NG23 5PU - 3 bed period semi detached cottage in Honey Lane, NG23 5PU

View on Property Piper

3 bedroom semi-detached house for sale in Honey Lane, Thorpe, Newark, NG23

Summary - 1 Honey Lane Farm Cottage, Honey Lane, Thorpe, NEWARK NG23 5PU

3 bed 1 bath Semi-Detached

Character cottage with plot and conversion potential near Newark.
Three bedrooms plus loft room suitable for conversion
Spacious dining kitchen and two reception rooms
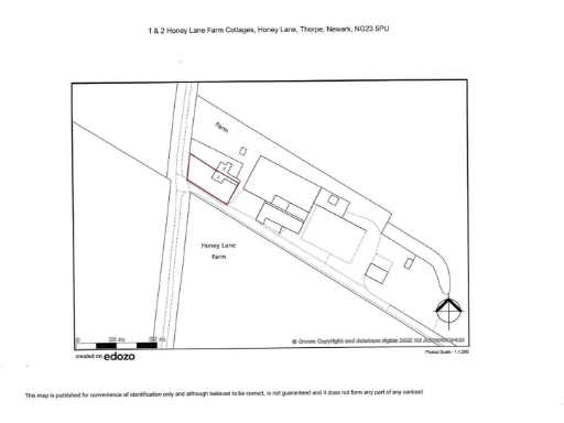
Plot approx 480 sq.m (0.12 acre) with vehicle access
Pleasant rural location, Newark under 3 miles away
Requires renovation and modernisation throughout
Electric storage heaters; upgrade to heating advised
Shared septic tank — 50% maintenance responsibility
Very slow broadband; mobile signal excellent
A traditional three-bedroom semi-detached cottage set in a pleasant rural lane, offered with scope to improve and personalise. The house retains period character, two reception rooms and a generous dining kitchen, with a loft room that could be converted to provide additional living space or a fourth bedroom.

The plot extends to about 480 sq. m (0.12 acre) and includes front, side and rear garden areas plus vehicular access from Honey Lane. Open countryside views and a quiet rural setting sit just under three miles from Newark, making local shops, schools and A46 connections easily reachable.

The property does require renovation and modernisation: heating is by electric storage and panel heaters, walls are solid brick with assumed lack of insulation, and broadband speeds are very slow. Drainage is to a shared septic tank and owners will be responsible for a 50% maintenance share. These practical issues are reflected in the price and present clear refurbishment potential for buyers prepared to invest.

This cottage will suit a family or buyer seeking a countryside project with character, good room proportions and scope to add value through upgrading heating, insulation and converting the loft. Viewing is recommended to appreciate the setting, garden and layout firsthand.

Property Details

Brochure Descriptions

Image Descriptions

Floorplan Description

Rooms

Textual Property Features

Target Audience

AI Tags

Detected Visual Features

EPC Details

Nearby Schools

Nearest Bars And Restaurants

,,,,}

Nearest General Shops

,,}

Nearest Grocery shops

,,}

Nearest Supermarkets

,,}

Nearest Religious buildings

,,}

Nearest Medical buildings

,,,}

Nearest Airports

}

Nearest Leisure Facilities

,,,,}

Nearest Tourist attractions

,,}

Nearest Train stations

,,,,}

Nearest Bus stations and stops

,,,,}

Nearest Hotels

,,}

Tags

Local Market Stats

Similar Properties

Meta

High Res Images

Compatible Images

Low res Images

Thumbnails

Raw Images

High Res Floorplan Images

Compatible Floorplan Images

Low res Floorplan Images

FloorplanImages Thumbnail

Raw Floorplan Images