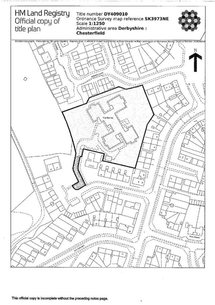
1.8 acre freehold site with planning for 21 starter homes.
Full planning permission for 21 plots (CHE/24/00747/FUL).
A rare development opportunity on approx. 1.8 acres with full planning permission (CHE/24/00747/FUL dated 13/11/2025) for 21 modern starter homes. The scheme comprises a mix of semi‑detached and detached houses arranged around a single access road, with private gardens backing onto retained woodland to provide a green outlook and added privacy.
Practical advantages include freehold ownership, no off‑site S278 highway works, and foul drainage contained within the site boundary. Gas, water and electricity are available on site for connection, although some services may require upgrading — buyers should budget for confirmation and any enhancements. The site is well connected to Chesterfield town centre and the M1 (J29/29a), with local schools, shops and bus routes nearby.
This is aimed at developers or investors seeking a straightforward, small‑to‑medium residential scheme in an established residential area. Positive sales drivers are the woodland setting, strong planning status and clear servicing arrangement. Important cautions: the surrounding area records higher deprivation indices, council tax for finished houses is expected to be high (Band G noted), and final utility upgrades and local authority requirements should be confirmed before exchange.
Guided price range: £1,500,000–£1,650,000. Full planning documents and conditions are available on Chesterfield Borough Council's website under the referenced planning number.
Land for sale in Mansfield Road, Hasland, S41 — £495,000 • 1 bed • 1 bath
Land for sale in Mansfield Road, Hasland, S41 — £495,000 • 1 bed • 1 bath
Residential development for sale in Plot 48 Newbold Back Lane, Chesterfield S40 4HQ, S40 — £100,000 • 1 bed • 1 bath
Land for sale in 48 Newbold Back Lane, Chesterfield, Derbyshire S40 4HQ, S40 — £100,000 • 1 bed • 1 bath
Residential development for sale in Holbeck Close, Chesterfield, S41 7XH, S41 — £1,900,000 • 1 bed • 1 bath
Detached house for sale in Mansfield Road, Hasland, S41 — £95,000 • 1 bed • 1 bath • 1725 ft²














































