**Standout Features:**
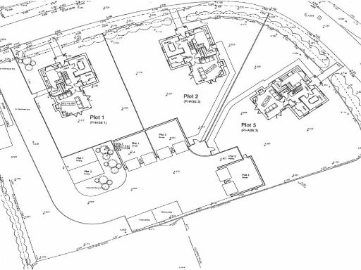
- Expansive plot with full planning permission for a four-bedroom detached house
- Spacious area of approximately 0.15 acres (1400 sqft)
- Quiet rural location in the serene hamlet of Barway, 5 miles from Ely Train Station
- Accessible utilities, with the potential need for a bio-treatment plant for drainage
- Surrounded by private drive access with idyllic countryside views
This unique plot in Barway offers a rare opportunity for prospective home builders to create their dream residence in a tranquil countryside setting. With approved plans for an impressive four-bedroom detached home, the spacious layout maximizes both comfort and functionality. The design includes a welcoming entrance lobby, generous living areas, a utility room, and a master bedroom suite, perfectly suited for families or those seeking serene living spaces.
The plot is clear and well-positioned, ensuring easy access to utilities while maintaining the charm of the rural landscape. Although certain planning conditions must be observed and a few minor infrastructure elements need consideration—such as the potential for a bio-treatment drainage solution—these details offer a blank canvas for buyers to realize their vision. 
Located just a short drive from Ely, the property provides quick commutes to local amenities, schools, and transport links. This is an enticing chance for families or investors looking to capitalize on the area's growing desirability. Don’t miss out on the potential to craft a bespoke home in this peaceful hamlet—contact us today for more details!
 Detached house for sale in Plot 1 Barway, Ely, Cambridgeshire, CB7 — £225,000 • 1 bed • 1 bath • 1400 ft²
 Detached house for sale in Plot 1 Barway, Ely, Cambridgeshire, CB7 — £225,000 • 1 bed • 1 bath • 1400 ft² Detached house for sale in Barway Road, Barway, Ely, Cambridgeshire, CB7 — £500,000 • 1 bed • 1 bath • 1318 ft²
 Detached house for sale in Barway Road, Barway, Ely, Cambridgeshire, CB7 — £500,000 • 1 bed • 1 bath • 1318 ft² Land for sale in School Lane, Aldreth, CB6 — £300,000 • 1 bed • 1 bath • 3200 ft²
 Land for sale in School Lane, Aldreth, CB6 — £300,000 • 1 bed • 1 bath • 3200 ft² Land for sale in Great Fen Road, Soham, Ely, CB7 — £275,000 • 1 bed • 1 bath • 1800 ft²
 Land for sale in Great Fen Road, Soham, Ely, CB7 — £275,000 • 1 bed • 1 bath • 1800 ft² 3 bedroom detached house for sale in Barway Road, Barway, Ely,, CB7 — £400,000 • 3 bed • 2 bath • 812 ft²
 3 bedroom detached house for sale in Barway Road, Barway, Ely,, CB7 — £400,000 • 3 bed • 2 bath • 812 ft² Land for sale in Hale Fen Lane, Wardy Hill, CB6 — £570,000 • 1 bed • 1 bath • 2410 ft²
 Land for sale in Hale Fen Lane, Wardy Hill, CB6 — £570,000 • 1 bed • 1 bath • 2410 ft²






















































