**Key Features:**
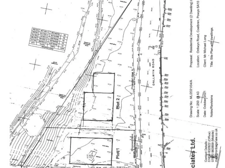
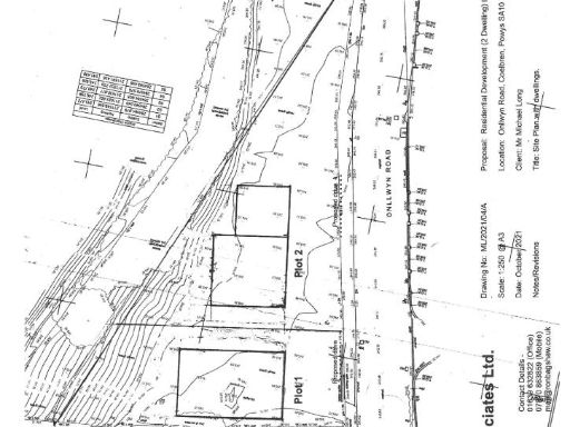
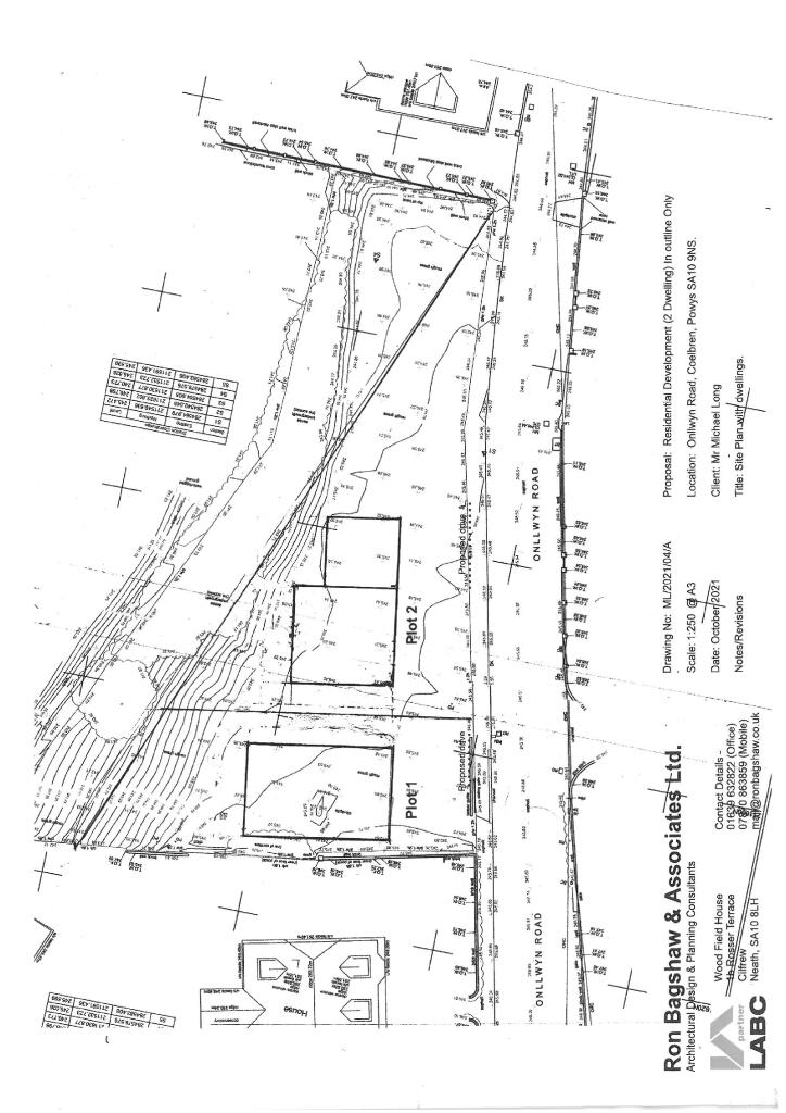
- **Outline Planning Permission**: For 2 dwellings (Ref: 21/1898/OUT/Powys)
- **Semi-Rural Location**: Located on the edge of Bannau Brycheiniog National Park
- **Countryside Views**: Expansive greenery with breathtaking mountain scenery
- **Community-Friendly**: Strong village atmosphere perfect for families
- **Outdoor Activities**: Proximity to walks, cycling paths, and popular tourist attractions
- **Good Road Links**: Easy access to the M4 Corridor and Heads of the Valley trunk road
- **Plot Size**: Large, vacant land ideal for construction
**Summary:**
Seize the opportunity to build your dream home or investment property in this expansive plot of land on Onllwyn Road, Coelbren. With outline planning permission for two dwellings, this large parcel presents an incredible canvas for bespoke development in a tranquil, semi-rural village setting. Enjoy stunning countryside views and the benefit of being nestled at the edge of the breathtaking Bannau Brycheiniog National Park, ideal for outdoor enthusiasts and nature lovers alike.
The area boasts a strong community feel, with ample opportunities for hiking, cycling, and exploring local attractions such as Henrhyd Waterfalls and Dan Yr Ogof show caves. While the local amenities are modest, excellent mobile signal and average broadband speeds cater to modern connectivity needs. This parcel offers not only a peaceful escape but also the potential for family homes in a picturesque landscape that may not be available for long. Don’t miss your chance to embrace rural living while enjoying easy access to urban benefits!
Plot for sale in Ochr Y Waun, Cwmllynfell, Neath Port Talbot., SA9 — £90,000 • 1 bed • 1 bath
Land for sale in Cefn Byrle Road, Coelbren, Neath, SA10 9PD, SA10 — £299,950 • 1 bed • 1 bath
Land for sale in Maes Marchog Isaf, Glynneath, Neath, Neath Port Talbot., SA11 — £100,000 • 1 bed • 1 bath • 1755 ft²
Land for sale in New Road, Ynysmeudwy, Pontardawe, Swansea, City And County of Swansea. SA8 4PJ, SA8 — £80,000 • 1 bed • 1 bath • 2099 ft²
Land for sale in Glan Gwrelych And Ynys Y Nos Avenue, Glynneath, Neath, SA11 — £180,000 • 1 bed • 1 bath
Land for sale in Garbett Place, Crynant, Neath, SA10 — £100,000 • 1 bed • 1 bath






































