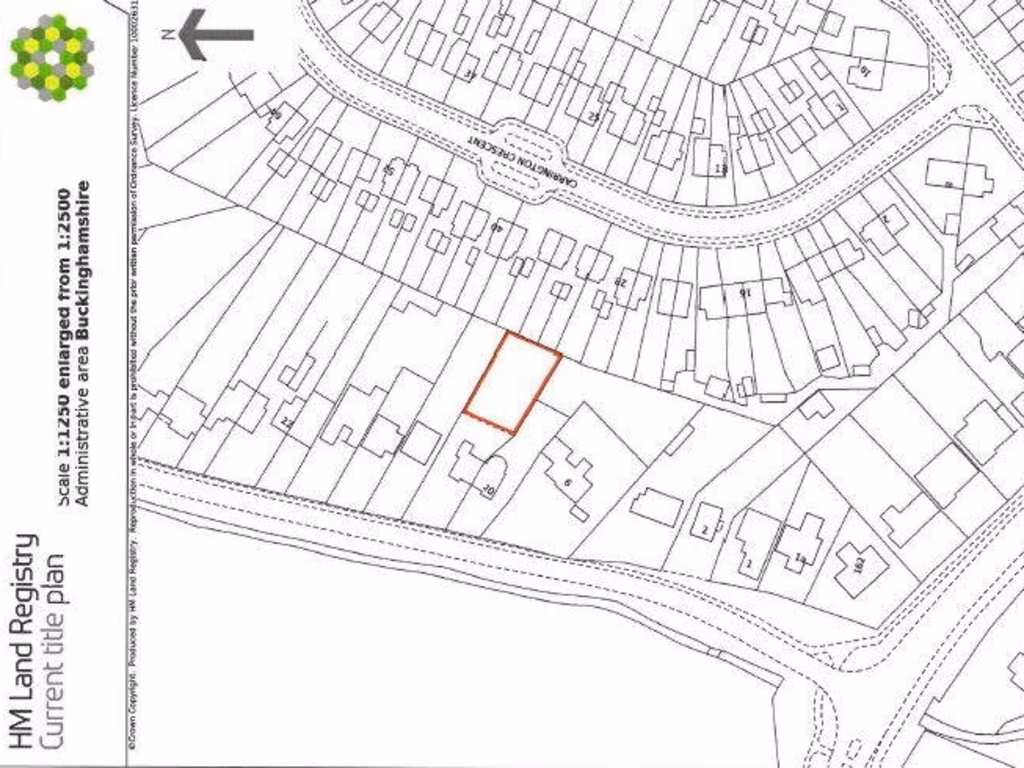
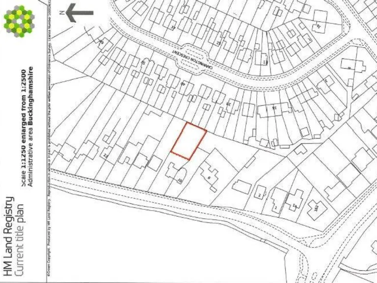
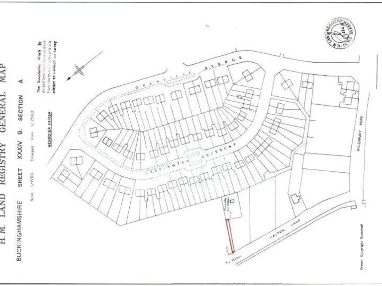
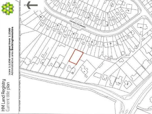
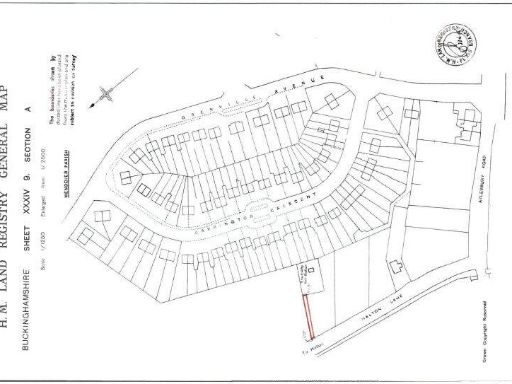
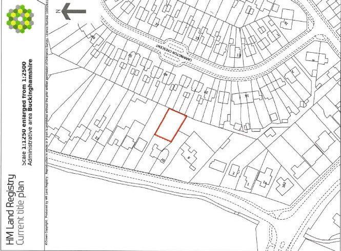
Freehold plot of just over 0.14 acres with gated private driveway access
Brick-built detached double garage with power, water and drainage
Mains water and electricity connected on site
High flood risk — may affect insurance and development options
Split across two freehold titles; legal/finance implications possible
No planning consent stated; redevelopment would need permissions
Fast broadband, very low crime, situated in affluent Wendover area
Close to Wendover station (55 mins to London) and highly rated schools
A privately fenced parcel of land just off Halton Lane in Wendover, offered freehold with mains water and electricity already on site. The plot extends to just over 0.14 acres and includes a brick-built detached double garage with power, water and drainage — useful for secure storage, a workshop or conversion subject to permissions. A gated private driveway and ample off-street parking give discreet access and good on-site vehicle space.
The location suits buyers who need a practical, secure plot close to town — historically used for gardens, parking and storage by the current family owners. Wendover’s mainline station to London Marylebone (about 55 minutes) and highly rated nearby schools add local convenience and long-term appeal. Broadband speeds are reported fast and the area is very affluent with very low crime, helping protect value.
Important practical points: the land carries a high flooding risk and is split across two freehold titles, which may affect insurance, mortgage availability and future development options. There is no mention of planning permission in the information provided; any change of use, building or conversion would require local authority consent. Viewings are strictly by appointment and access is via the gated driveway off Halton Lane.
This parcel will interest buyers seeking secure storage/parking close to Wendover, an ancillary garden plot for an adjacent property, or a small development/investment opportunity pending planning and flood-risk considerations. Readily usable as-is for parking and storage, it also offers potential for buyers who can manage the flood risk and title arrangement.



































