ST9 0AP - 5 bedroom detached house for sale in Leek Road, Wetley Rock…

View on Property Piper

5 bedroom detached house for sale in Leek Road, Wetley Rocks, Staffrodshire, ST9 0AP, ST9

Summary - SILVER SPRINGS, LEEK ROAD, STOKE-ON-TRENT, WETLEY ROCKS ST9 0AP

5 bed 3 bath Detached

**Standout Features:**
- Substantial five-bedroom detached home
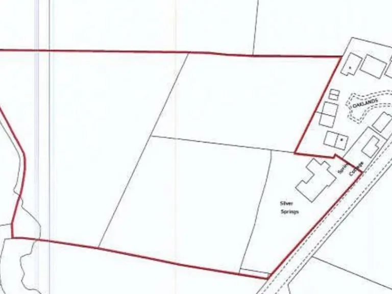
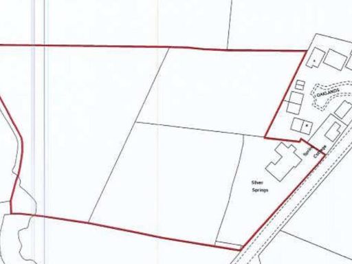
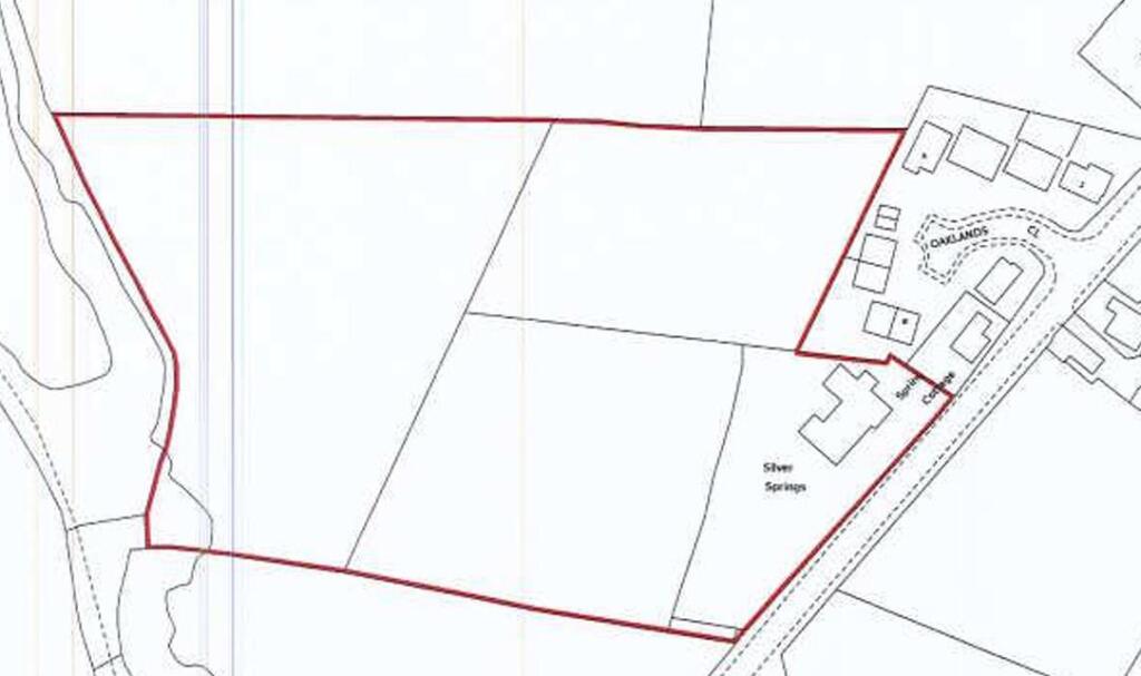
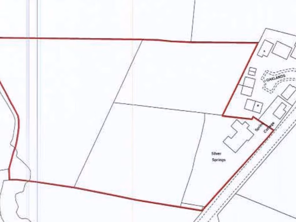
- Expansive plot of nearly 5.5 acres, with additional land available for negotiation
- Indoor swimming pool, double garage, and attractive outbuildings
- Beautifully landscaped gardens with mature trees and extensive lawn areas
- Bright and spacious open-plan living and dining area, ideal for entertaining
- Modern kitchen and generous conservatory with direct garden access

**Potential Concerns:**
- Broadband speeds are slow, which may affect connectivity
- Council tax is considered relatively high for the area

Nestled in the serene village of Wetley Rocks, this impressive five-bedroom detached home offers a perfect blend of comfort and rural charm. With a sizeable plot of just under 5.5 acres, the property includes beautiful landscaped gardens, an inviting indoor swimming pool, and ample parking via a double garage. The modern open-plan living and dining area provides a welcoming atmosphere, complemented by a well-equipped kitchen and an appealing conservatory that opens to the external space.

Ideal for families seeking a tranquil lifestyle or investors exploring potential rental opportunities, this residence allows for significant outdoor activities or future expansions. With low crime rates and access to good local schools, it's a secure choice for families. Don’t miss the chance to own this exceptional property—schedule a viewing today to really appreciate its potential for luxurious country living!

Property Details

Brochure Descriptions

Image Descriptions

Floorplan Description

Rooms

Textual Property Features

Detected Visual Features

EPC Details

Nearby Schools

Nearest Bars And Restaurants

,,,,}

Nearest General Shops

,,}

Nearest Grocery shops

,,}

Nearest Supermarkets

,,}

Nearest Religious buildings

,,}

Nearest Medical buildings

,,,}

Nearest Leisure Facilities

,,,,}

Nearest Tourist attractions

,,}

Nearest Train stations

,,,,}

Nearest Bus stations and stops

,,,,}

Nearest Hotels

,,}

Tags

Local Market Stats

Similar Properties

Meta

High Res Images

Compatible Images

Low res Images

Thumbnails

Raw Images

High Res Floorplan Images

Compatible Floorplan Images

Low res Floorplan Images

FloorplanImages Thumbnail

Raw Floorplan Images