**Standout Features:**
- Unique development opportunity in a prestigious location
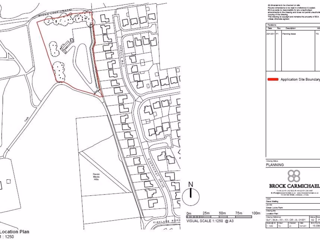
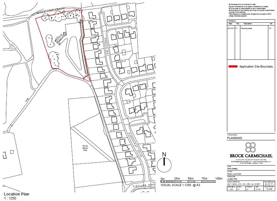
- Approx. 2-acre plot with planning consent for one substantial dwelling (13,500 sq ft)
- Close proximity to Formby Beach and National Trust Nature Reserve
- No chain, allowing for a quick sale
- Affluent area with low crime rates, good schools, and excellent amenities nearby
- Options for contemporary or traditional home designs
**Notable Concerns:**
- Existing dwelling and outbuildings require demolition
- Current EPC rating of F indicates potential energy inefficiencies
**Summary:**
Unlock the potential of Greenloons Farm—a unique development opportunity nestled in an exclusive area just a stone's throw from Formby Beach. This expansive 2-acre plot awaits your vision, offering planning consent to create a remarkable 13,500 sq ft dream home, tailored to your taste with options for both contemporary and traditional designs. Surrounded by natural beauty, it’s perfect for families seeking a serene lifestyle while enjoying proximity to excellent schools, trendy shops, and dining spots in Formby village and nearby Birkdale.
Investors and first-time buyers alike can take advantage of this rare chance to build a bespoke sanctuary in a location that’s as affluent as it is accessible, with quick links to major cities and local amenities. While the property currently has an F EPC rating, the vast space allows for renovations to enhance energy efficiency. With no chain and a strong local community, this plot presents an enticing blend of exclusivity, comfort, and future possibilities—don’t miss out on making this your own!
Plot for sale in College Avenue, Formby, Liverpool, L37 — £800,000 • 5 bed • 5 bath • 5800 ft²
Land for sale in Bushbys Lane, Formby, Liverpool, L37 — £1,000,000 • 1 bed • 1 bath • 1626 ft²
5 bedroom detached house for sale in St. Georges Road, Hightown, Liverpool, Merseyside, L38 — £1,500,000 • 5 bed • 1 bath • 3101 ft²
3 bedroom detached house for sale in Lime Tree Way, Formby, Liverpool, L37 — £315,000 • 3 bed • 2 bath • 1405 ft²
4 bedroom farm house for sale in Old Lunt Farm, Lunt Lane, Lunt L29 7WL, L29 — £500,000 • 4 bed • 1 bath • 2700 ft²
6 bedroom detached house for sale in Larkhill Lane, Formby, Liverpool, L37 — £1,350,000 • 6 bed • 4 bath • 4000 ft²














































