Opportunity for a nine-unit scheme near Tynemouth with excellent transport links.
Freehold vacant urban parcel with redevelopment potential
Previously lapsed outline permission for nine apartments (useful precedent)
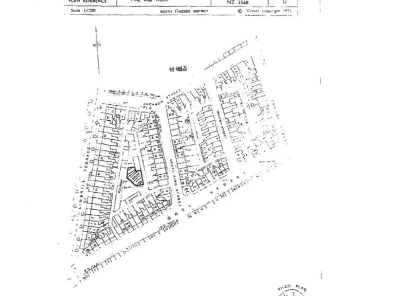
Site area recorded as 16,553 sqft; irregular geometry reduces developable footprint
Access constrained by narrow service lane and surrounding terraces
Off-street parking shown in past proposals; utilities likely nearby
Auction sale — sold as-is; buyer to complete full due diligence
Local area: deprived classification and above-average crime rates
Planning permissions lapsed; new application and consultant costs likely
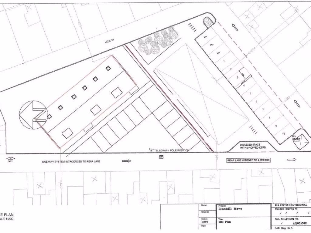
This vacant infill parcel at the rear of Linskill Terrace offers a clear urban redevelopment opportunity close to Tynemouth and North Shields transport links. The site is freehold and has previously benefited from outline permissions for a nine-unit apartment block and other apartment/townhouse schemes, providing a starting point for a refreshed application. The recorded site area is 16,553 sqft, though the plot is irregular and described locally as small-to-medium for urban infill; careful design will be needed to maximise developable area.
Access is via a narrow service lane and the site is bounded on three sides by existing terraces, which constrains layout and will influence build cost and neighbour negotiations. The planning history is helpful but permissions have lapsed; any buyer should assume a new planning submission and budget for consultancy and potential design revisions. There is off-street parking shown in earlier proposals, and utilities are likely nearby given the residential setting.
This lot is offered for sale at online auction and suits investors or small developers familiar with constrained urban sites. Note local area indicators: higher-than-average crime and wider area deprivation, which will affect market positioning and affordable housing considerations. The sale is strictly as-is; buyers should carry out full due diligence on access, services, and potential build density before bidding.
Land for sale in Land Adjacent To Hatfield House, Borough Road, North Shields, NE29 — £300,000 • 1 bed • 1 bath • 10890 ft²
Land for sale in 100 - 101 Greens Place, South Shields, Tyne and Wear, NE33 2AQ, NE33 — £180,000 • 1 bed • 1 bath
Land for sale in North Shields, Tyne and Wear, NE29 — £350,000 • 1 bed • 1 bath • 17424 ft²
Land for sale in Brenkley Avenue, Shiremoor, Newcastle upon Tyne, Tyne and Wear, NE27 0PP, NE27 — £100,000 • 1 bed • 1 bath • 6904 ft²
Land for sale in Station Road, Boldon Colliery, Tyne and Wear, NE35 — £179,950 • 1 bed • 1 bath • 8233 ft²
Land for sale in Carlisle Street, Felling, , NE10 — £35,000 • 1 bed • 1 bath






















































