**Key Features:**
- Spacious semi-detached house from the 1930s
- 4 bedrooms, 3 reception rooms, and 3 bathrooms
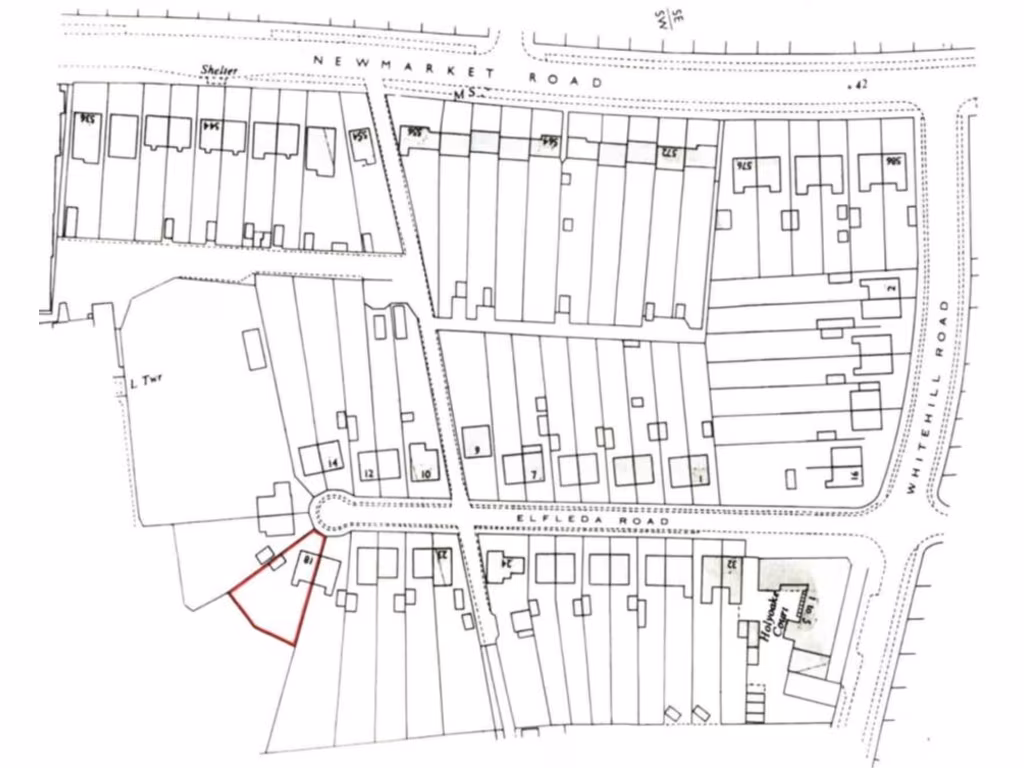
- Generous corner plot of 412 sqm (approximately 0.10 acres)
- Off-street parking and garden space
- Located in a vibrant, cosmopolitan neighborhood near local amenities
- Requires complete renovation for modernization and personal touch
- Close proximity to well-regarded schools and public transport
This substantial 1930s semi-detached home is a hidden gem in the bustling CB5 area, offering over 1,571 sqft of flexible living space. With four well-proportioned bedrooms, three reception areas, and ample outdoor space, this property provides an excellent canvas for families and investors alike, presenting thrilling potential for renovation into a bespoke family home or a House in Multiple Occupation (HMO).
Situated on a prime corner plot surrounded by a decently sized garden, enjoy valuable off-street parking and the opportunity for further extensions, including a loft conversion (subject to planning). While the home requires complete modernization, its inviting layout allows for creative flexibility to reconfigure the space to suit your needs.
Located conveniently off Newmarket Road, you’ll find key amenities, retail parks, and leisure facilities just a short walk away, with easy access to Cambridge’s historic city centre. This property also falls within the catchment area of highly rated schools, making it an excellent choice for families.
Seize this rare opportunity—properties with such potential in this desirable location don’t stay on the market for long. Envision the transformation and step into a future filled with possibility!















































































































