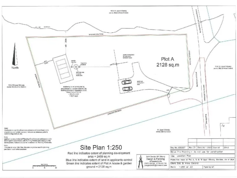
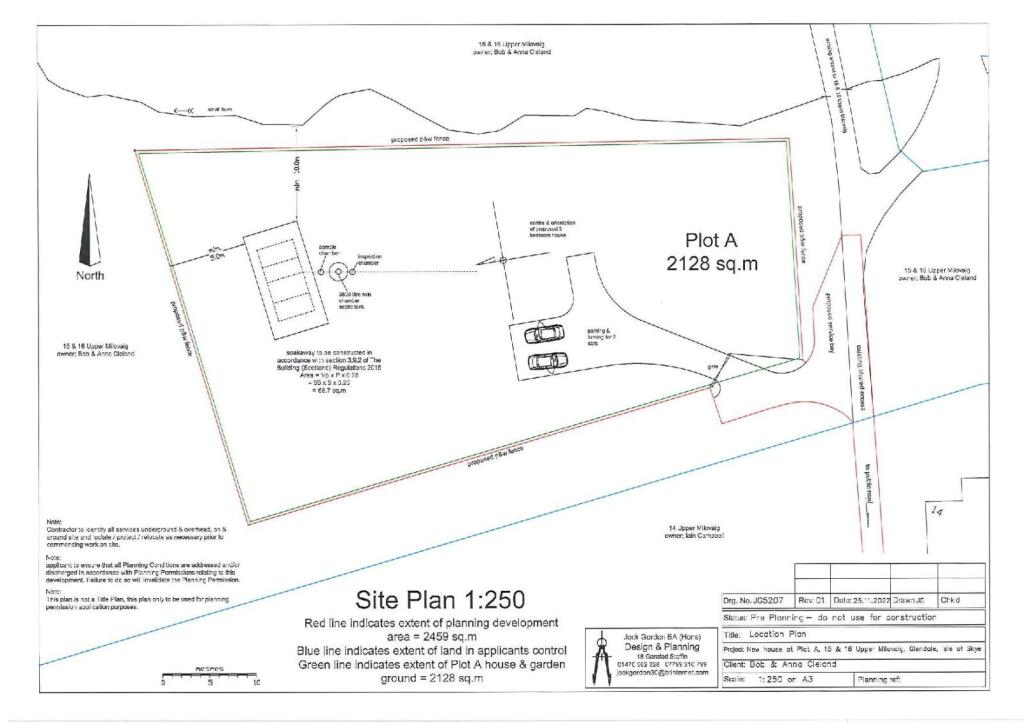
**Standout Features:**
- **Plot Size**: Approximately 0.53 acres
- **Planning Permission**: Grant for a single storey or 1.5 storey dwelling valid until 2026
- **Scenic Views**: Panoramic vistas of Loch Pooltiel and the Outer Isles
- **Elevated Location**: Positioned to maximize sea views
- **Access**: Via a shared track from a quiet township road
**Potential Downsides:**
- **Service Connections**: Purchasers must confirm availability of necessary services
- **Rural Setting**: Limited immediate amenities; suited for those seeking a serene lifestyle
Nestled in the tranquil Glendale area of the Isle of Skye, Plot A at 15 Upper Milovaig offers a rare opportunity to create your dream home on a generous plot of approximately 0.53 acres with planning permission for a single or one-and-a-half storey residence. Imagine waking up to breathtaking views of Loch Pooltiel and the Outer Isles, all from your elevated vantage point that ensures privacy and picturesque surroundings. The flat terrain allows for straightforward development, while potential connections to essential services need to be verified by the buyer.
This plot is perfect for families looking for a rural escape, investors seeking a valuable asset with substantial future potential, or anyone longing to immerse themselves in the unmatched beauty of the Scottish Highlands. With outdoor activities at your doorstep and the peaceful charm of countryside living, this exceptional plot won't be available for long. Don't miss your chance to secure a slice of Skye—viewing is highly recommended to truly appreciate the remarkable vistas on offer.
Plot for sale in Plot at 4 Feriniquarrie, Glendale, Isle of Skye, IV55 8WN, IV55 — £55,000 • 1 bed • 1 bath
Land for sale in Plot & Croft at 16 Lochbay, Waternish, Isle of Skye, IV55 8GD, IV55 — £150,000 • 1 bed • 1 bath
Land for sale in Plot A 11 Skinidin, Dunvegan, Isle of Skye IV55 8ZS, IV55 — £50,000 • 1 bed • 1 bath
Plot for sale in Plot at 8 Lower Fasach, Glendale, Isle of Skye, IV55 8WP, IV55 — £60,000 • 1 bed • 1 bath
Plot for sale in Dunvegan House Plot, Dunvegan, Isle Of Skye, IV55 — £82,500 • 1 bed • 1 bath
Land for sale in Uiginish, Dunvegan, Isle of Skye, IV55 8ZR, IV55 — £100,000 • 1 bed • 1 bath






















