Quarter-acre plot and derelict cottage with sweeping island and mainland views.
- Large coastal plot with panoramic views over Loch Indaal and Port Charlotte
- Traditional stone cottage: single-storey, derelict, requires full refurbishment
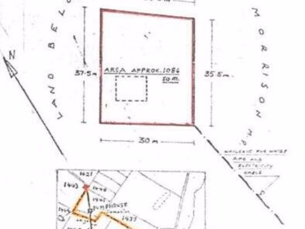
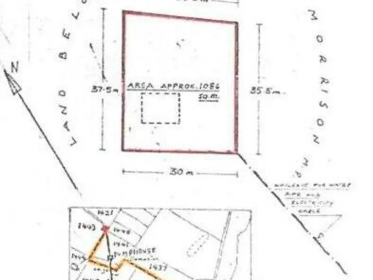
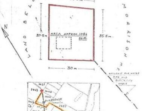
- Plot measured c.1,086 sq m (about a quarter acre)
- Final c.200m of access track needs reinstating to reach property
- Excellent mobile signal; broadband speeds reported as very slow
- Bordering croft land gives privacy and uninterrupted outlooks
- Tenure recorded as unknown; confirm services and legal rights before offer
- No recorded flood risk but remote location increases refurbishment costs
Set on an elevated coastal site on Islay, this large plot includes a traditional stone cottage with sweeping views over Loch Indaal and Port Charlotte. The cottage is derelict and offered as a renovation project or for redevelopment; an extension could blend well with the existing structure to maximise the panorama. The plot measures about 1,086 sq m (quarter acre) and sits bordered by croft land for a very private, rural setting.
Access is along a private track from the A847; the final c.200 metres of track will need reinstating to reach the house. Services are limited — mobile signal is excellent but broadband speeds are very slow, and tenure is recorded as unknown. There is no flooding risk recorded, but the property’s remote location and condition mean practical refurbishment or build costs should be factored into any purchase.
This site will suit a buyer seeking a distinctive coastal retreat or a sympathetic restoration project with substantial sea views. It is ideal for someone prepared for a hands-on renovation or a bespoke new build, who values privacy, dramatic outlooks and the character of a traditional stone cottage. Viewings are recommended to appreciate the scale of the panorama and the site potential.
3 bedroom detached house for sale in Machrie Mill Croft, Kilchoman, Isle Of Islay, Argyll and Bute, PA49 — £325,000 • 3 bed • 1 bath • 887 ft²
Land for sale in Isle of Islay, PA44 — £135,000 • 1 bed • 1 bath
1 bedroom terraced house for sale in Shore Street, Portnahaven, Isle of Islay, PA47 — £80,000 • 1 bed • 1 bath • 745 ft²
3 bedroom detached house for sale in Claddach, Portnahaven, PA47 — £325,000 • 3 bed • 1 bath • 1910 ft²
Land for sale in Portnahaven, Isle of Islay, PA47 — £75,000 • 1 bed • 1 bath
Land for sale in Claddach, Isle of Islay, PA47 — £85,000 • 1 bed • 1 bath










































































































