subject to planning permission
- Excellent mobile signal and fast broadband speeds
- Garage block in average condition; some maintenance may be needed
**Summary:**
Presenting a unique investment opportunity, this sizable garage block and potential redevelopment site off Sandringham Walk in Spalding offers significant value at £200,000. The property spans over 1,077 square meters, nestled within a residential area and just moments from the bustling Town Centre. The current structure consists of 33 garages, providing immediate utility for storage or rental income while the site’s location suggests promising potential for future residential development.
Emphasizing convenience, the property enjoys easy access to local amenities, good transport links—including rail connections to London—and is close to reputable schools rated 'Good' and 'Outstanding.' However, prospective buyers should note that the existing garages feature asbestos roofs and may require attention prior to redevelopment.
This seldom-seen combination of size, location, and potential makes it a prime candidate for investors or developers looking to capitalize on Spalding’s growth. With planning permission, you could reshape this site into residential spaces tailored for the community. Don’t miss the opportunity to transform this property into something extraordinary—viewing is by appointment only.















