Ready-to-build waterfront plot with consented high-spec apartments and parking.
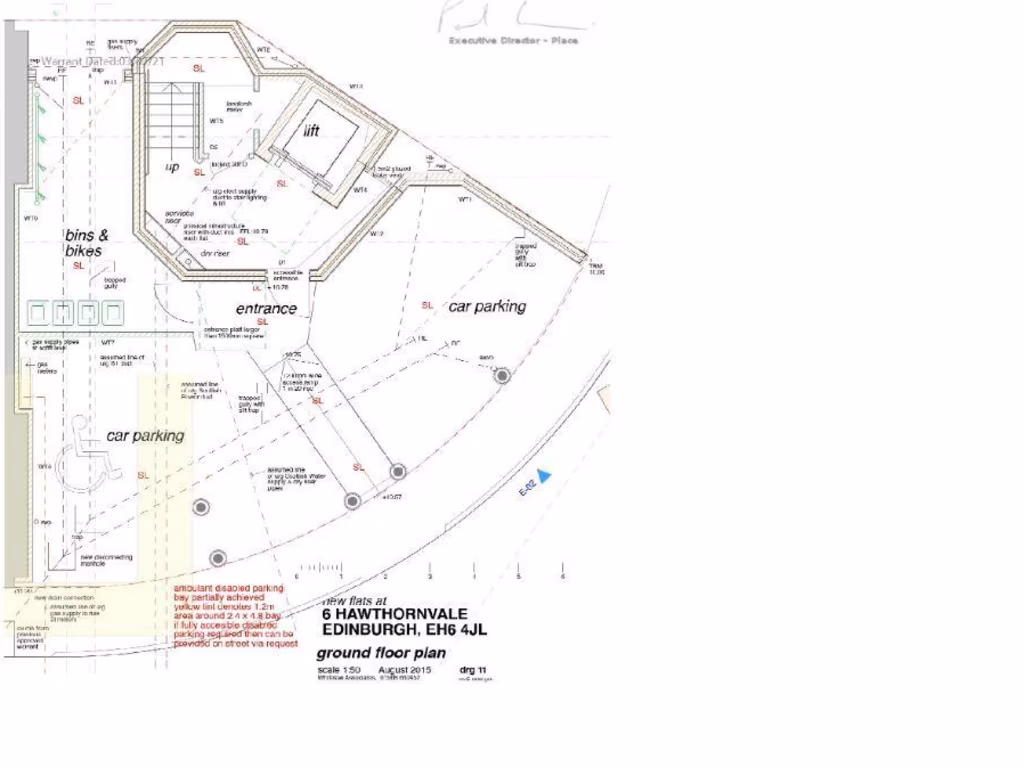
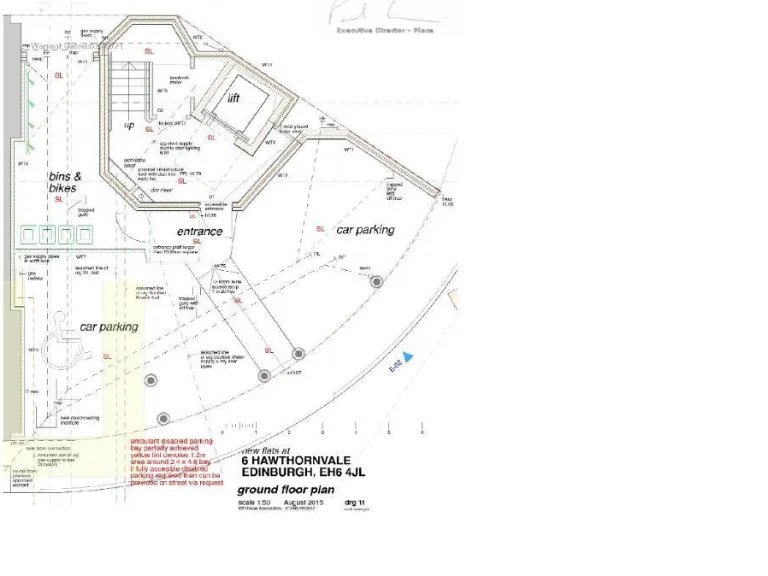
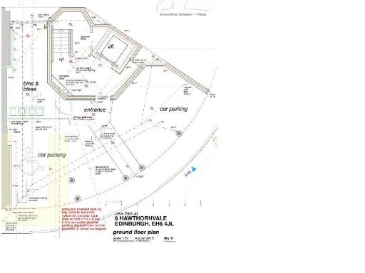
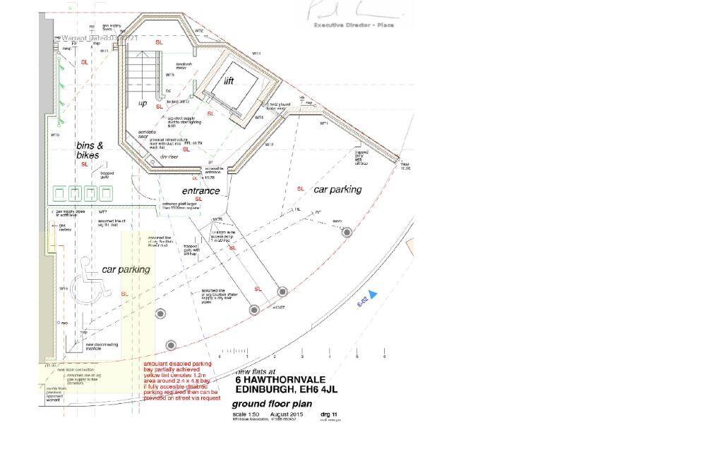
Planning permission for four apartments including 125 sqm penthouse over two floors
Previously approved building warrant and material start order in place
Covered off-street parking with lift access and private balconies
Premium specification planned; penthouse includes terrace, en-suites, study
Close to Newhaven Harbour, tram terminus, supermarkets and parks
Local broadband speeds are slow — may limit some occupiers' connectivity
Area classified as very deprived; consider lettability and rental demand mix
Freehold plot with generous footprint and urban development potential
A rare development plot with planning permission for four high-spec apartments, set back from the main road with covered off-street parking and lift access. The scheme includes a substantial two-storey 125 sqm penthouse and three 72 sqm two-bedroom apartments, each with balconies and premium specification — attractive for buyers seeking contemporary, low-management city homes or buy-to-let opportunities.
The site benefits from previously approved building warrant and a material start order, reducing pre-construction lead time. Located in Newhaven close to the harbour and tram terminus, the location offers strong local amenities including supermarkets, parks and leisure facilities, while being within easy reach of the city centre and Ocean Terminal’s shops and leisure options.
