Six-apartment consent on a central Yeovil site — affordable guide price for quick delivery.
Detailed planning permission for six apartments (Ref. 22/00650/FUL)
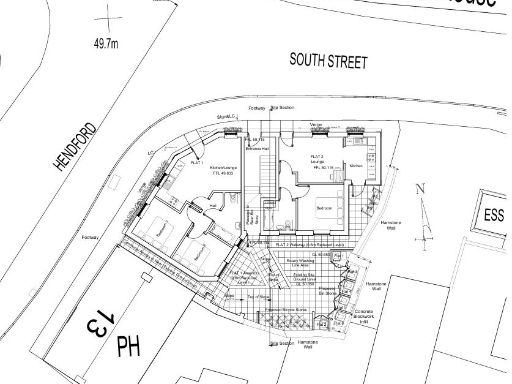
A central freehold development site with approved detailed planning permission for six apartments makes a rare, low-entry investment opportunity in Yeovil town centre. The consent (ref. 22/00650/FUL, approved 12 May 2025) covers a three-storey block of 3 x 2-bed and 3 x 1-bed flats, with modest communal amenity space, secure bin and cycle stores. Unit sizes are approximately 568sqft for two-bed homes and 447–465sqft for one-bed homes.
The site sits within the town centre conservation area and is flanked by Grade II listed buildings, so construction must follow the approved plans and any conservation requirements. The vendors have reserved and paid the required 0.28 phosphate credits; the scheme is CIL liable and buyers should confirm CIL costs with the council. Mains services are understood to be nearby, but purchasers must verify capacity with utility providers before exchange.
This is best suited to a small developer or investor seeking a quick-to-start project: detailed consent is in place, the guide price is modest, and the plot footprint (c. 391sqm) is adequate for the approved scheme. Be pragmatic about location-specific challenges: the area records high crime and very high deprivation, which may affect lettings, tenant profiles and capital values. Thorough local market and construction-cost due diligence is advised before bidding.
Viewing and next steps are by appointment only. Interested parties should review the full planning and technical pack and confirm financial, CIL and utility implications prior to offer.
Land for sale in Development land off Lyde Road, Lyde Road, Yeovil, BA21 5AZ, BA21 — £500,000 • 1 bed • 1 bath
Commercial development for sale in Mansion House, Princes Street, Yeovil, Somerset, BA20 1EG, BA20 — £600,000 • 1 bed • 1 bath • 22942 ft²
Leisure facility for sale in Bunford Park, Yeovil, BA20 2HT, BA20 — POA • 1 bed • 1 bath
Equestrian facility for sale in Former Fiveways Adult Resource Cntr, Ilchester Road, Yeovil, Somerset, BA21 — £850,000 • 1 bed • 1 bath
Leisure facility for sale in 6-7 South Western Terrace, Yeovil, BA20 1NB, BA20 — £250,000 • 1 bed • 1 bath • 1879 ft²
Commercial property for sale in 7 High Street, Yeovil, BA20 1RE, BA20 — £350,000 • 1 bed • 1 bath • 2829 ft²


















