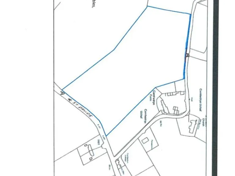
**Standout Features:**
- Expansive 7.57-acre pasture land
- Three mobile 12' x 12' stables and a 12' x 8' tack room
- Direct road frontage on the Main A487 and a council-maintained road
- Composed of well-maintained grazing pasture, ideal for equestrian or agricultural use
- Flat topography with rural views
- Convenient proximity to the village of Croesgoch and the cathedral city of St Davids
**Summary:**
This exceptional 7.57-acre parcel of pasture land offers a rare opportunity for buyers seeking a slice of the tranquil Pembrokeshire countryside. Ideal for equestrian enthusiasts or agricultural ventures, the property comes equipped with three spacious mobile stables and a tack room, all designed to provide functionality and comfort. The land's dual road access enhances its usability, making it an excellent venue for potential agricultural investments.
With a promising flat landscape and gentle undulations, the property boasts beautiful views and has been maintained with over-seeding. Located just a few miles from local amenities in Croesgoch and St Davids, you’ll have access to essential services, schools, and a vibrant community while enjoying the peace of rural living. This unique property is competitively priced at £87,500 and is expected to attract significant interest due to its versatility for grazing, farming, or equestrian activities. Don’t miss out – consider this idyllic retreat to create your peaceful countryside haven or an investment with substantial benefits.
Land for sale in 33.64 Acres Agricultural Land at Treffynnon, Croesgoch, SA62 — £390,000 • 1 bed • 1 bath
Land for sale in 17.10 Acres Agricultural Land, Castlemorris, SA62 — £165,000 • 1 bed • 1 bath
Land for sale in 27.11 Acres Agricultural Land, Hayscastle, Haverfordwest, SA62 — £315,000 • 1 bed • 1 bath
Land for sale in 32.34 Acres St. Davids Road, Letterston, Haverfordwest, SA62 — £405,000 • 1 bed • 1 bath
Land for sale in St. Davids, Haverfordwest, Pembrokeshire, SA62 — £712,500 • 1 bed • 1 bath
Farm land for sale in Nolton Haven, Haverfordwest, SA62 — £600,000 • 1 bed • 1 bath






































