Buyers should note practical constraints: the surrounding neighbourhood is classified as very deprived and local broadband speeds are slow, which may affect some occupiers. The consented scheme is contemporary and efficient, but any purchaser should budget for completion costs, specification choices and standard build contingencies despite the material start in place.
This plot suits developers or investor-builders targeting high-spec city apartments near Edinburgh’s waterfront, offering clear planning and parking provision. It presents immediate development potential but requires active project delivery to realise value.
Commercial development for sale in 2 Fraser Avenue, Edinburgh, EH5 2AE, EH5 — £145,000 • 1 bed • 1 bath
2 bedroom flat for sale in 11/38 Western Harbour Midway, Edinburgh, EH6 6LG, EH6 — £270,000 • 2 bed • 2 bath • 910 ft²
Land for sale in New Town Residences, 108-114 & 116 Dundas Street, Edinburgh, EH3 — £13,000,000 • 1 bed • 1 bath • 17947 ft²
Land for sale in Chester Street Lane, West End, Edinburgh, EH3 — £250,000 • 1 bed • 1 bath • 861 ft²
Land for sale in 35-39 Lanark Road, Craiglockhart, Edinburgh, EH14 — POA • 1 bed • 1 bath • 19166 ft²
Land for sale in 26 Dunedin Street, Edinburgh, EH7 4JG, EH7 — £2,500,000 • 1 bed • 1 bath










































