**Standout Features:**
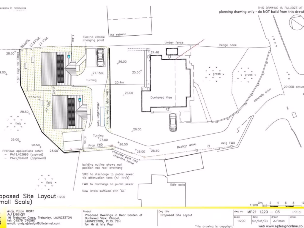
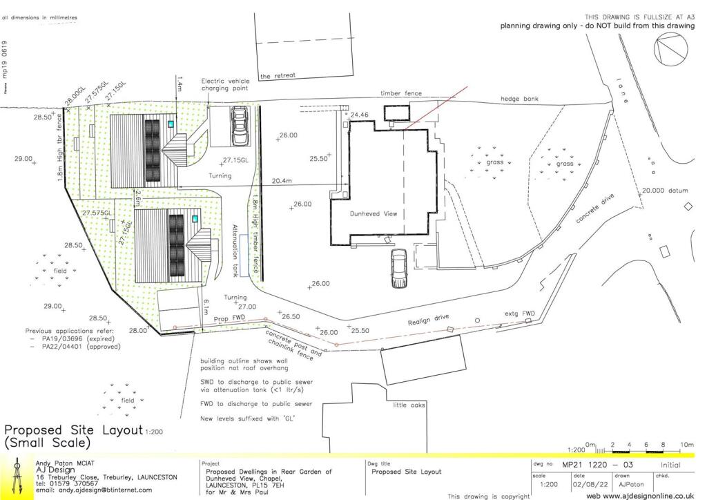
- Two building plots with conditional outline planning permission for detached properties
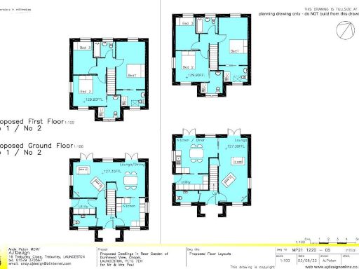
- Plans for 3-bedroom homes with en-suite bathrooms, spacious living areas, and gardens
- Location in Chapel on the outskirts of Launceston
- Shared driveway and off-street parking planned for both properties
- Environmental features like bird and bee boxes included in the designs
- Very low crime area; strong community with access to essential amenities
**Potential Concerns:**
- Current garden is overgrown and requires maintenance
- Planning conditions include a drainage plan and potential Community Infrastructure Levy
- Broadband speeds are slow, possibly impacting remote work or streaming
Discover an exceptional opportunity to develop two thoughtfully designed detached homes on peaceful plots in Chapel, just beyond Launceston. With conditional outline planning permission secured (PA23/03923), your vision for three-bedroom homes featuring en-suite facilities, spacious lounges, and open-plan kitchen-diners can become a reality. The attractive modern style, complete with environmental considerations including built-in bird and bee boxes, resonates with today’s buyers seeking sustainability.
Set in a community with low crime rates and essential amenities just a short walk away, these plots offer both tranquility and convenience. Ideal for families or investors alike, this opportunity is chain-free and no longer available for long. Please note that the current garden condition requires restoration, but the potential here is truly remarkable. Don’t miss out on this promising venture in a charming rural location—secure your future investment today!
Plot for sale in Chapel, Launceston, PL15 — £550,000 • 1 bed • 1 bath
Plot for sale in Chapel, Launceston, PL15 — £475,000 • 1 bed • 1 bath
Plot for sale in South Petherwin, Launceston, PL15 — £159,950 • 1 bed • 1 bath
3 bedroom detached house for sale in Kensey View, Launceston, PL15 — £75,000 • 3 bed • 1 bath
Plot for sale in South Petherwin, Launceston, PL15 — £159,950 • 1 bed • 1 bath
Land for sale in 5 Exeter Street, Launceston, Cornwall, PL15 9EQ, PL15 — £145,000 • 1 bed • 1 bath • 12632 ft²






































