**Key Features:**
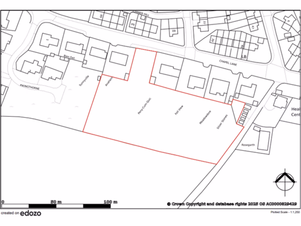
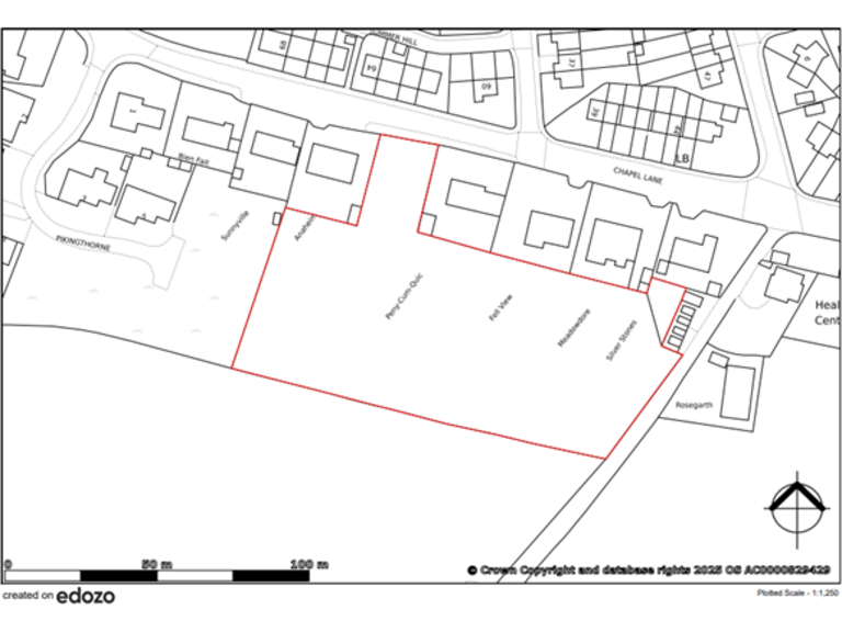
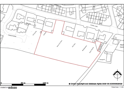
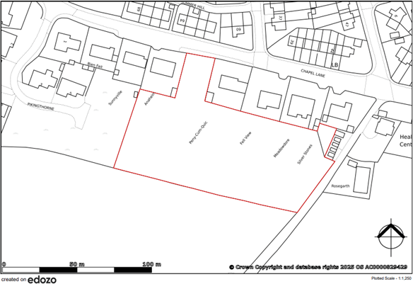
- Expansive development land: 2.036 acres (0.824 ha)
- Located in the picturesque Lake District National Park
- Allocated for housing under the Local Plan 2020-2035 (Site ‘WDA02H’)
- Access via Chapel Lane, close to A595
- Stunning panoramic views of rolling countryside
- Quaint village of Bootle nearby with essential amenities
This impressive 2.036-acre plot of land in Bootle, Millom offers an exceptional opportunity for development within the Lake District National Park. With planning permission allocated for housing under the Local Plan until 2035, this flat expanse is perfectly suited for various residential projects. Enjoy breathtaking countryside views and a tranquil semi-rural setting, all while remaining conveniently close to vital local amenities, including a church, general store, and cafes.
Don’t miss out on the chance to develop in this highly sought-after area, boasting secure and scenic living with a very low crime rate. Whether you're an investor looking to create a new community or a developer aiming to build housing that merges with nature, this property provides the potential for growth and a unique lifestyle all at an inviting guide price of £120,000. Act quickly—opportunities like this in the heart of the Lake District won't last long!
Land for sale in Land At Monk Moors, Eskmeals, Millom, LA19 — £40,000 • 1 bed • 1 bath
Residential development for sale in LA18 5LS, LA18 — £360,000 • 1 bed • 1 bath
Land for sale in Approx. 14 Acres (5.7ha) of Agricultural Land at High Saltcoats, CA19 — £100,000 • 1 bed • 1 bath
Property for sale in Millstones Business Centre, Bootle, Cumbria, LA19 — £300,000 • 1 bed • 1 bath
Land for sale in Approx. 81.58 Acres (33ha) of Agricultural Land at Eskdale, Holmrook, CA19 — £200,000 • 1 bed • 1 bath
Land for sale in Approx. 23.60 Acres of Arable or Grazing Land at Saltcoats, Holmrook, CA19 — £160,000 • 1 bed • 1 bath














