**Standout Features:**
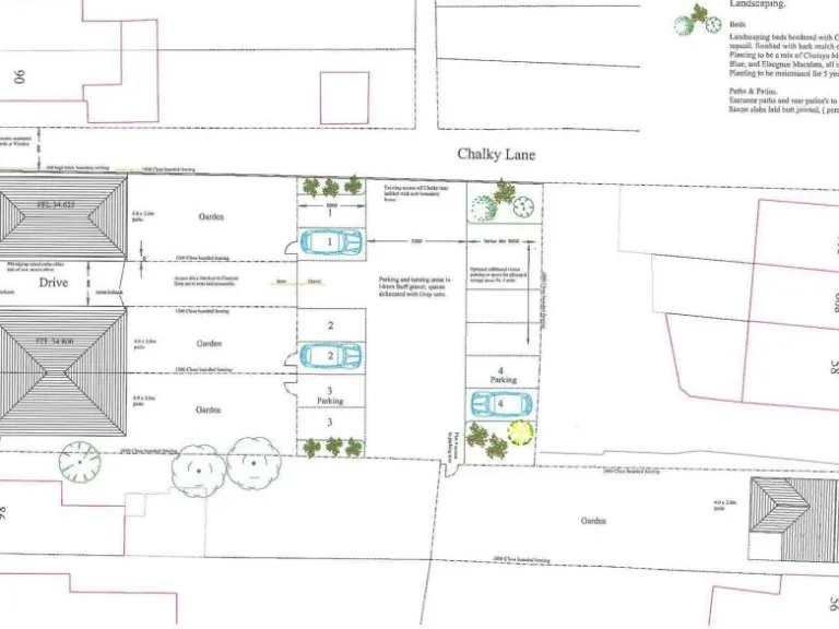
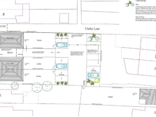
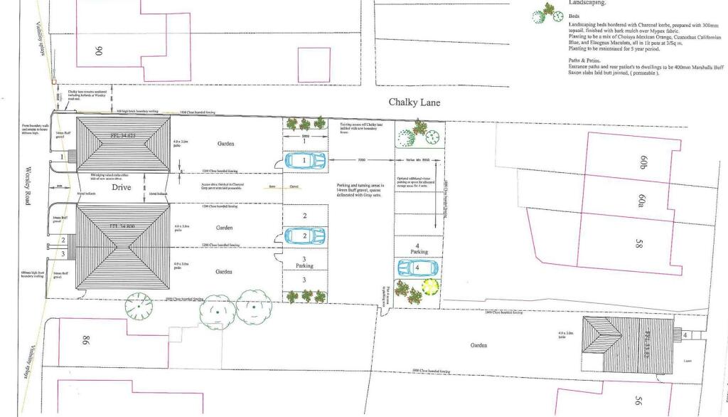
- Development opportunity for 4 dwellings (2 detached & 2 semi-detached)
- Planning consent granted (ref: LPA 24/00106/FUL)
- Stunning far-reaching westerly countryside views
- Allocated parking for each unit
- Ample garden space available
- Freehold tenure
**Potential Concerns:**
- Local area classified as deprived blue-collar terraces
- Nearby schools show varied Ofsted ratings, with some requiring improvement
Positioned in a well-established, sought-after location on the northern outskirts of Newport, this land presents a unique opportunity for developers and investors. With planning consent already in place for four dwellings—two contemporary detached houses and a pair of semi-detached homes—this site promises both flexibility and potential rental income. Each unit will offer allocated parking and ample garden space, appealing to families and first-time buyers alike.
The property boasts stunning countryside views that enhance its charm and desirability. While the local area reflects some socio-economic challenges, the proximity to schools and essential amenities—including shops, bus stops, and recreational facilities—adds to its attractiveness for potential residents. This rare development opportunity is not expected to last long—express your interest soon to secure a piece of this promising land!
Land for sale in Land at Fairlee Road, PO30 — £95,000 • 1 bed • 1 bath • 5920 ft²
Land for sale in Land at Heytesbury Farm, PO30 — £290,000 • 1 bed • 1 bath
Land for sale in Fairlee Road, Newport, PO30 — £95,000 • 1 bed • 1 bath
Residential development for sale in Land at Sandy Lane, PO30 — POA • 1 bed • 1 bath
Land for sale in Land at Fairlee Road, PO30 — £70,000 • 1 bed • 1 bath • 6970 ft²
Plot for sale in New Road, PO33 — £995,000 • 1 bed • 1 bath






























