Secluded rear plot ideal for quiet city retreat or green project.
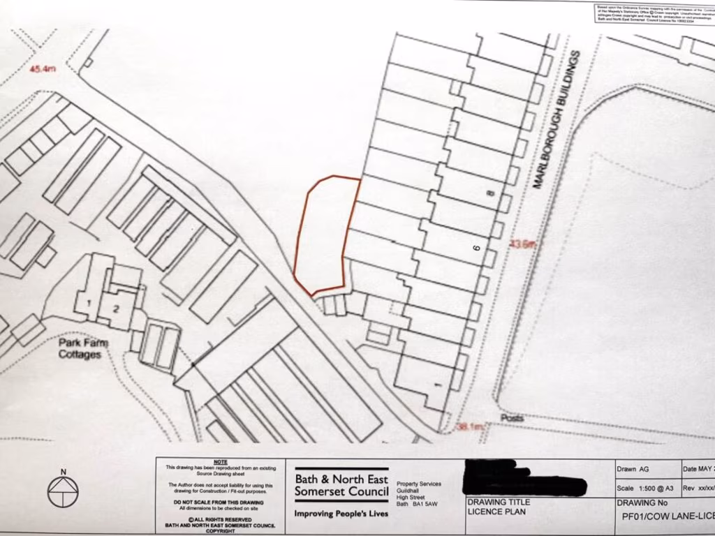
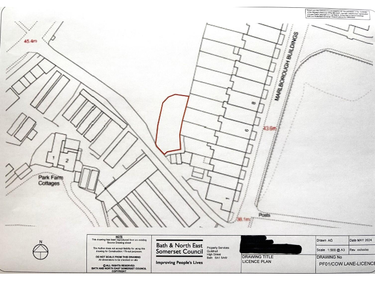
Freehold urban plot directly behind Marlborough Buildings
Tucked directly behind the elegant Marlborough Buildings, this discreet freehold plot offers a rare chance to own a private urban garden in the heart of Bath. Enclosed by stone walls and screened by mature planting, the site is a peaceful outdoor space accessed on foot via Cow Lane. There is no vehicular access.
The parcel is designated for garden use only; building is not permitted. That restriction makes the plot ideal as a secluded amenity for adjacent homeowners, a cultivated retreat for green-fingered owners, or a private outdoor extension to city living rather than a development site. The plot is described as a good-size urban garden, though overall dimensions are limited by strong boundary definition.
Practical considerations are straightforward: the tenure is freehold, flood risk is low, mobile signal and broadband speeds are excellent, and the setting sits within a cosmopolitan student and professional neighbourhood. Buyers should note the site sits in an urban conservation context and that local crime statistics are above average; the plot’s enclosed nature mitigates exposure but security and maintenance will be considerations.
This is a simple, low-footprint opportunity to secure a quiet green space in a prime Bath location. It suits anyone seeking a private outdoor sanctuary close to city amenities, schools and cultural attractions, or owners wanting to enhance adjacent properties with a well-situated garden space.
Land for sale in Land adjoining Rochfort Court, Forester Avenue, Bath, Somerset, BA2 — £75,000 • 1 bed • 1 bath
Plot for sale in Frome Road, Bath, BA2 — £165,000 • 1 bed • 1 bath
Plot for sale in Charlcombe Way, Bath, Somerset, BA1 — £799,950 • 1 bed • 1 bath • 2819 ft²
4 bedroom detached house for sale in Midford, Bath, BA2 — £600,000 • 4 bed • 1 bath • 1244 ft²
Land for sale in Weston, Bath (29.9 acres), BA1 — £750,000 • 1 bed • 1 bath
Land for sale in Lower Chatley Lakes, Lower Chatley Farm, Bath, BA2 — £1,000,000 • 1 bed • 1 bath


















































