Large plot with sweeping fell views, ideal for family life near Keswick centre.
- Detached three-bedroom house with panoramic front and rear fell views
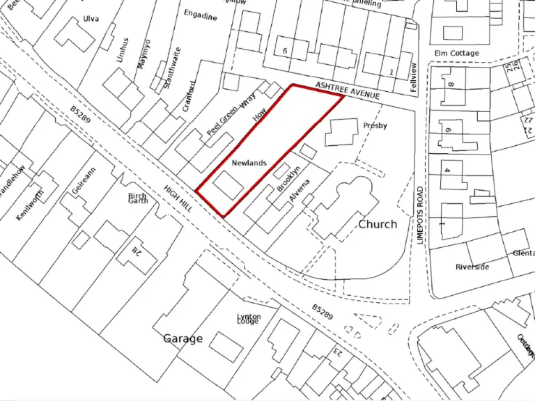
- Large plot with rear space and development potential (previous outline consent lapsed)
- Partly modernised kitchen and family bathroom, ready to occupy
- Garage and ample parking; fast broadband and town-centre walking distance
- Located inside Lake District National Park with attractive countryside setting
- Medium flood risk; check insurance and flood mitigation requirements
- Council tax band F — higher ongoing running costs
- Garden and exterior planting require maintenance and landscaping work
Set on a larger-than-average plot within the Lake District National Park, this three-bedroom detached house delivers striking panoramic views to the Newlands valley and Skiddaw range. The property has been partly modernised with an updated kitchen and bathroom, and offers spacious, dual-aspect living spaces and a long garden that will appeal to families who value outdoor space and privacy.
Practical positives include a garage, fast broadband, and a short walk to Keswick town centre and outstanding local secondary schooling. The large plot previously had outline planning permission for a separate dwelling at the rear (reference 7/1991/2050), though that consent has now lapsed — the site still offers potential subject to new applications.
Buyers should note a medium flood risk for the area and an expensive council tax band (F). The garden and some exterior planting will need maintenance, and any major alterations will require planning consent within the National Park. Overall, the house combines immediate liveability with clear scope for improvement and enhancement.
3 bedroom end of terrace house for sale in Millfield Gardens, Keswick, CA12 — £285,000 • 3 bed • 1 bath • 893 ft²
4 bedroom house for sale in The Hawthorns, Keswick, CA12 — £525,000 • 4 bed • 2 bath • 1432 ft²
4 bedroom detached house for sale in Maycroft, Longcroft, Braithwaite, Keswick, Cumbria, CA12 5TE, CA12 — £850,000 • 4 bed • 3 bath • 1983 ft²
3 bedroom detached bungalow for sale in Chestnut Hill, Keswick, CA12 — £650,000 • 3 bed • 2 bath • 1066 ft²
3 bedroom detached house for sale in Oak Leaf House, Ambleside Road, Keswick, Cumbria, CA12 4DL, CA12 — £550,000 • 3 bed • 1 bath • 1296 ft²
3 bedroom property for sale in Portinscale, Keswick, CA12 — £475,000 • 3 bed • 1 bath • 1044 ft²










































































